
Het adres Gentsevaart 97 bevindt zich in de plaats Kapellebrug, in de gemeente Kapellebrug en de provincie Zeeland. De oppervlakte bedraagt 210 m², waarmee het adres groter dan gemiddeld is. De grootte van het perceel waarop het adres ligt is 1315 m². Het object is klein ten opzichte van de andere adressen in de straat. Het grootste verblijfsobject is 5079 m² groot en het kleinste is 22 m². Gentsevaart 97 bevindt zich in een pand uit het jaar 1901. Daarmee behoort het tot de groep relatief oude panden in Nederland die gebouwd zijn vóór 1965. In de straat komt het nieuwste gebouw uit het jaar 2022 en het oudste uit 1850. Het bouwjaar van dit object is relatief oud. Het verblijfsobject heeft de volgende gebruiksdoelen: 'woonfunctie'.
Deze woning is voor het laatst verkocht op 1 juli 2015. Meer informatie over deze transactie? Bestel het Woningtransactierapport om de verkoopprijs en andere informatie te zien.
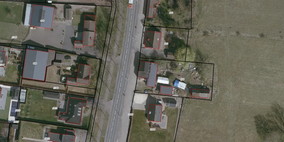
Het perceel waarop het adres ligt is HUL00-S-554. De afkorting 'HUL00' staat voor kadastrale gemeente Hulst. Het perceel is kleiner dan gemiddeld in Hulst. Het perceel is 1315 m² groot, terwijl het gemiddelde ligt op 8926,22 m². Het grootste perceel in de kadastrale gemeente is 28,35 km². Het kleinste perceel heeft een oppervlakte van 0 m². Er zijn geen andere adressen aanwezig op het perceel. In de Basisregistratie Kadaster (BRK) werden de grenzen van het perceel geregistreerd op 08-08-2000.
Er is geen energielabel geregistreerd voor het adres. Het hoogste energielabel in de straat is A+; het laagste is G. Het gemiddelde energielabel is er E. Het adres Gentsevaart 97 heeft als status: 'verblijfsobject in gebruik'. Het pand waarin dit adres ligt heeft als status: 'pand in gebruik'.
Gentsevaart 97 is een adres gelegen in de gemeente Hulst, provincie Zeeland. Dit adres is geregistreerd in de Basisregistratie Adressen en Gebouwen (BAG) met als unieke identificatie 0677010000643386.
Het pand op Gentsevaart 97 is gebouwd in 1901, wat betekent dat het 125 jaar oud is. Dit is een ouder pand. Het pand heeft mogelijk aanzienlijke renovaties nodig om aan de huidige standaarden te voldoen.
De woning op Gentsevaart 97 heeft een gebruiksoppervlakte van 210 m². Dit is ruim vergeleken met de gemiddelde Nederlandse woning, die een oppervlakte heeft van ongeveer 119 m². De gebruiksoppervlakte is de maat die wordt gebruikt in de BAG-registratie, de landelijke registratie van de Nederlandse overheid.
Gentsevaart 97 heeft als functie: wonen. Deze gebruiksfunctie(s) zijn vastgelegd in de BAG-registratie en geven aan waarvoor het adres officieel mag worden gebruikt.
Gentsevaart 97 is gelegen op kadastraal perceel HUL00S554. Deze kadastrale aanduiding is uniek en wordt gebruikt door het Kadaster om eigendomsrechten en andere zakelijke rechten vast te leggen. Het perceel maakt onderdeel uit van de kadastrale gemeente Hulst.
Het perceel waarop Gentsevaart 97 staat heeft een oppervlakte van 1315 m². Dit is een zeer groot perceel. De perceeloppervlakte wordt geregistreerd door het Kadaster. Gedetailleerde informatie over de maten van dit perceel kunt u vinden in het rapport Kadastrale kaart met maatvoering van Gentsevaart 97.
De eigenaar van Gentsevaart 97 is op te vragen op deze pagina.
De informatie over dit adres is afkomstig uit officiële overheidsregistraties, voornamelijk de Basisregistratie Adressen en Gebouwen (BAG) en de Basisregistratie Kadaster (BRK). Deze gegevens worden beheerd door respectievelijk gemeenten en het Kadaster, en worden regelmatig bijgewerkt. Energielabelgegevens komen uit de database van de Rijksdienst voor Ondernemend Nederland (RVO).
