
Het adres 's-Gravensloot 11 bevindt zich in de plaats Kamerik, in de gemeente Kamerik en de provincie Utrecht. Het verblijfsobject is vergeleken met het Nederlandse gemiddelde aan de kleine kant: de oppervlakte is 76 m². Het perceel waarop het adres zich bevindt heeft een oppervlakte van 4630 m². Er zijn geen kleinere objecten in deze straat. De gemiddelde oppervlakte is er 377 m². Het grootste verblijfsobject is 2882 m². De gemiddelde bouwperiode van gebouwen in Nederland ligt tussen de jaren 1965-1984. Dat geldt ook voor het bouwjaar van 's-Gravensloot 11: het is gebouwd in het jaar 1972. Dit object is relatief nieuw in de straat. Het nieuwste gebouw komt er uit het jaar 2023 en het oudste uit het jaar 1800. Voor het verblijfsobject gelden deze gebruiksdoelen: 'industriefunctie'.
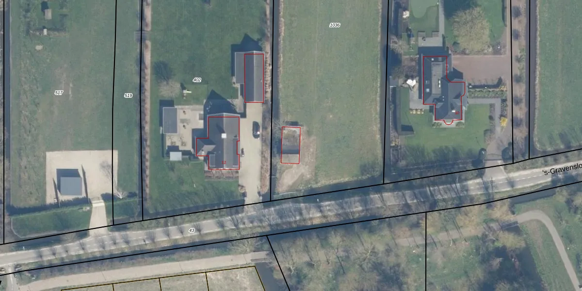
Het adres ligt op het perceel KMR00-M-1036, dat zich in de kadastrale gemeente Kamerik bevindt. De gemiddelde perceelgrootte in Kamerik is 9876,28 m². Dit perceel is kleiner: de perceeloppervlakte bedraagt 4630 m². Het kleinste perceel in de kadastrale gemeente is 0 m² groot. De grootste perceeloppervlakte is 25,5 ha. Op het perceel bevinden zich geen andere adressen. In de Basisregistratie Kadaster (BRK) werden de grenzen van het perceel geregistreerd op 05-04-2023.
Er is geen energielabel geregistreerd voor het adres. Het hoogste energielabel in de straat is A+++; het laagste is G. Het gemiddelde energielabel is er C. Het adres 's-Gravensloot 11 heeft als status: 'verblijfsobject in gebruik'. Het pand waarin dit adres ligt heeft als status: 'pand in gebruik'.
's-Gravensloot 11 is een adres gelegen in de gemeente Woerden, provincie Utrecht. Dit adres is geregistreerd in de Basisregistratie Adressen en Gebouwen (BAG) met als unieke identificatie 0632010010095217.
Het pand op 's-Gravensloot 11 is gebouwd in 1972, wat betekent dat het 54 jaar oud is. Dit is een ouder pand. Het pand heeft mogelijk aanzienlijke renovaties nodig om aan de huidige standaarden te voldoen.
De woning op 's-Gravensloot 11 heeft een gebruiksoppervlakte van 76 m². Dit is onder het gemiddelde vergeleken met de gemiddelde Nederlandse woning, die een oppervlakte heeft van ongeveer 119 m². De gebruiksoppervlakte is de maat die wordt gebruikt in de BAG-registratie, de landelijke registratie van de Nederlandse overheid.
's-Gravensloot 11 heeft als functie: industrie. Deze gebruiksfunctie(s) zijn vastgelegd in de BAG-registratie en geven aan waarvoor het adres officieel mag worden gebruikt.
's-Gravensloot 11 is gelegen op kadastraal perceel KMR00M1036. Deze kadastrale aanduiding is uniek en wordt gebruikt door het Kadaster om eigendomsrechten en andere zakelijke rechten vast te leggen. Het perceel maakt onderdeel uit van de kadastrale gemeente Kamerik.
Het perceel waarop 's-Gravensloot 11 staat heeft een oppervlakte van 4630 m². Dit is een zeer groot perceel. De perceeloppervlakte wordt geregistreerd door het Kadaster. Gedetailleerde informatie over de maten van dit perceel kunt u vinden in het rapport Kadastrale kaart met maatvoering van 's-Gravensloot 11.
De eigenaar van 's-Gravensloot 11 is op te vragen op deze pagina.
De informatie over dit adres is afkomstig uit officiële overheidsregistraties, voornamelijk de Basisregistratie Adressen en Gebouwen (BAG) en de Basisregistratie Kadaster (BRK). Deze gegevens worden beheerd door respectievelijk gemeenten en het Kadaster, en worden regelmatig bijgewerkt. Energielabelgegevens komen uit de database van de Rijksdienst voor Ondernemend Nederland (RVO).
