
Bounswei 3-D is gelegen in de plaats Kollumersweach, de gemeente Noardeast-Fryslân en de provincie Friesland. Het perceel waarop het adres gelegen is heeft een oppervlakte van 1,6 ha. Het verblijfsobject is met 43 m² relatief klein. Het adres is klein vergeleken met andere objecten in de straat. Het grootste object in de straat heeft een oppervlakte van 311 m², het kleinste is 34 m² groot. In het jaar 2019 is het pand waarin Bounswei 3-D ligt gebouwd. Dat is relatief recent: de meeste gebouwen in Nederland zijn gebouwd in de periode 1965-1984. Het gemiddelde bouwjaar in de straat is 1984 en dat van het oudste pand is 1910. Dit is het nieuwste object in de straat. De volgende gebruiksdoelen zijn geregistreerd voor dit adres: 'logiesfunctie'.
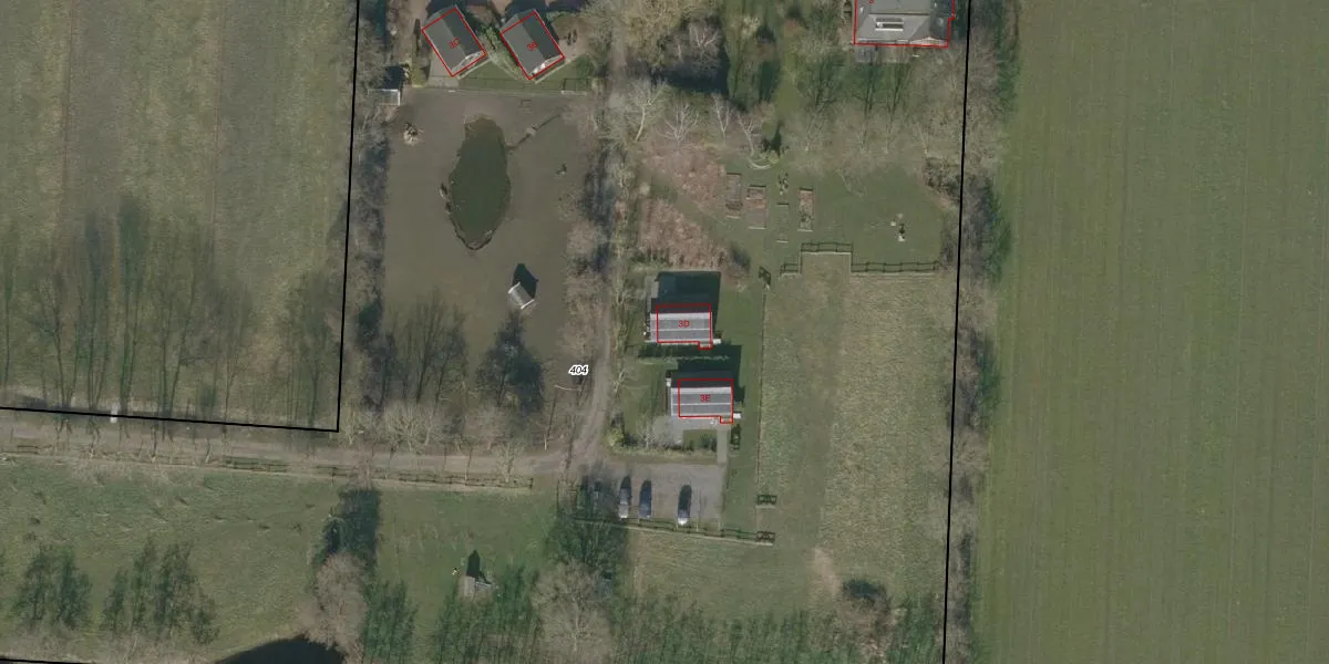
Het adres ligt op het perceel WTG01-F-404, dat zich in de kadastrale gemeente Westergeest bevindt. De oppervlakte van het perceel is 1,6 ha. Dat is groter dan gemiddeld in Westergeest, waar de gemiddelde perceeloppervlakte op 8417,21 m² ligt. De grootste perceeloppervlakte in de kadastrale gemeente is 47,5 ha. De kleinste oppervlakte bedraagt 0 m². Er zijn 6 adressen aanwezig op het perceel. De laatste wijziging in het de Basisregistratie Kadaster (BRK) was op 28-09-2007.
Er is geen energielabel geregistreerd voor het adres. Het hoogste energielabel in de straat is C; het laagste is G. Het gemiddelde energielabel is er E. Het adres Bounswei 3-D heeft als status: 'verblijfsobject in gebruik'. Het pand waarin dit adres ligt heeft als status: 'pand in gebruik'.
Bounswei 3-D is een adres gelegen in de gemeente Noardeast-Fryslân, provincie Friesland. Dit adres is geregistreerd in de Basisregistratie Adressen en Gebouwen (BAG) met als unieke identificatie 1970010011154195.
Het pand op Bounswei 3-D is gebouwd in 2019, wat betekent dat het 7 jaar oud is. Dit is een vrij nieuw pand. Het pand is dus waarschijnlijk goed geïsoleerd, geluidsdicht en voldoet aan de huidige bouwstandaarden. Op korte termijn zijn er waarschijnlijk weinig onderhoudskosten.
De woning op Bounswei 3-D heeft een gebruiksoppervlakte van 43 m². Dit is relatief klein vergeleken met de gemiddelde Nederlandse woning, die een oppervlakte heeft van ongeveer 119 m². De gebruiksoppervlakte is de maat die wordt gebruikt in de BAG-registratie, de landelijke registratie van de Nederlandse overheid.
Bounswei 3-D heeft als functie: logies/verblijf. Deze gebruiksfunctie(s) zijn vastgelegd in de BAG-registratie en geven aan waarvoor het adres officieel mag worden gebruikt.
Bounswei 3-D is gelegen op kadastraal perceel WTG01F404. Deze kadastrale aanduiding is uniek en wordt gebruikt door het Kadaster om eigendomsrechten en andere zakelijke rechten vast te leggen. Het perceel maakt onderdeel uit van de kadastrale gemeente Westergeest.
Het perceel waarop Bounswei 3-D staat heeft een oppervlakte van 1,6 ha. Dit is een zeer groot perceel. De perceeloppervlakte wordt geregistreerd door het Kadaster. Gedetailleerde informatie over de maten van dit perceel kunt u vinden in het rapport Kadastrale kaart met maatvoering van Bounswei 3-D.
De eigenaar van Bounswei 3-D is op te vragen op deze pagina.
De informatie over dit adres is afkomstig uit officiële overheidsregistraties, voornamelijk de Basisregistratie Adressen en Gebouwen (BAG) en de Basisregistratie Kadaster (BRK). Deze gegevens worden beheerd door respectievelijk gemeenten en het Kadaster, en worden regelmatig bijgewerkt. Energielabelgegevens komen uit de database van de Rijksdienst voor Ondernemend Nederland (RVO).
