
Televisiebaan 83 is gelegen in de plaats IJsselstein, de gemeente IJsselstein en de provincie Utrecht. De oppervlakte van het adres is 114 m². Dat is vergelijkbaar met het gemiddelde Nederlandse oppervlakte van 119 m². De oppervlakte van het perceel waarin het adres ligt is 1157 m². In vergelijking met de andere adressen in de straat is de oppervlakte van dit object relatief groot. Het grootste verblijfsobject heeft een oppervlakte van 1290 m², de oppervlakte van het kleinste object bedraagt 61 m². De meeste Nederlandse gebouwen zijn gebouwd in de periode 1965-1984. Zo ook het pand waarin Televisiebaan 83 ligt, dat gebouwd is in 1971. Gemiddeld zijn de gebouwen in de straat gebouwd in 1971. Dit is het oudste pand in de straat. Het meest recente komt uit het jaar 1980. De volgende gebruiksdoelen zijn geregistreerd voor dit adres: 'woonfunctie'.
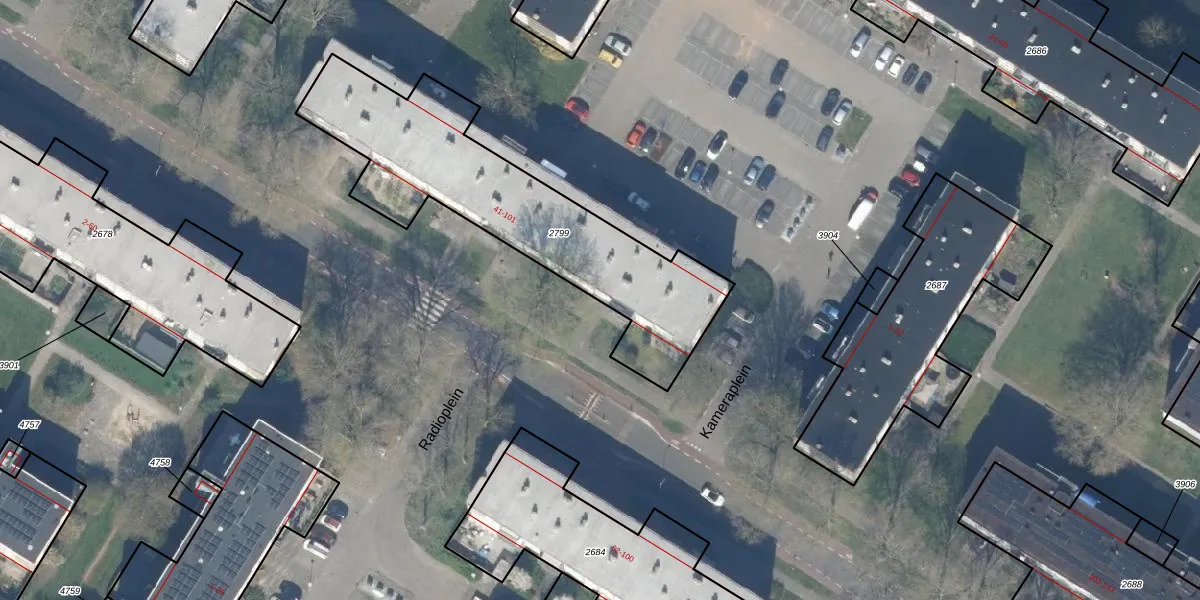
Het perceel waarop het adres ligt is ISS00-D-2799. De afkorting 'ISS00' staat voor kadastrale gemeente IJsselstein. Het perceel is 1157 m² groot. Dat is kleiner dan de gemiddelde perceeloppervlakte in IJsselstein, dat op 1705,76 m² ligt. De grootste perceeloppervlakte in de kadastrale gemeente is 32,0 ha. De kleinste oppervlakte bedraagt 0 m². Op het perceel liggen in totaal 30 adressen. De laatste wijziging in het de Basisregistratie Kadaster (BRK) was op 22-12-2010.
Het adres ligt in een gebouw van het type 'appartement met het subtype hoekvloer'. Bij de laatste meting is voor het adres het energielabel C geregistreerd. Het hoogste energielabel in de straat is A++; het laagste is G. Het gemiddelde energielabel is er B. Het adres Televisiebaan 83 heeft als status: 'verblijfsobject in gebruik'. Het pand waarin dit adres ligt heeft als status: 'pand in gebruik'.
Televisiebaan 83 is een adres gelegen in de gemeente IJsselstein, provincie Utrecht. Dit adres is geregistreerd in de Basisregistratie Adressen en Gebouwen (BAG) met als unieke identificatie 0353010000012309.
Het pand op Televisiebaan 83 is gebouwd in 1971, wat betekent dat het 55 jaar oud is. Dit is een ouder pand. Het pand heeft mogelijk aanzienlijke renovaties nodig om aan de huidige standaarden te voldoen.
De woning op Televisiebaan 83 heeft een gebruiksoppervlakte van 114 m². Dit is onder het gemiddelde vergeleken met de gemiddelde Nederlandse woning, die een oppervlakte heeft van ongeveer 119 m². De gebruiksoppervlakte is de maat die wordt gebruikt in de BAG-registratie, de landelijke registratie van de Nederlandse overheid.
Televisiebaan 83 heeft als functie: wonen. Deze gebruiksfunctie(s) zijn vastgelegd in de BAG-registratie en geven aan waarvoor het adres officieel mag worden gebruikt.
Televisiebaan 83 is gelegen op kadastraal perceel ISS00D2799. Deze kadastrale aanduiding is uniek en wordt gebruikt door het Kadaster om eigendomsrechten en andere zakelijke rechten vast te leggen. Het perceel maakt onderdeel uit van de kadastrale gemeente IJsselstein.
Het perceel waarop Televisiebaan 83 staat heeft een oppervlakte van 1157 m². Dit is een zeer groot perceel. De perceeloppervlakte wordt geregistreerd door het Kadaster. Gedetailleerde informatie over de maten van dit perceel kunt u vinden in het rapport Kadastrale kaart met maatvoering van Televisiebaan 83.
De eigenaar van Televisiebaan 83 is op te vragen op deze pagina.
De informatie over dit adres is afkomstig uit officiële overheidsregistraties, voornamelijk de Basisregistratie Adressen en Gebouwen (BAG) en de Basisregistratie Kadaster (BRK). Deze gegevens worden beheerd door respectievelijk gemeenten en het Kadaster, en worden regelmatig bijgewerkt. Energielabelgegevens komen uit de database van de Rijksdienst voor Ondernemend Nederland (RVO).
