
Kootwijkerdijk 50 is gelegen in de plaats Kootwijk, de gemeente Barneveld en de provincie Gelderland. Het verblijfsobject is vergeleken met het Nederlandse gemiddelde aan de kleine kant: de oppervlakte is 66 m². Het perceel waarop het adres zich bevindt heeft een oppervlakte van 265 m². Er zijn geen kleinere objecten in deze straat. De gemiddelde oppervlakte is er 145 m². Het grootste verblijfsobject is 193 m². Kootwijkerdijk 50 bevindt zich in een pand uit het jaar 1960. Daarmee behoort het tot de groep relatief oude panden in Nederland die gebouwd zijn vóór 1965. Het nieuwste gebouw in de straat komt uit 2017 en het oudste uit 1950. Dit object is relatief oud. De volgende gebruiksdoelen zijn geregistreerd voor dit adres: 'logiesfunctie'.
Deze woning is voor het laatst verkocht op 1 september 2024. Meer informatie over deze transactie? Bestel het Woningtransactierapport om de verkoopprijs en andere informatie te zien.
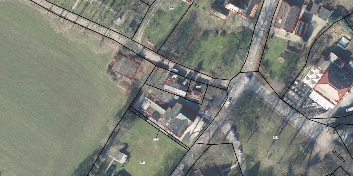
Het adres ligt op het perceel GDR03-M-578, dat zich in de kadastrale gemeente Garderen bevindt. Het perceel is 265 m² groot. Dat is kleiner dan de gemiddelde perceeloppervlakte in Garderen, dat op 8643,19 m² ligt. Het grootste perceel in de kadastrale gemeente is 1,18 km². Het kleinste perceel heeft een oppervlakte van 0 m². Op het perceel bevinden zich geen andere adressen. De laatste wijziging in het de Basisregistratie Kadaster (BRK) was op 01-05-2001.
Het adres ligt in een gebouw van het type 'logieswoning'. Bij de laatste meting is voor het adres het energielabel G geregistreerd. Het hoogste energielabel in de straat is D; het laagste is G. Het gemiddelde energielabel is er E. Het adres Kootwijkerdijk 50 heeft als status: 'verblijfsobject in gebruik'. Het pand waarin dit adres ligt heeft als status: 'pand in gebruik'.
Kootwijkerdijk 50 is een adres gelegen in de gemeente Barneveld, provincie Gelderland. Dit adres is geregistreerd in de Basisregistratie Adressen en Gebouwen (BAG) met als unieke identificatie 0203010001006004.
Het pand op Kootwijkerdijk 50 is gebouwd in 1960, wat betekent dat het 66 jaar oud is. Dit is een ouder pand. Het pand heeft mogelijk aanzienlijke renovaties nodig om aan de huidige standaarden te voldoen.
De woning op Kootwijkerdijk 50 heeft een gebruiksoppervlakte van 66 m². Dit is relatief klein vergeleken met de gemiddelde Nederlandse woning, die een oppervlakte heeft van ongeveer 119 m². De gebruiksoppervlakte is de maat die wordt gebruikt in de BAG-registratie, de landelijke registratie van de Nederlandse overheid.
Kootwijkerdijk 50 heeft als functie: logies/verblijf. Deze gebruiksfunctie(s) zijn vastgelegd in de BAG-registratie en geven aan waarvoor het adres officieel mag worden gebruikt.
Kootwijkerdijk 50 is gelegen op kadastraal perceel GDR03M578. Deze kadastrale aanduiding is uniek en wordt gebruikt door het Kadaster om eigendomsrechten en andere zakelijke rechten vast te leggen. Het perceel maakt onderdeel uit van de kadastrale gemeente Garderen.
Het perceel waarop Kootwijkerdijk 50 staat heeft een oppervlakte van 265 m². Dit is een middelgroot perceel. De perceeloppervlakte wordt geregistreerd door het Kadaster. Gedetailleerde informatie over de maten van dit perceel kunt u vinden in het rapport Kadastrale kaart met maatvoering van Kootwijkerdijk 50.
De eigenaar van Kootwijkerdijk 50 is op te vragen op deze pagina.
De informatie over dit adres is afkomstig uit officiële overheidsregistraties, voornamelijk de Basisregistratie Adressen en Gebouwen (BAG) en de Basisregistratie Kadaster (BRK). Deze gegevens worden beheerd door respectievelijk gemeenten en het Kadaster, en worden regelmatig bijgewerkt. Energielabelgegevens komen uit de database van de Rijksdienst voor Ondernemend Nederland (RVO).
