
Het adres Hammolenweg 42 bevindt zich in de plaats Kerkrade, in de gemeente Kerkrade en de provincie Limburg. De oppervlakte van het object bedraagt 69 m². Dat is klein vergeleken met het Nederlandse gemiddelde. Het perceel waarop het adres ligt is 259 m² groot. Het object is klein ten opzichte van de andere adressen in de straat. Het grootste verblijfsobject is 5029 m² groot en het kleinste is 33 m². In het jaar 1996 is het pand waarin Hammolenweg 42 ligt gebouwd. Dat is relatief recent: de meeste gebouwen in Nederland zijn gebouwd in de periode 1965-1984. In de straat komt het nieuwste gebouw uit het jaar 2025 en het oudste uit 1875. Het bouwjaar van dit object is relatief oud. De volgende gebruiksdoelen zijn geregistreerd voor dit adres: 'woonfunctie'.
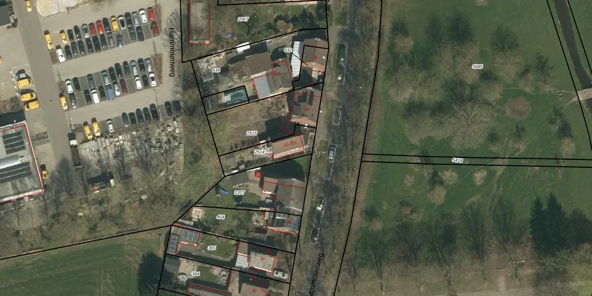
Het perceel waarop het adres ligt is KRD00-H-2514. De afkorting 'KRD00' staat voor kadastrale gemeente Kerkrade. Het perceel is 259 m² groot. Dat is kleiner dan de gemiddelde perceeloppervlakte in Kerkrade, dat op 1061,17 m² ligt. De grootste perceeloppervlakte in de kadastrale gemeente is 63,5 ha. De kleinste oppervlakte bedraagt 0 m². Op het perceel zijn 2 adressen aanwezig. In de Basisregistratie Kadaster (BRK) werden de grenzen van het perceel geregistreerd op 18-12-2007.
Er is geen energielabel geregistreerd voor het adres. Het hoogste energielabel in de straat is A+; het laagste is G. Het gemiddelde energielabel is er D. Het adres Hammolenweg 42 heeft als status: 'verblijfsobject in gebruik'. Het pand waarin dit adres ligt heeft als status: 'pand in gebruik'.
Hammolenweg 42 is een adres gelegen in de gemeente Kerkrade, provincie Limburg. Dit adres is geregistreerd in de Basisregistratie Adressen en Gebouwen (BAG) met als unieke identificatie 0928010000018022.
Het pand op Hammolenweg 42 is gebouwd in 1996, wat betekent dat het 30 jaar oud is. Dit is een pand van middelbare leeftijd. Het pand is van gemiddelde leeftijd en zal waarschijnlijk verouderde elementen bevatten.
De woning op Hammolenweg 42 heeft een gebruiksoppervlakte van 69 m². Dit is relatief klein vergeleken met de gemiddelde Nederlandse woning, die een oppervlakte heeft van ongeveer 119 m². De gebruiksoppervlakte is de maat die wordt gebruikt in de BAG-registratie, de landelijke registratie van de Nederlandse overheid.
Hammolenweg 42 heeft als functie: wonen. Deze gebruiksfunctie(s) zijn vastgelegd in de BAG-registratie en geven aan waarvoor het adres officieel mag worden gebruikt.
Hammolenweg 42 is gelegen op kadastraal perceel KRD00H2514. Deze kadastrale aanduiding is uniek en wordt gebruikt door het Kadaster om eigendomsrechten en andere zakelijke rechten vast te leggen. Het perceel maakt onderdeel uit van de kadastrale gemeente Kerkrade.
Het perceel waarop Hammolenweg 42 staat heeft een oppervlakte van 259 m². Dit is een middelgroot perceel. De perceeloppervlakte wordt geregistreerd door het Kadaster. Gedetailleerde informatie over de maten van dit perceel kunt u vinden in het rapport Kadastrale kaart met maatvoering van Hammolenweg 42.
De eigenaar van Hammolenweg 42 is op te vragen op deze pagina.
De informatie over dit adres is afkomstig uit officiële overheidsregistraties, voornamelijk de Basisregistratie Adressen en Gebouwen (BAG) en de Basisregistratie Kadaster (BRK). Deze gegevens worden beheerd door respectievelijk gemeenten en het Kadaster, en worden regelmatig bijgewerkt. Energielabelgegevens komen uit de database van de Rijksdienst voor Ondernemend Nederland (RVO).
