
Krijgersberglaan 62 is gelegen in de plaats Landgraaf, de gemeente Landgraaf en de provincie Limburg. Het object heeft een oppervlakte van 174 m², wat relatief groot is. Het perceel waarop het adres ligt is 1500 m² groot. Het object is klein ten opzichte van de andere adressen in de straat. Het grootste verblijfsobject is 963 m² groot en het kleinste is 74 m². De meeste Nederlandse gebouwen zijn gebouwd in de periode 1965-1984. Zo ook het pand waarin Krijgersberglaan 62 ligt, dat gebouwd is in 1965. Vergeleken met de andere panden in de straat is dit gebouw nieuw. Het vroegste bouwjaar is er 1952 en het laatste is 1967. Voor het verblijfsobject gelden deze gebruiksdoelen: 'woonfunctie'.
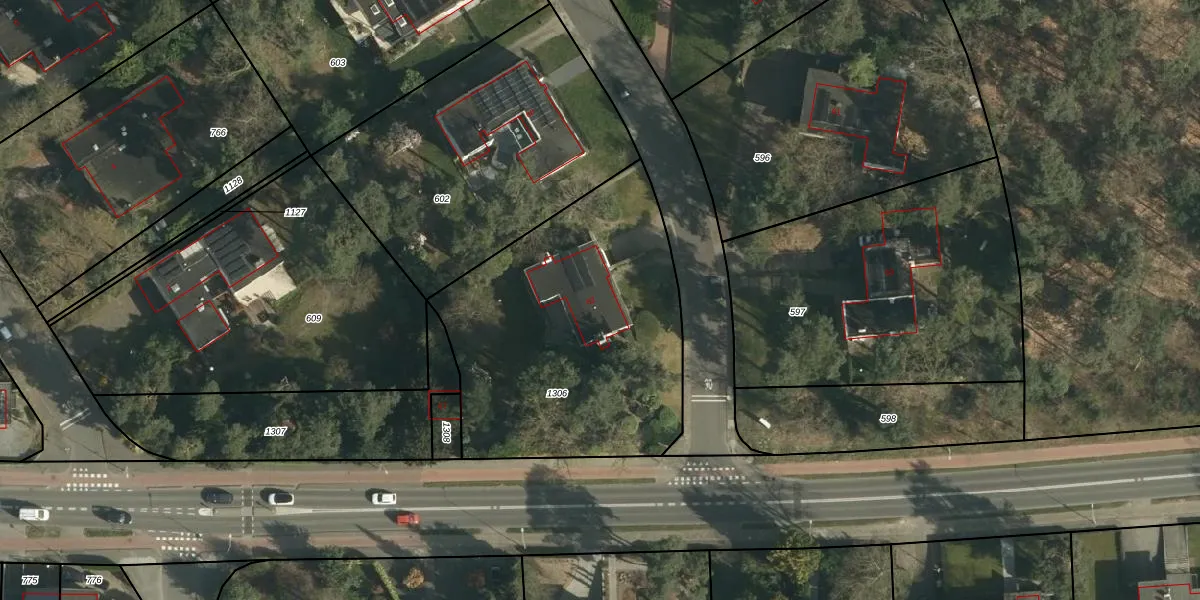
Het perceel waarop het adres ligt is SBG01-E-1306. De afkorting 'SBG01' staat voor kadastrale gemeente Schaesberg. Het perceel is met 1500 m² relatief groot. Het gemiddelde ligt in de kadastrale gemeente Schaesberg op 911,27 m². De grootste perceeloppervlakte in de kadastrale gemeente is 16,1 ha. De kleinste oppervlakte bedraagt 0 m². Dit is het enige adres dat aanwezig is op het perceel. De laatste wijziging in het de Basisregistratie Kadaster (BRK) was op 13-09-2007.
Het adres ligt in een gebouw van het type 'vrijstaande woning'. Bij de laatste meting is voor het adres het energielabel C geregistreerd. Het hoogste energielabel in de straat is A++++; het laagste is G. Het gemiddelde energielabel is er D. Het adres Krijgersberglaan 62 heeft als status: 'verblijfsobject in gebruik'. Het pand waarin dit adres ligt heeft als status: 'pand in gebruik'.
Krijgersberglaan 62 is een adres gelegen in de gemeente Landgraaf, provincie Limburg. Dit adres is geregistreerd in de Basisregistratie Adressen en Gebouwen (BAG) met als unieke identificatie 0882010000014409.
Het pand op Krijgersberglaan 62 is gebouwd in 1965, wat betekent dat het 61 jaar oud is. Dit is een ouder pand. Het pand heeft mogelijk aanzienlijke renovaties nodig om aan de huidige standaarden te voldoen.
De woning op Krijgersberglaan 62 heeft een gebruiksoppervlakte van 174 m². Dit is ruim vergeleken met de gemiddelde Nederlandse woning, die een oppervlakte heeft van ongeveer 119 m². De gebruiksoppervlakte is de maat die wordt gebruikt in de BAG-registratie, de landelijke registratie van de Nederlandse overheid.
Krijgersberglaan 62 heeft als functie: wonen. Deze gebruiksfunctie(s) zijn vastgelegd in de BAG-registratie en geven aan waarvoor het adres officieel mag worden gebruikt.
Krijgersberglaan 62 is gelegen op kadastraal perceel SBG01E1306. Deze kadastrale aanduiding is uniek en wordt gebruikt door het Kadaster om eigendomsrechten en andere zakelijke rechten vast te leggen. Het perceel maakt onderdeel uit van de kadastrale gemeente Schaesberg.
Het perceel waarop Krijgersberglaan 62 staat heeft een oppervlakte van 1500 m². Dit is een zeer groot perceel. De perceeloppervlakte wordt geregistreerd door het Kadaster. Gedetailleerde informatie over de maten van dit perceel kunt u vinden in het rapport Kadastrale kaart met maatvoering van Krijgersberglaan 62.
De eigenaar van Krijgersberglaan 62 is op te vragen op deze pagina.
De informatie over dit adres is afkomstig uit officiële overheidsregistraties, voornamelijk de Basisregistratie Adressen en Gebouwen (BAG) en de Basisregistratie Kadaster (BRK). Deze gegevens worden beheerd door respectievelijk gemeenten en het Kadaster, en worden regelmatig bijgewerkt. Energielabelgegevens komen uit de database van de Rijksdienst voor Ondernemend Nederland (RVO).
