
Het adres Leenderkerkvoetpad 16 bevindt zich in de plaats Landgraaf, in de gemeente Landgraaf en de provincie Limburg. Het perceel waarop het adres gelegen is heeft een oppervlakte van 5013 m². Het verblijfsobject is met 28 m² relatief klein. In de straat is dit het adres met de grootste oppervlakte. De objecten in de straat zijn gemiddeld 28 m² groot. Het kleinste verblijfsobject heeft een oppervlakte van 28 m². Het pand waarin Leenderkerkvoetpad 16 ligt is gebouwd in het jaar 2000. Panden die gebouwd zijn na het jaar 1984 noemen we hier relatief nieuw. Het gemiddelde bouwjaar in de straat is 2000 en dat van het oudste pand is 2000. Dit is het nieuwste object in de straat. Het verblijfsobject heeft de volgende gebruiksdoelen: 'overige gebruiksfunctie'.
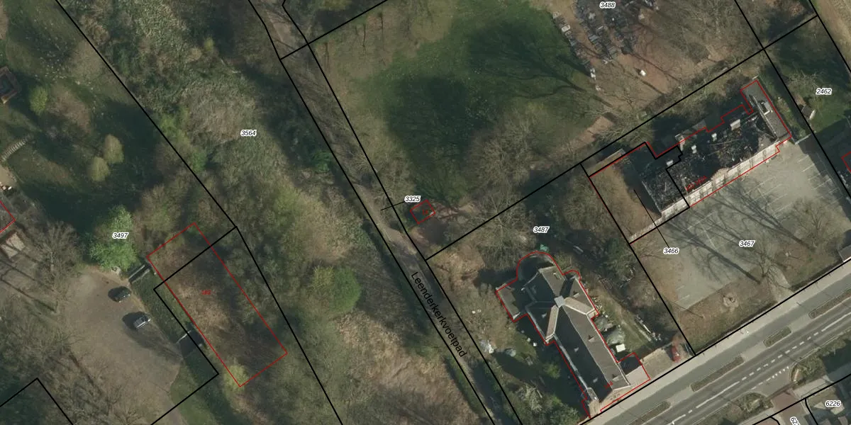
Het perceel waarop het adres ligt is SBG01-A-3488. De afkorting 'SBG01' staat voor kadastrale gemeente Schaesberg. De gemiddelde perceeloppervlakte in de kadastrale gemeente Schaesberg is 911,66 m². Dit perceel is met zijn 5013 m² dus groter dan gemiddeld. Het kleinste perceel in de kadastrale gemeente is 0 m² groot. De grootste perceeloppervlakte is 16,1 ha. Dit is het enige adres dat aanwezig is op het perceel. In de Basisregistratie Kadaster (BRK) werden de grenzen van het perceel geregistreerd op 10-06-2009.
Er is geen energielabel geregistreerd voor het adres. Het hoogste energielabel in de straat is G; het laagste is G. Het gemiddelde energielabel is er G. Het adres Leenderkerkvoetpad 16 heeft als status: 'verblijfsobject in gebruik'. Het pand waarin dit adres ligt heeft als status: 'pand in gebruik'.
Leenderkerkvoetpad 16 is een adres gelegen in de gemeente Landgraaf, provincie Limburg. Dit adres is geregistreerd in de Basisregistratie Adressen en Gebouwen (BAG) met als unieke identificatie 0882010000019655.
Het pand op Leenderkerkvoetpad 16 is gebouwd in 2000, wat betekent dat het 26 jaar oud is. Dit is een pand van middelbare leeftijd. Het pand is van gemiddelde leeftijd en zal waarschijnlijk verouderde elementen bevatten.
De woning op Leenderkerkvoetpad 16 heeft een gebruiksoppervlakte van 28 m². Dit is relatief klein vergeleken met de gemiddelde Nederlandse woning, die een oppervlakte heeft van ongeveer 119 m². De gebruiksoppervlakte is de maat die wordt gebruikt in de BAG-registratie, de landelijke registratie van de Nederlandse overheid.
Leenderkerkvoetpad 16 heeft als functie: overige doeleinden. Deze gebruiksfunctie(s) zijn vastgelegd in de BAG-registratie en geven aan waarvoor het adres officieel mag worden gebruikt.
Leenderkerkvoetpad 16 is gelegen op kadastraal perceel SBG01A3488. Deze kadastrale aanduiding is uniek en wordt gebruikt door het Kadaster om eigendomsrechten en andere zakelijke rechten vast te leggen. Het perceel maakt onderdeel uit van de kadastrale gemeente Schaesberg.
Het perceel waarop Leenderkerkvoetpad 16 staat heeft een oppervlakte van 5013 m². Dit is een zeer groot perceel. De perceeloppervlakte wordt geregistreerd door het Kadaster. Gedetailleerde informatie over de maten van dit perceel kunt u vinden in het rapport Kadastrale kaart met maatvoering van Leenderkerkvoetpad 16.
De eigenaar van Leenderkerkvoetpad 16 is op te vragen op deze pagina
De informatie over dit adres is afkomstig uit officiële overheidsregistraties, voornamelijk de Basisregistratie Adressen en Gebouwen (BAG) en de Basisregistratie Kadaster (BRK). Deze gegevens worden beheerd door respectievelijk gemeenten en het Kadaster, en worden regelmatig bijgewerkt. Energielabelgegevens komen uit de database van de Rijksdienst voor Ondernemend Nederland (RVO).
