
Het adres Kolhamsterbos 3 bevindt zich in de plaats Kolham, in de gemeente Kolham en de provincie Groningen. De oppervlakte van het adres is 138 m². Dat is vergelijkbaar met het gemiddelde Nederlandse oppervlakte van 119 m². De oppervlakte van het perceel waarin het adres ligt is 3451 m². In de straat is dit het kleinste object. Het grootste verblijfsobject heeft een oppervlakte van 238 m². De gemiddelde grootte is er 179 m². De meeste Nederlandse gebouwen zijn gebouwd in de periode 1965-1984. Zo ook het pand waarin Kolhamsterbos 3 ligt, dat gebouwd is in 1982. Dit pand is het meest recent exemplaar in de straat. Het oudste object komt er uit 1937 en het gemiddelde bouwjaar is 1963. De volgende gebruiksdoelen zijn geregistreerd voor dit adres: 'woonfunctie'.
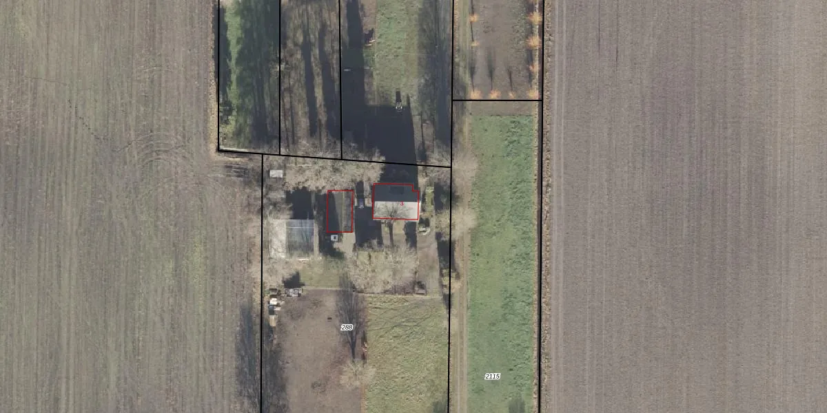
Het perceel waarop het adres ligt is STR02-U-288. De afkorting 'STR02' staat voor kadastrale gemeente Slochteren. Het perceel is 3451 m² groot. Dat is kleiner dan de gemiddelde perceeloppervlakte in Slochteren, dat op 1,2 ha ligt. De grootste perceeloppervlakte in de kadastrale gemeente is 2,45 km². De kleinste oppervlakte bedraagt 0 m². Op het perceel bevinden zich geen andere adressen. In de Basisregistratie Kadaster (BRK) werden de grenzen van het perceel geregistreerd op 22-01-1999.
Er is geen energielabel geregistreerd voor het adres. Het hoogste energielabel in de straat is E; het laagste is G. Het gemiddelde energielabel is er E. Het adres Kolhamsterbos 3 heeft als status: 'verblijfsobject in gebruik'. Het pand waarin dit adres ligt heeft als status: 'pand in gebruik'.
Kolhamsterbos 3 is een adres gelegen in de gemeente Midden-Groningen, provincie Groningen. Dit adres is geregistreerd in de Basisregistratie Adressen en Gebouwen (BAG) met als unieke identificatie 0040010000001519.
Het pand op Kolhamsterbos 3 is gebouwd in 1982, wat betekent dat het 44 jaar oud is. Dit is een pand van middelbare leeftijd. Het pand is van gemiddelde leeftijd en zal waarschijnlijk verouderde elementen bevatten.
De woning op Kolhamsterbos 3 heeft een gebruiksoppervlakte van 138 m². Dit is gemiddeld vergeleken met de gemiddelde Nederlandse woning, die een oppervlakte heeft van ongeveer 119 m². De gebruiksoppervlakte is de maat die wordt gebruikt in de BAG-registratie, de landelijke registratie van de Nederlandse overheid.
Kolhamsterbos 3 heeft als functie: wonen. Deze gebruiksfunctie(s) zijn vastgelegd in de BAG-registratie en geven aan waarvoor het adres officieel mag worden gebruikt.
Kolhamsterbos 3 is gelegen op kadastraal perceel STR02U288. Deze kadastrale aanduiding is uniek en wordt gebruikt door het Kadaster om eigendomsrechten en andere zakelijke rechten vast te leggen. Het perceel maakt onderdeel uit van de kadastrale gemeente Slochteren.
Het perceel waarop Kolhamsterbos 3 staat heeft een oppervlakte van 3451 m². Dit is een zeer groot perceel. De perceeloppervlakte wordt geregistreerd door het Kadaster. Gedetailleerde informatie over de maten van dit perceel kunt u vinden in het rapport Kadastrale kaart met maatvoering van Kolhamsterbos 3.
De eigenaar van Kolhamsterbos 3 is op te vragen op deze pagina
De informatie over dit adres is afkomstig uit officiële overheidsregistraties, voornamelijk de Basisregistratie Adressen en Gebouwen (BAG) en de Basisregistratie Kadaster (BRK). Deze gegevens worden beheerd door respectievelijk gemeenten en het Kadaster, en worden regelmatig bijgewerkt. Energielabelgegevens komen uit de database van de Rijksdienst voor Ondernemend Nederland (RVO).
