
Het adres Campingweg 1-A-20 bevindt zich in de plaats Katwijk, in de gemeente Katwijk en de provincie Zuid-Holland. Het perceel waarop het verblijfsobject staat is 5,1 ha groot. De oppervlakte van het adres is 103 m², wat zich rond het Nederlandse gemiddelde van 119 m² bevindt. De oppervlakte van dit adres is groot vergeleken met de oppervlaktes van andere adressen in de straat. De kleinste oppervlakte bedraagt er 6 m², de grootste 218 m². In het jaar 2008 is het pand waarin Campingweg 1-A-20 ligt gebouwd. Dat is relatief recent: de meeste gebouwen in Nederland zijn gebouwd in de periode 1965-1984. In de straat is dit het nieuwste pand en stamt het oudste object uit het jaar 1980. Het gemiddelde bouwjaar in de straat is 2006. Het verblijfsobject heeft de volgende gebruiksdoelen: 'logiesfunctie'.
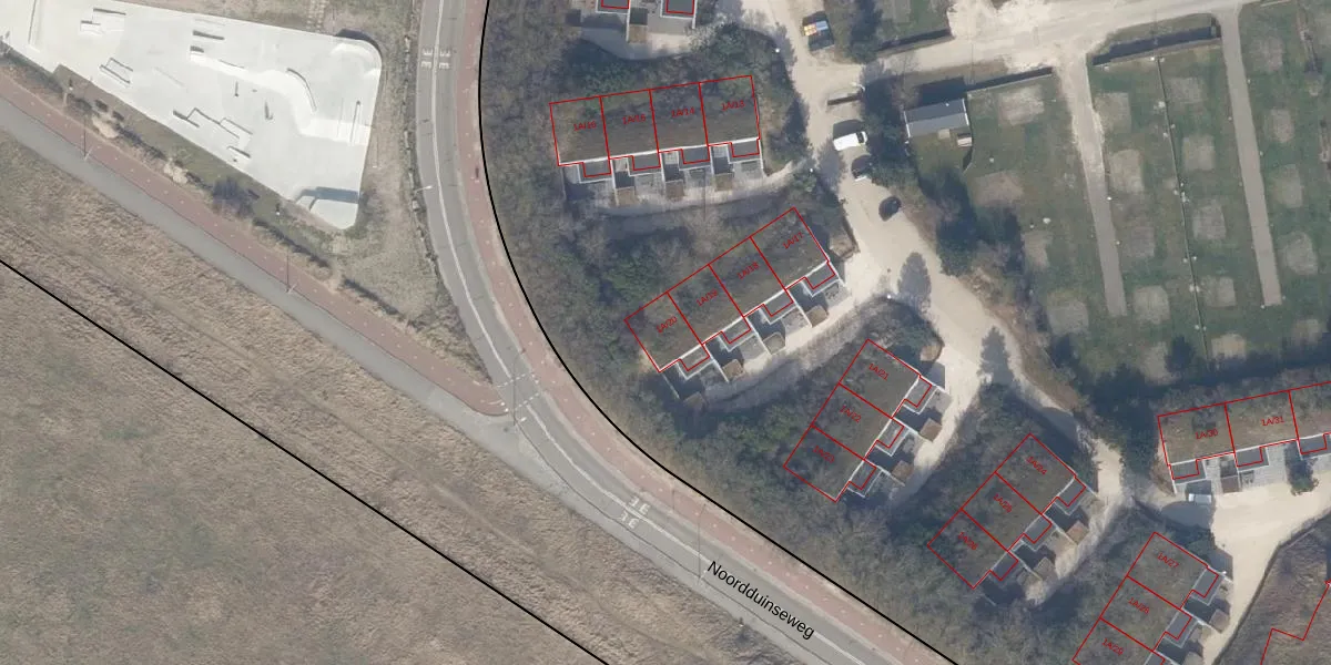
Het adres ligt op het perceel KWK01-A-16322, dat zich in de kadastrale gemeente Katwijk bevindt. De gemiddelde perceeloppervlakte in de kadastrale gemeente Katwijk is 1522,96 m². Dit perceel is met zijn 5,1 ha dus groter dan gemiddeld. De grootste perceeloppervlakte in de kadastrale gemeente is 5,24 km². De kleinste oppervlakte bedraagt 0 m². Op het perceel zijn 51 adressen aanwezig. In de Basisregistratie Kadaster (BRK) werden de grenzen van het perceel geregistreerd op 10-04-2000.
Het adres ligt in een gebouw van het type 'logieswoning'. Bij de laatste meting is voor het adres het energielabel B geregistreerd. Het hoogste energielabel in de straat is A; het laagste is G. Het gemiddelde energielabel is er A. Het adres Campingweg 1-A-20 heeft als status: 'verblijfsobject in gebruik'. Het pand waarin dit adres ligt heeft als status: 'pand in gebruik'.
Campingweg 1-A-20 is een adres gelegen in de gemeente Katwijk, provincie Zuid-Holland. Dit adres is geregistreerd in de Basisregistratie Adressen en Gebouwen (BAG) met als unieke identificatie 0537010001211949.
Het pand op Campingweg 1-A-20 is gebouwd in 2008, wat betekent dat het 18 jaar oud is. Dit is een relatief modern pand. Ten opzichte van de nationale woningvoorraad is het pand relatief modern, maar er kunnen enkele verouderde elementen zijn die aandacht nodig hebben.
De woning op Campingweg 1-A-20 heeft een gebruiksoppervlakte van 103 m². Dit is onder het gemiddelde vergeleken met de gemiddelde Nederlandse woning, die een oppervlakte heeft van ongeveer 119 m². De gebruiksoppervlakte is de maat die wordt gebruikt in de BAG-registratie, de landelijke registratie van de Nederlandse overheid.
Campingweg 1-A-20 heeft als functie: logies/verblijf. Deze gebruiksfunctie(s) zijn vastgelegd in de BAG-registratie en geven aan waarvoor het adres officieel mag worden gebruikt.
Campingweg 1-A-20 is gelegen op kadastraal perceel KWK01A16322. Deze kadastrale aanduiding is uniek en wordt gebruikt door het Kadaster om eigendomsrechten en andere zakelijke rechten vast te leggen. Het perceel maakt onderdeel uit van de kadastrale gemeente Katwijk.
Het perceel waarop Campingweg 1-A-20 staat heeft een oppervlakte van 5,1 ha. Dit is een zeer groot perceel. De perceeloppervlakte wordt geregistreerd door het Kadaster. Gedetailleerde informatie over de maten van dit perceel kunt u vinden in het rapport Kadastrale kaart met maatvoering van Campingweg 1-A-20.
De eigenaar van Campingweg 1-A-20 is op te vragen op deze pagina.
De informatie over dit adres is afkomstig uit officiële overheidsregistraties, voornamelijk de Basisregistratie Adressen en Gebouwen (BAG) en de Basisregistratie Kadaster (BRK). Deze gegevens worden beheerd door respectievelijk gemeenten en het Kadaster, en worden regelmatig bijgewerkt. Energielabelgegevens komen uit de database van de Rijksdienst voor Ondernemend Nederland (RVO).
