
Kruisvelden 1-B is gelegen in de plaats Lage Mierde, de gemeente Reusel-De Mierden en de provincie Noord-Brabant. De oppervlakte van het verblijfsobject is met 188 m² aan de grote kant. Het perceel heeft een oppervlakte van 1,9 ha. In de straat is dit het kleinste object. Het grootste verblijfsobject heeft een oppervlakte van 297 m². De gemiddelde grootte is er 217 m². In het jaar 2003 is het pand waarin Kruisvelden 1-B ligt gebouwd. Dat is relatief recent: de meeste gebouwen in Nederland zijn gebouwd in de periode 1965-1984. Dit pand is het meest recent exemplaar in de straat. Het oudste object komt er uit 1970 en het gemiddelde bouwjaar is 1988. Het verblijfsobject heeft de volgende gebruiksdoelen: 'woonfunctie' en 'logiesfunctie'.
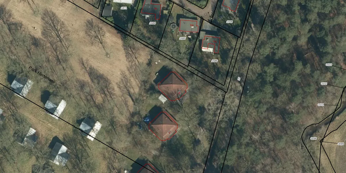
Het perceel waarop het adres ligt is MDE02-H-45. De afkorting 'MDE02' staat voor kadastrale gemeente Hooge en Lage Mierde. De gemiddelde perceeloppervlakte in de kadastrale gemeente Hooge en Lage Mierde is 9831,71 m². Dit perceel is met zijn 1,9 ha dus groter dan gemiddeld. De grootste perceeloppervlakte in de kadastrale gemeente is 1,54 km². De kleinste oppervlakte bedraagt 0 m². Op het perceel liggen in totaal 2 adressen. De laatste wijziging in het de Basisregistratie Kadaster (BRK) was op 05-02-2018.
Het adres ligt in een gebouw van het type 'logieswoning'. Bij de laatste meting is voor het adres het energielabel B geregistreerd. Het hoogste energielabel in de straat is A; het laagste is G. Het gemiddelde energielabel is er B. Het adres Kruisvelden 1-B heeft als status: 'verblijfsobject in gebruik'. Het pand waarin dit adres ligt heeft als status: 'pand in gebruik'.
Kruisvelden 1-B is een adres gelegen in de gemeente Reusel-De Mierden, provincie Noord-Brabant. Dit adres is geregistreerd in de Basisregistratie Adressen en Gebouwen (BAG) met als unieke identificatie 1667010000888908.
Het pand op Kruisvelden 1-B is gebouwd in 2003, wat betekent dat het 23 jaar oud is. Dit is een relatief modern pand. Ten opzichte van de nationale woningvoorraad is het pand relatief modern, maar er kunnen enkele verouderde elementen zijn die aandacht nodig hebben.
De woning op Kruisvelden 1-B heeft een gebruiksoppervlakte van 188 m². Dit is ruim vergeleken met de gemiddelde Nederlandse woning, die een oppervlakte heeft van ongeveer 119 m². De gebruiksoppervlakte is de maat die wordt gebruikt in de BAG-registratie, de landelijke registratie van de Nederlandse overheid.
Kruisvelden 1-B heeft als functie: wonen en logies/verblijf. Deze gebruiksfunctie(s) zijn vastgelegd in de BAG-registratie en geven aan waarvoor het adres officieel mag worden gebruikt.
Kruisvelden 1-B is gelegen op kadastraal perceel MDE02H45. Deze kadastrale aanduiding is uniek en wordt gebruikt door het Kadaster om eigendomsrechten en andere zakelijke rechten vast te leggen. Het perceel maakt onderdeel uit van de kadastrale gemeente Hooge en Lage Mierde.
Het perceel waarop Kruisvelden 1-B staat heeft een oppervlakte van 1,9 ha. Dit is een zeer groot perceel. De perceeloppervlakte wordt geregistreerd door het Kadaster. Gedetailleerde informatie over de maten van dit perceel kunt u vinden in het rapport Kadastrale kaart met maatvoering van Kruisvelden 1-B.
De eigenaar van Kruisvelden 1-B is op te vragen op deze pagina.
De informatie over dit adres is afkomstig uit officiële overheidsregistraties, voornamelijk de Basisregistratie Adressen en Gebouwen (BAG) en de Basisregistratie Kadaster (BRK). Deze gegevens worden beheerd door respectievelijk gemeenten en het Kadaster, en worden regelmatig bijgewerkt. Energielabelgegevens komen uit de database van de Rijksdienst voor Ondernemend Nederland (RVO).
