
Nolensstraat 2-K-204 is een adres in Katwijk, dat zich bevindt binnen de gemeentegrenzen van Katwijk en de grenzen van de provincie Zuid-Holland. Het perceel waarop het adres gelegen is heeft een oppervlakte van 4167 m². Het verblijfsobject is met 28 m² relatief klein. Het adres is klein vergeleken met andere objecten in de straat. Het grootste object in de straat heeft een oppervlakte van 1646 m², het kleinste is 12 m² groot. Nolensstraat 2-K-204 ligt in een gebouw uit het jaar 2018. Daarmee behoort het tot de groep panden van na 1984, die we als relatief nieuw bestempelen. Het gemiddelde bouwjaar in de straat is 2016 en dat van het oudste pand is 1966. Dit is het nieuwste object in de straat. Voor het verblijfsobject gelden deze gebruiksdoelen: 'woonfunctie' en 'gezondheidszorgfunctie'.
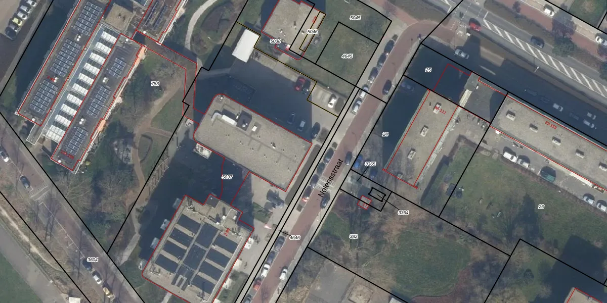
Het adres ligt op het perceel KWK01-C-5037, dat zich in de kadastrale gemeente Katwijk bevindt. Het perceel is met 4167 m² relatief groot. Het gemiddelde ligt in de kadastrale gemeente Katwijk op 1522,96 m². Het grootste perceel in de kadastrale gemeente is 5,24 km². Het kleinste perceel heeft een oppervlakte van 0 m². Er zijn 70 adressen aanwezig op het perceel. De huidige grenzen van het perceel zijn digitaal in de Basisregistratie Kadaster (BRK) geregistreerd op 12-08-2025.
Er is geen energielabel geregistreerd voor het adres. Het hoogste energielabel in de straat is A++; het laagste is G. Het gemiddelde energielabel is er A. Het adres Nolensstraat 2-K-204 heeft als status: 'verblijfsobject in gebruik'. Het pand waarin dit adres ligt heeft als status: 'pand in gebruik'.
Nolensstraat 2-K-204 is een adres gelegen in de gemeente Katwijk, provincie Zuid-Holland. Dit adres is geregistreerd in de Basisregistratie Adressen en Gebouwen (BAG) met als unieke identificatie 0537010001216007.
Het pand op Nolensstraat 2-K-204 is gebouwd in 2018, wat betekent dat het 8 jaar oud is. Dit is een vrij nieuw pand. Het pand is dus waarschijnlijk goed geïsoleerd, geluidsdicht en voldoet aan de huidige bouwstandaarden. Op korte termijn zijn er waarschijnlijk weinig onderhoudskosten.
De woning op Nolensstraat 2-K-204 heeft een gebruiksoppervlakte van 28 m². Dit is relatief klein vergeleken met de gemiddelde Nederlandse woning, die een oppervlakte heeft van ongeveer 119 m². De gebruiksoppervlakte is de maat die wordt gebruikt in de BAG-registratie, de landelijke registratie van de Nederlandse overheid.
Nolensstraat 2-K-204 heeft als functie: wonen en gezondheidszorg. Deze gebruiksfunctie(s) zijn vastgelegd in de BAG-registratie en geven aan waarvoor het adres officieel mag worden gebruikt.
Nolensstraat 2-K-204 is gelegen op kadastraal perceel KWK01C5037. Deze kadastrale aanduiding is uniek en wordt gebruikt door het Kadaster om eigendomsrechten en andere zakelijke rechten vast te leggen. Het perceel maakt onderdeel uit van de kadastrale gemeente Katwijk.
Het perceel waarop Nolensstraat 2-K-204 staat heeft een oppervlakte van 4167 m². Dit is een zeer groot perceel. De perceeloppervlakte wordt geregistreerd door het Kadaster. Gedetailleerde informatie over de maten van dit perceel kunt u vinden in het rapport Kadastrale kaart met maatvoering van Nolensstraat 2-K-204.
De eigenaar van Nolensstraat 2-K-204 is op te vragen op deze pagina.
De informatie over dit adres is afkomstig uit officiële overheidsregistraties, voornamelijk de Basisregistratie Adressen en Gebouwen (BAG) en de Basisregistratie Kadaster (BRK). Deze gegevens worden beheerd door respectievelijk gemeenten en het Kadaster, en worden regelmatig bijgewerkt. Energielabelgegevens komen uit de database van de Rijksdienst voor Ondernemend Nederland (RVO).
