
Eikenlaan 2 is gelegen in de plaats Kolham, de gemeente Midden-Groningen en de provincie Groningen. Het verblijfsobject is vergeleken met het Nederlandse gemiddelde aan de kleine kant: de oppervlakte is 93 m². Het perceel waarop het adres zich bevindt heeft een oppervlakte van 825 m². Het object is klein ten opzichte van de andere adressen in de straat. Het grootste verblijfsobject is 680 m² groot en het kleinste is 7 m². De gemiddelde bouwperiode van gebouwen in Nederland ligt tussen de jaren 1965-1984. Dat geldt ook voor het bouwjaar van Eikenlaan 2: het is gebouwd in het jaar 1966. Dit object is relatief nieuw in de straat. Het nieuwste gebouw komt er uit het jaar 2021 en het oudste uit het jaar 1928. De volgende gebruiksdoelen zijn geregistreerd voor dit adres: 'woonfunctie'.
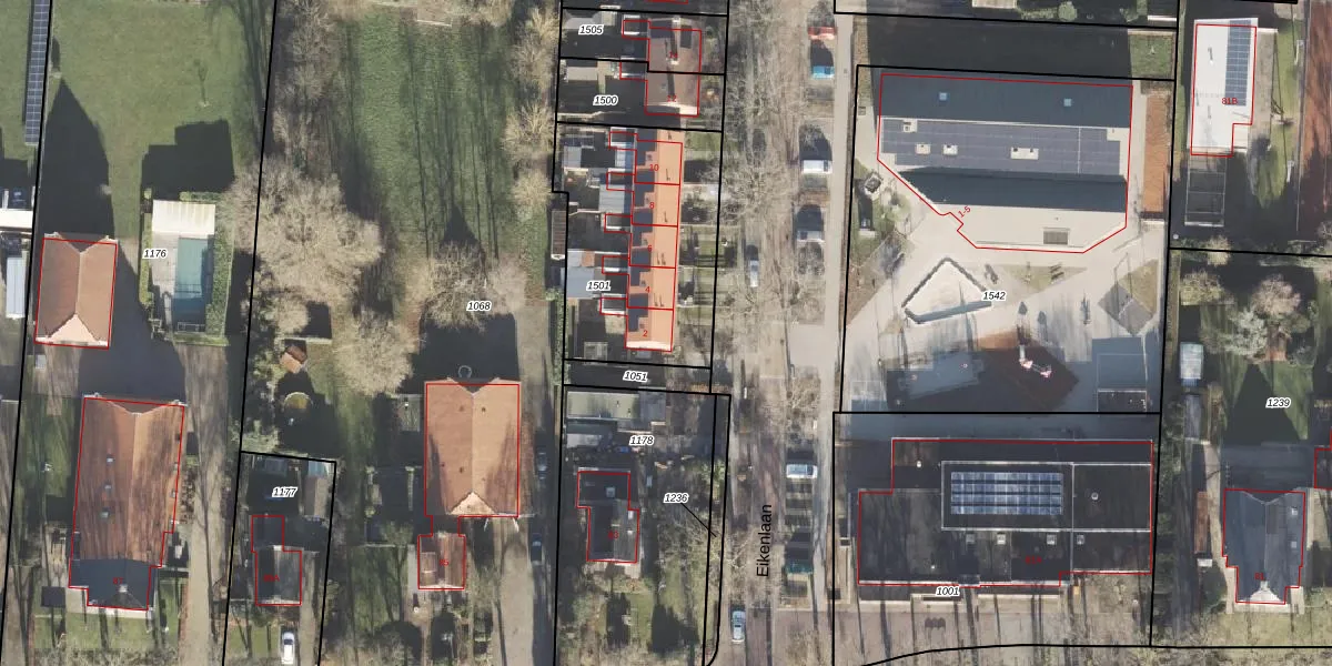
Het perceel waarop het adres ligt is STR02-K-1501. De afkorting 'STR02' staat voor kadastrale gemeente Slochteren. Het perceel is 825 m² groot. Dat is kleiner dan de gemiddelde perceeloppervlakte in Slochteren, dat op 1,2 ha ligt. Het kleinste perceel in de kadastrale gemeente is 0 m² groot. De grootste perceeloppervlakte is 2,45 km². Op het perceel liggen in totaal 5 adressen. De laatste wijziging in het de Basisregistratie Kadaster (BRK) was op 27-05-2009.
Het adres ligt in een gebouw van het type 'rijwoning hoek'. Bij de laatste meting is voor het adres het energielabel A geregistreerd. Het hoogste energielabel in de straat is A++++; het laagste is G. Het gemiddelde energielabel is er C. Het adres Eikenlaan 2 heeft als status: 'verblijfsobject in gebruik'. Het pand waarin dit adres ligt heeft als status: 'pand in gebruik'.
Eikenlaan 2 is een adres gelegen in de gemeente Midden-Groningen, provincie Groningen. Dit adres is geregistreerd in de Basisregistratie Adressen en Gebouwen (BAG) met als unieke identificatie 0040010000001321.
Het pand op Eikenlaan 2 is gebouwd in 1966, wat betekent dat het 60 jaar oud is. Dit is een ouder pand. Het pand heeft mogelijk aanzienlijke renovaties nodig om aan de huidige standaarden te voldoen.
De woning op Eikenlaan 2 heeft een gebruiksoppervlakte van 93 m². Dit is onder het gemiddelde vergeleken met de gemiddelde Nederlandse woning, die een oppervlakte heeft van ongeveer 119 m². De gebruiksoppervlakte is de maat die wordt gebruikt in de BAG-registratie, de landelijke registratie van de Nederlandse overheid.
Eikenlaan 2 heeft als functie: wonen. Deze gebruiksfunctie(s) zijn vastgelegd in de BAG-registratie en geven aan waarvoor het adres officieel mag worden gebruikt.
Eikenlaan 2 is gelegen op kadastraal perceel STR02K1501. Deze kadastrale aanduiding is uniek en wordt gebruikt door het Kadaster om eigendomsrechten en andere zakelijke rechten vast te leggen. Het perceel maakt onderdeel uit van de kadastrale gemeente Slochteren.
Het perceel waarop Eikenlaan 2 staat heeft een oppervlakte van 825 m². Dit is een groot perceel. De perceeloppervlakte wordt geregistreerd door het Kadaster. Gedetailleerde informatie over de maten van dit perceel kunt u vinden in het rapport Kadastrale kaart met maatvoering van Eikenlaan 2.
De eigenaar van Eikenlaan 2 is op te vragen op deze pagina
De informatie over dit adres is afkomstig uit officiële overheidsregistraties, voornamelijk de Basisregistratie Adressen en Gebouwen (BAG) en de Basisregistratie Kadaster (BRK). Deze gegevens worden beheerd door respectievelijk gemeenten en het Kadaster, en worden regelmatig bijgewerkt. Energielabelgegevens komen uit de database van de Rijksdienst voor Ondernemend Nederland (RVO).
