
Hazeloop 8 is gelegen in de plaats Knegsel, de gemeente Eersel en de provincie Noord-Brabant. Het verblijfsobject is 138 m² groot en bevindt zich op een perceel met een oppervlakte van 1660 m². Gemiddeld hebben adressen in Nederland een oppervlakte van 119 m². Er zijn geen kleinere objecten in deze straat. De gemiddelde oppervlakte is er 197 m². Het grootste verblijfsobject is 268 m². Hazeloop 8 bevindt zich in een pand uit het jaar 1962. Daarmee behoort het tot de groep relatief oude panden in Nederland die gebouwd zijn vóór 1965. Het gemiddelde bouwjaar in de straat is 1962 en dat van het nieuwste object 1963. In de straat is dit het oudste pand. De volgende gebruiksdoelen zijn geregistreerd voor dit adres: 'woonfunctie'.
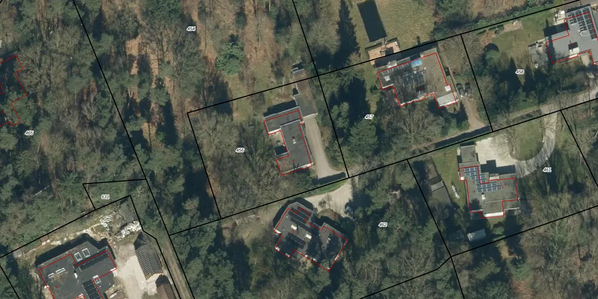
Het adres ligt op het perceel VSM01-M-456, dat zich in de kadastrale gemeente Vessem bevindt. Het perceel is 1660 m² groot. Dat is kleiner dan de gemiddelde perceeloppervlakte in Vessem, dat op 7684,17 m² ligt. Het grootste perceel in de kadastrale gemeente is 2,88 km². Het kleinste perceel heeft een oppervlakte van 0 m². Dit is het enige adres dat aanwezig is op het perceel. De laatste wijziging in het de Basisregistratie Kadaster (BRK) was op 11-12-2008.
Er is geen energielabel geregistreerd voor het adres. Het hoogste energielabel in de straat is D; het laagste is G. Het gemiddelde energielabel is er E. Het adres Hazeloop 8 heeft als status: 'verblijfsobject in gebruik'. Het pand waarin dit adres ligt heeft als status: 'pand in gebruik'.
Hazeloop 8 is een adres gelegen in de gemeente Eersel, provincie Noord-Brabant. Dit adres is geregistreerd in de Basisregistratie Adressen en Gebouwen (BAG) met als unieke identificatie 0770010000000926.
Het pand op Hazeloop 8 is gebouwd in 1962, wat betekent dat het 64 jaar oud is. Dit is een ouder pand. Het pand heeft mogelijk aanzienlijke renovaties nodig om aan de huidige standaarden te voldoen.
De woning op Hazeloop 8 heeft een gebruiksoppervlakte van 138 m². Dit is gemiddeld vergeleken met de gemiddelde Nederlandse woning, die een oppervlakte heeft van ongeveer 119 m². De gebruiksoppervlakte is de maat die wordt gebruikt in de BAG-registratie, de landelijke registratie van de Nederlandse overheid.
Hazeloop 8 heeft als functie: wonen. Deze gebruiksfunctie(s) zijn vastgelegd in de BAG-registratie en geven aan waarvoor het adres officieel mag worden gebruikt.
Hazeloop 8 is gelegen op kadastraal perceel VSM01M456. Deze kadastrale aanduiding is uniek en wordt gebruikt door het Kadaster om eigendomsrechten en andere zakelijke rechten vast te leggen. Het perceel maakt onderdeel uit van de kadastrale gemeente Vessem.
Het perceel waarop Hazeloop 8 staat heeft een oppervlakte van 1660 m². Dit is een zeer groot perceel. De perceeloppervlakte wordt geregistreerd door het Kadaster. Gedetailleerde informatie over de maten van dit perceel kunt u vinden in het rapport Kadastrale kaart met maatvoering van Hazeloop 8.
De eigenaar van Hazeloop 8 is op te vragen op deze pagina.
De informatie over dit adres is afkomstig uit officiële overheidsregistraties, voornamelijk de Basisregistratie Adressen en Gebouwen (BAG) en de Basisregistratie Kadaster (BRK). Deze gegevens worden beheerd door respectievelijk gemeenten en het Kadaster, en worden regelmatig bijgewerkt. Energielabelgegevens komen uit de database van de Rijksdienst voor Ondernemend Nederland (RVO).
