
Het adres Op 'e Terp 30 bevindt zich in de plaats Jelsum, in de gemeente Jelsum en de provincie Friesland. Het verblijfsobject is 149 m² groot en bevindt zich op een perceel met een oppervlakte van 240 m². Gemiddeld hebben adressen in Nederland een oppervlakte van 119 m². Het adres is klein vergeleken met andere objecten in de straat. Het grootste object in de straat heeft een oppervlakte van 496 m², het kleinste is 16 m² groot. Op 'e Terp 30 bevindt zich in een pand uit het jaar 1840. Daarmee behoort het tot de groep relatief oude panden in Nederland die gebouwd zijn vóór 1965. Het bouwjaar is oud vergeleken met dat van de andere panden in de straat. Het oudste bouwjaar is er 1420 en de nieuwste is 1993. De volgende gebruiksdoelen zijn geregistreerd voor dit adres: 'woonfunctie'.
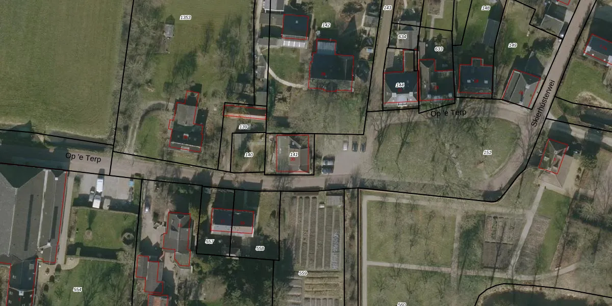
Het adres ligt op het perceel JSM00-E-141, dat zich in de kadastrale gemeente Jelsum bevindt. Het perceel is 240 m² groot. Dat is kleiner dan de gemiddelde perceeloppervlakte in Jelsum, dat op 7261,52 m² ligt. Het grootste perceel in de kadastrale gemeente is 14,1 ha. Het kleinste perceel heeft een oppervlakte van 2 m². Dit is het enige adres dat aanwezig is op het perceel. In de Basisregistratie Kadaster (BRK) werden de grenzen van het perceel geregistreerd op 15-01-1998.
Het adres ligt in een gebouw van het type 'vrijstaande woning'. Bij de laatste meting is voor het adres het energielabel A geregistreerd. Het hoogste energielabel in de straat is A; het laagste is G. Het gemiddelde energielabel is er C. Het adres Op 'e Terp 30 heeft als status: 'verblijfsobject in gebruik'. Het pand waarin dit adres ligt heeft als status: 'pand in gebruik'.
Op 'e Terp 30 is een adres gelegen in de gemeente Leeuwarden, provincie Friesland. Dit adres is geregistreerd in de Basisregistratie Adressen en Gebouwen (BAG) met als unieke identificatie 0081010000001727.
Het pand op Op 'e Terp 30 is gebouwd in 1840, wat betekent dat het 186 jaar oud is. Dit is een ouder pand. Het pand heeft mogelijk aanzienlijke renovaties nodig om aan de huidige standaarden te voldoen.
De woning op Op 'e Terp 30 heeft een gebruiksoppervlakte van 149 m². Dit is gemiddeld vergeleken met de gemiddelde Nederlandse woning, die een oppervlakte heeft van ongeveer 119 m². De gebruiksoppervlakte is de maat die wordt gebruikt in de BAG-registratie, de landelijke registratie van de Nederlandse overheid.
Op 'e Terp 30 heeft als functie: wonen. Deze gebruiksfunctie(s) zijn vastgelegd in de BAG-registratie en geven aan waarvoor het adres officieel mag worden gebruikt.
Op 'e Terp 30 is gelegen op kadastraal perceel JSM00E141. Deze kadastrale aanduiding is uniek en wordt gebruikt door het Kadaster om eigendomsrechten en andere zakelijke rechten vast te leggen. Het perceel maakt onderdeel uit van de kadastrale gemeente Jelsum.
Het perceel waarop Op 'e Terp 30 staat heeft een oppervlakte van 240 m². Dit is een middelgroot perceel. De perceeloppervlakte wordt geregistreerd door het Kadaster. Gedetailleerde informatie over de maten van dit perceel kunt u vinden in het rapport Kadastrale kaart met maatvoering van Op 'e Terp 30.
De eigenaar van Op 'e Terp 30 is op te vragen op deze pagina.
De informatie over dit adres is afkomstig uit officiële overheidsregistraties, voornamelijk de Basisregistratie Adressen en Gebouwen (BAG) en de Basisregistratie Kadaster (BRK). Deze gegevens worden beheerd door respectievelijk gemeenten en het Kadaster, en worden regelmatig bijgewerkt. Energielabelgegevens komen uit de database van de Rijksdienst voor Ondernemend Nederland (RVO).
