
Het adres Puntweg 10-N01 bevindt zich in de plaats Kinderdijk, in de gemeente Kinderdijk en de provincie Zuid-Holland. De oppervlakte van het object bedraagt 8 m². Dat is klein vergeleken met het Nederlandse gemiddelde. Het perceel waarop het adres ligt is 20 m² groot. Er zijn geen kleinere objecten in deze straat. De gemiddelde oppervlakte is er 304 m². Het grootste verblijfsobject is 794 m². Puntweg 10-N01 ligt in een gebouw uit het jaar 1990. Daarmee behoort het tot de groep panden van na 1984, die we als relatief nieuw bestempelen. In de straat is dit het nieuwste pand en stamt het oudste object uit het jaar 1917. Het gemiddelde bouwjaar in de straat is 1953. De volgende gebruiksdoelen zijn geregistreerd voor dit adres: 'overige gebruiksfunctie'.
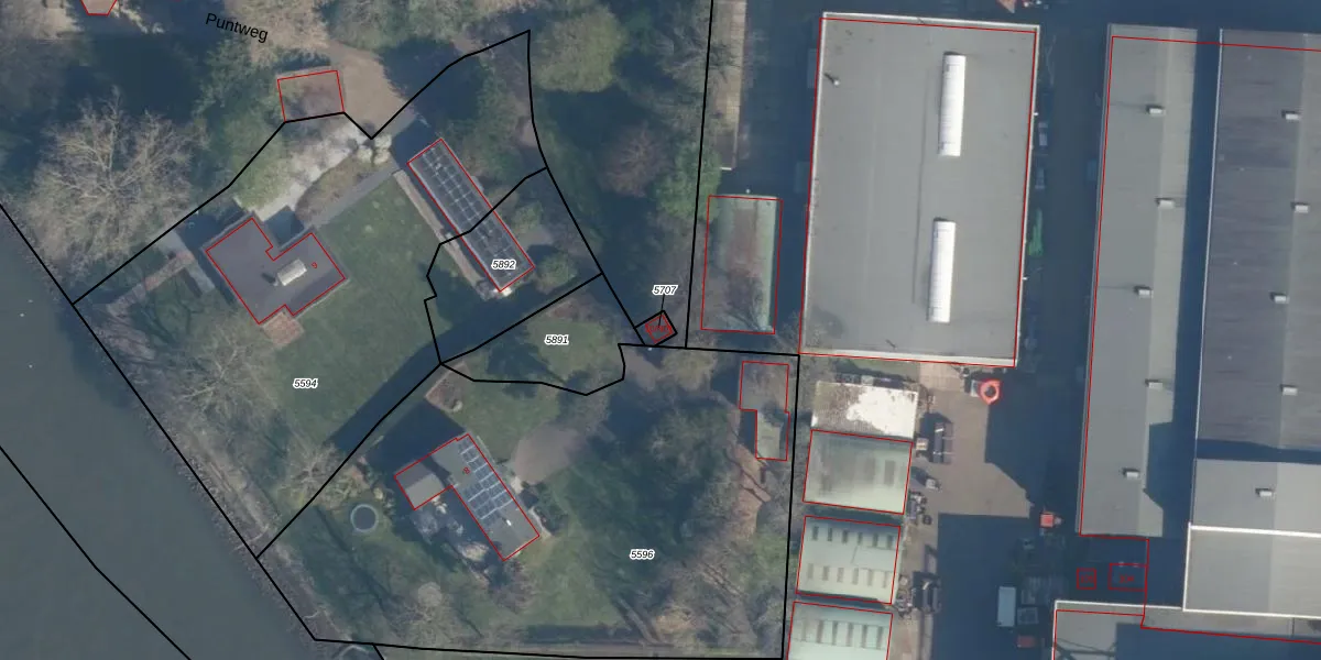
Het adres ligt op het perceel LKL00-A-5707, dat zich in de kadastrale gemeente Nieuw-Lekkerland bevindt. Het perceel is 20 m² groot. Dat is kleiner dan de gemiddelde perceeloppervlakte in Nieuw-Lekkerland, dat op 3231,94 m² ligt. Het grootste perceel in de kadastrale gemeente is 64,6 ha. Het kleinste perceel heeft een oppervlakte van 0 m². Er zijn geen andere adressen aanwezig op het perceel. In de Basisregistratie Kadaster (BRK) werden de grenzen van het perceel geregistreerd op 03-12-1998.
Er is geen energielabel geregistreerd voor het adres. Het hoogste energielabel in de straat is C; het laagste is G. Het gemiddelde energielabel is er C. Het adres Puntweg 10-N01 heeft als status: 'verblijfsobject in gebruik'. Het pand waarin dit adres ligt heeft als status: 'pand in gebruik'.
Puntweg 10-N01 is een adres gelegen in de gemeente Molenlanden, provincie Zuid-Holland. Dit adres is geregistreerd in de Basisregistratie Adressen en Gebouwen (BAG) met als unieke identificatie 0571010000003956.
Het pand op Puntweg 10-N01 is gebouwd in 1990, wat betekent dat het 36 jaar oud is. Dit is een pand van middelbare leeftijd. Het pand is van gemiddelde leeftijd en zal waarschijnlijk verouderde elementen bevatten.
De woning op Puntweg 10-N01 heeft een gebruiksoppervlakte van 8 m². Dit is relatief klein vergeleken met de gemiddelde Nederlandse woning, die een oppervlakte heeft van ongeveer 119 m². De gebruiksoppervlakte is de maat die wordt gebruikt in de BAG-registratie, de landelijke registratie van de Nederlandse overheid.
Puntweg 10-N01 heeft als functie: overige doeleinden. Deze gebruiksfunctie(s) zijn vastgelegd in de BAG-registratie en geven aan waarvoor het adres officieel mag worden gebruikt.
Puntweg 10-N01 is gelegen op kadastraal perceel LKL00A5707. Deze kadastrale aanduiding is uniek en wordt gebruikt door het Kadaster om eigendomsrechten en andere zakelijke rechten vast te leggen. Het perceel maakt onderdeel uit van de kadastrale gemeente Nieuw-Lekkerland.
Het perceel waarop Puntweg 10-N01 staat heeft een oppervlakte van 20 m². Dit is een klein perceel. De perceeloppervlakte wordt geregistreerd door het Kadaster. Gedetailleerde informatie over de maten van dit perceel kunt u vinden in het rapport Kadastrale kaart met maatvoering van Puntweg 10-N01.
De eigenaar van Puntweg 10-N01 is op te vragen op deze pagina.
De informatie over dit adres is afkomstig uit officiële overheidsregistraties, voornamelijk de Basisregistratie Adressen en Gebouwen (BAG) en de Basisregistratie Kadaster (BRK). Deze gegevens worden beheerd door respectievelijk gemeenten en het Kadaster, en worden regelmatig bijgewerkt. Energielabelgegevens komen uit de database van de Rijksdienst voor Ondernemend Nederland (RVO).
