
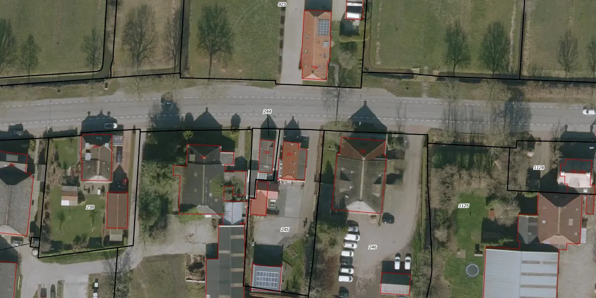
Foarwei 237 is een adres in Kollumersweach, dat zich bevindt binnen de gemeentegrenzen van Kollumersweach en de grenzen van de provincie Friesland. De oppervlakte van het adres is 100 m². Dat is vergelijkbaar met het gemiddelde Nederlandse oppervlakte van 119 m². De oppervlakte van het perceel waarin het adres ligt is 1094 m². Het object is klein ten opzichte van de andere adressen in de straat. Het grootste verblijfsobject is 2324 m² groot en het kleinste is 7 m². Foarwei 237 bevindt zich in een pand uit het jaar 1962. Daarmee behoort het tot de groep relatief oude panden in Nederland die gebouwd zijn vóór 1965. Dit object is relatief nieuw in de straat. Het nieuwste gebouw komt er uit het jaar 2025 en het oudste uit het jaar 1250. De volgende gebruiksdoelen zijn geregistreerd voor dit adres: 'woonfunctie'.
Het perceel waarop het adres ligt is WTG01-F-245. De afkorting 'WTG01' staat voor kadastrale gemeente Westergeest. Het perceel is 1094 m² groot. Dat is kleiner dan de gemiddelde perceeloppervlakte in Westergeest, dat op 8417,21 m² ligt. Het grootste perceel in de kadastrale gemeente is 47,5 ha. Het kleinste perceel heeft een oppervlakte van 0 m². Op het perceel bevinden zich geen andere adressen. De huidige grenzen van het perceel zijn digitaal in de Basisregistratie Kadaster (BRK) geregistreerd op 01-06-2006.
Het adres ligt in een gebouw van het type 'vrijstaande woning'. Bij de laatste meting is voor het adres het energielabel A geregistreerd. Het hoogste energielabel in de straat is A++++; het laagste is G. Het gemiddelde energielabel is er D. Het adres Foarwei 237 heeft als status: 'verblijfsobject in gebruik'. Het pand waarin dit adres ligt heeft als status: 'pand in gebruik'.
Foarwei 237 is een adres gelegen in de gemeente Noardeast-Fryslân, provincie Friesland. Dit adres is geregistreerd in de Basisregistratie Adressen en Gebouwen (BAG) met als unieke identificatie 0079010000372127.
Het pand op Foarwei 237 is gebouwd in 1962, wat betekent dat het 64 jaar oud is. Dit is een ouder pand. Het pand heeft mogelijk aanzienlijke renovaties nodig om aan de huidige standaarden te voldoen.
De woning op Foarwei 237 heeft een gebruiksoppervlakte van 100 m². Dit is onder het gemiddelde vergeleken met de gemiddelde Nederlandse woning, die een oppervlakte heeft van ongeveer 119 m². De gebruiksoppervlakte is de maat die wordt gebruikt in de BAG-registratie, de landelijke registratie van de Nederlandse overheid.
Foarwei 237 heeft als functie: wonen. Deze gebruiksfunctie(s) zijn vastgelegd in de BAG-registratie en geven aan waarvoor het adres officieel mag worden gebruikt.
Foarwei 237 is gelegen op kadastraal perceel WTG01F245. Deze kadastrale aanduiding is uniek en wordt gebruikt door het Kadaster om eigendomsrechten en andere zakelijke rechten vast te leggen. Het perceel maakt onderdeel uit van de kadastrale gemeente Westergeest.
Het perceel waarop Foarwei 237 staat heeft een oppervlakte van 1094 m². Dit is een zeer groot perceel. De perceeloppervlakte wordt geregistreerd door het Kadaster. Gedetailleerde informatie over de maten van dit perceel kunt u vinden in het rapport Kadastrale kaart met maatvoering van Foarwei 237.
De eigenaar van Foarwei 237 is op te vragen op deze pagina.
De informatie over dit adres is afkomstig uit officiële overheidsregistraties, voornamelijk de Basisregistratie Adressen en Gebouwen (BAG) en de Basisregistratie Kadaster (BRK). Deze gegevens worden beheerd door respectievelijk gemeenten en het Kadaster, en worden regelmatig bijgewerkt. Energielabelgegevens komen uit de database van de Rijksdienst voor Ondernemend Nederland (RVO).
