
Groen van Prinstererweg 1-A-5 is een adres in Katwijk, dat zich bevindt binnen de gemeentegrenzen van Katwijk en de grenzen van de provincie Zuid-Holland. De oppervlakte van het object bedraagt 43 m². Dat is klein vergeleken met het Nederlandse gemiddelde. Het perceel waarop het adres ligt is 511 m² groot. Het adres is klein vergeleken met andere objecten in de straat. Het grootste object in de straat heeft een oppervlakte van 684 m², het kleinste is 17 m² groot. Groen van Prinstererweg 1-A-5 ligt in een gebouw uit het jaar 2025. Daarmee behoort het tot de groep panden van na 1984, die we als relatief nieuw bestempelen. In de straat is dit het nieuwste pand en stamt het oudste object uit het jaar 1968. Het gemiddelde bouwjaar in de straat is 1980. Voor het verblijfsobject gelden deze gebruiksdoelen: 'woonfunctie'.
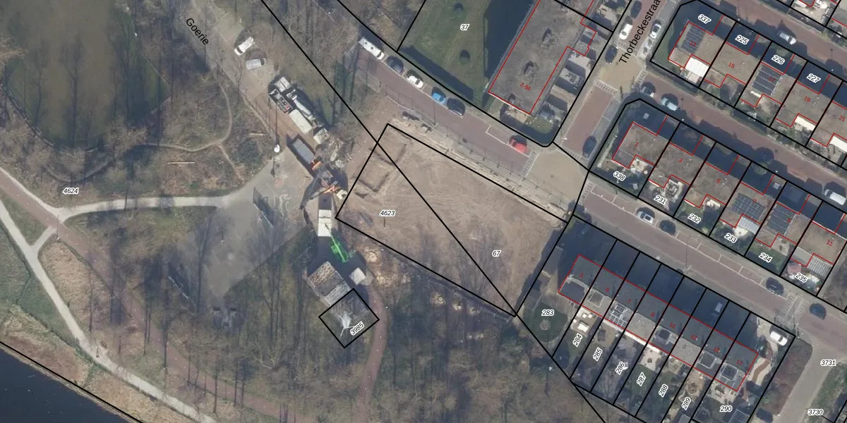
Het adres ligt op het perceel KWK01-C-4623, dat zich in de kadastrale gemeente Katwijk bevindt. De gemiddelde perceelgrootte in Katwijk is 1522,96 m². Dit perceel is kleiner: de perceeloppervlakte bedraagt 511 m². Het grootste perceel in de kadastrale gemeente is 5,24 km². Het kleinste perceel heeft een oppervlakte van 0 m². Op het perceel zijn 30 adressen aanwezig. De huidige grenzen van het perceel zijn digitaal in de Basisregistratie Kadaster (BRK) geregistreerd op 07-07-2017.
Er is geen energielabel geregistreerd voor het adres. Het hoogste energielabel in de straat is B; het laagste is G. Het gemiddelde energielabel is er C. Het adres Groen van Prinstererweg 1-A-5 heeft als status: 'verblijfsobject gevormd'. Het pand waarin dit adres ligt heeft als status: 'bouw gestart'.
Groen van Prinstererweg 1-A-5 is een adres gelegen in de gemeente Katwijk, provincie Zuid-Holland. Dit adres is geregistreerd in de Basisregistratie Adressen en Gebouwen (BAG) met als unieke identificatie 0537010001640383.
Het pand op Groen van Prinstererweg 1-A-5 is gebouwd in 2025, wat betekent dat het 1 jaar oud is. Dit is een vrij nieuw pand. Het pand is dus waarschijnlijk goed geïsoleerd, geluidsdicht en voldoet aan de huidige bouwstandaarden. Op korte termijn zijn er waarschijnlijk weinig onderhoudskosten.
De woning op Groen van Prinstererweg 1-A-5 heeft een gebruiksoppervlakte van 43 m². Dit is relatief klein vergeleken met de gemiddelde Nederlandse woning, die een oppervlakte heeft van ongeveer 119 m². De gebruiksoppervlakte is de maat die wordt gebruikt in de BAG-registratie, de landelijke registratie van de Nederlandse overheid.
Groen van Prinstererweg 1-A-5 heeft als functie: wonen. Deze gebruiksfunctie(s) zijn vastgelegd in de BAG-registratie en geven aan waarvoor het adres officieel mag worden gebruikt.
Groen van Prinstererweg 1-A-5 is gelegen op kadastraal perceel KWK01C4623. Deze kadastrale aanduiding is uniek en wordt gebruikt door het Kadaster om eigendomsrechten en andere zakelijke rechten vast te leggen. Het perceel maakt onderdeel uit van de kadastrale gemeente Katwijk.
Het perceel waarop Groen van Prinstererweg 1-A-5 staat heeft een oppervlakte van 511 m². Dit is een groot perceel. De perceeloppervlakte wordt geregistreerd door het Kadaster. Gedetailleerde informatie over de maten van dit perceel kunt u vinden in het rapport Kadastrale kaart met maatvoering van Groen van Prinstererweg 1-A-5.
De eigenaar van Groen van Prinstererweg 1-A-5 is op te vragen op deze pagina.
De informatie over dit adres is afkomstig uit officiële overheidsregistraties, voornamelijk de Basisregistratie Adressen en Gebouwen (BAG) en de Basisregistratie Kadaster (BRK). Deze gegevens worden beheerd door respectievelijk gemeenten en het Kadaster, en worden regelmatig bijgewerkt. Energielabelgegevens komen uit de database van de Rijksdienst voor Ondernemend Nederland (RVO).
