Het adres Struverstraat 26 bevindt zich in de plaats Kerkrade, in de gemeente Kerkrade en de provincie Limburg. Het perceel waarop het adres gelegen is heeft een oppervlakte van 1655 m². Het verblijfsobject is met 75 m² relatief klein. De oppervlakte van dit adres is groot vergeleken met de oppervlaktes van andere adressen in de straat. De kleinste oppervlakte bedraagt er 13 m², de grootste 144 m². De meeste Nederlandse gebouwen zijn gebouwd in de periode 1965-1984. Zo ook het pand waarin Struverstraat 26 ligt, dat gebouwd is in 1965. Het gemiddelde bouwjaar in de straat is 1965 en dat van het oudste pand is 1961. Dit is het nieuwste object in de straat. De volgende gebruiksdoelen zijn geregistreerd voor dit adres: 'woonfunctie'.
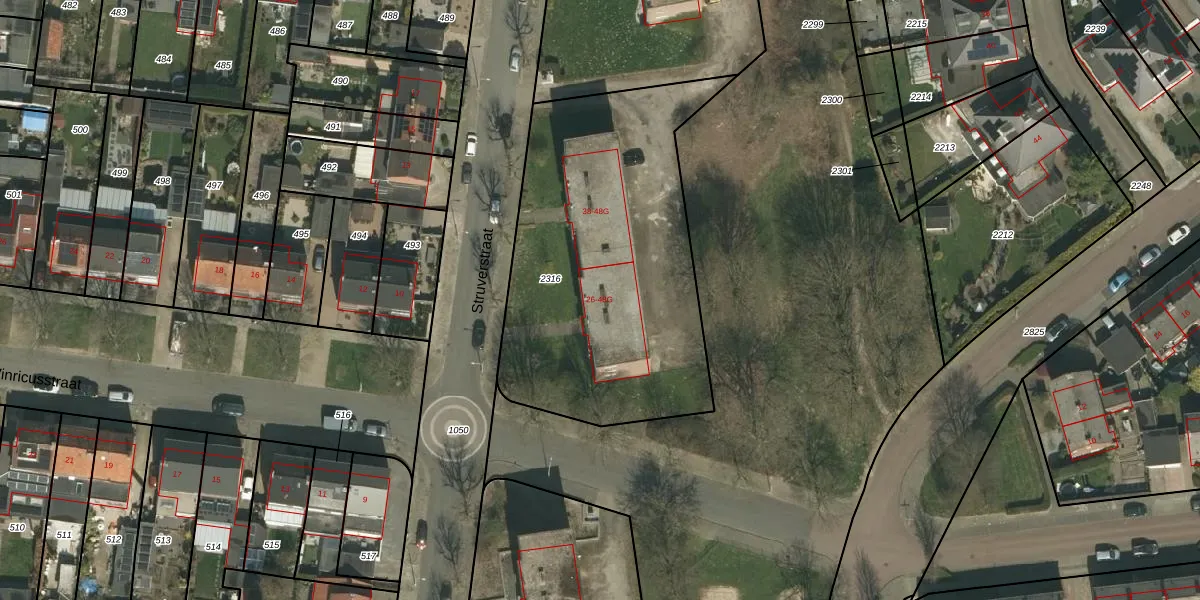
Het adres ligt op het perceel KRD00-H-2316, dat zich in de kadastrale gemeente Kerkrade bevindt. De oppervlakte van het perceel is 1655 m². Dat is groter dan gemiddeld in Kerkrade, waar de gemiddelde perceeloppervlakte op 1059,54 m² ligt. De grootste perceeloppervlakte in de kadastrale gemeente is 63,5 ha. De kleinste oppervlakte bedraagt 0 m². Er zijn 23 adressen aanwezig op het perceel. In de Basisregistratie Kadaster (BRK) werden de grenzen van het perceel geregistreerd op 18-12-2007.
Er is geen energielabel geregistreerd voor het adres. Het hoogste energielabel in de straat is A; het laagste is G. Het gemiddelde energielabel is er C. Het adres Struverstraat 26 heeft als status: 'verblijfsobject in gebruik'. Het pand waarin dit adres ligt heeft als status: 'pand in gebruik'.
Struverstraat 26 is een adres gelegen in de gemeente Kerkrade, provincie Limburg. Dit adres is geregistreerd in de Basisregistratie Adressen en Gebouwen (BAG) met als unieke identificatie 0928010000030822.
Het pand op Struverstraat 26 is gebouwd in 1965, wat betekent dat het 61 jaar oud is. Dit is een ouder pand. Het pand heeft mogelijk aanzienlijke renovaties nodig om aan de huidige standaarden te voldoen.
De woning op Struverstraat 26 heeft een gebruiksoppervlakte van 75 m². Dit is onder het gemiddelde vergeleken met de gemiddelde Nederlandse woning, die een oppervlakte heeft van ongeveer 119 m². De gebruiksoppervlakte is de maat die wordt gebruikt in de BAG-registratie, de landelijke registratie van de Nederlandse overheid.
Struverstraat 26 heeft als functie: wonen. Deze gebruiksfunctie(s) zijn vastgelegd in de BAG-registratie en geven aan waarvoor het adres officieel mag worden gebruikt.
Struverstraat 26 is gelegen op kadastraal perceel KRD00H2316. Deze kadastrale aanduiding is uniek en wordt gebruikt door het Kadaster om eigendomsrechten en andere zakelijke rechten vast te leggen. Het perceel maakt onderdeel uit van de kadastrale gemeente Kerkrade.
Het perceel waarop Struverstraat 26 staat heeft een oppervlakte van 1655 m². Dit is een zeer groot perceel. De perceeloppervlakte wordt geregistreerd door het Kadaster. Gedetailleerde informatie over de maten van dit perceel kunt u vinden in het rapport Kadastrale kaart met maatvoering van Struverstraat 26.
De eigenaar van Struverstraat 26 is op te vragen op deze pagina
De informatie over dit adres is afkomstig uit officiële overheidsregistraties, voornamelijk de Basisregistratie Adressen en Gebouwen (BAG) en de Basisregistratie Kadaster (BRK). Deze gegevens worden beheerd door respectievelijk gemeenten en het Kadaster, en worden regelmatig bijgewerkt. Energielabelgegevens komen uit de database van de Rijksdienst voor Ondernemend Nederland (RVO).
