
Langbroekerdijk A 82-a is een adres in Langbroek, dat zich bevindt binnen de gemeentegrenzen van Langbroek en de grenzen van de provincie Utrecht. Het object heeft een oppervlakte van 251 m², wat relatief groot is. Het perceel waarop het adres ligt is 665 m² groot. In vergelijking met de andere adressen in de straat is de oppervlakte van dit object relatief groot. Het grootste verblijfsobject heeft een oppervlakte van 1785 m², de oppervlakte van het kleinste object bedraagt 1 m². Het gebouw waarin Langbroekerdijk A 82-a ligt komt uit het jaar 1843. Objecten die gebouwd zijn vóór 1965 classificeren we hier als oud. Het bouwjaar is oud vergeleken met dat van de andere panden in de straat. Het oudste bouwjaar is er 1300 en de nieuwste is 2024. Voor het verblijfsobject gelden deze gebruiksdoelen: 'woonfunctie' en 'overige gebruiksfunctie'.
Deze woning is voor het laatst verkocht op 1 december 2010. Meer informatie over deze transactie? Bestel het Woningtransactierapport om de verkoopprijs en andere informatie te zien.
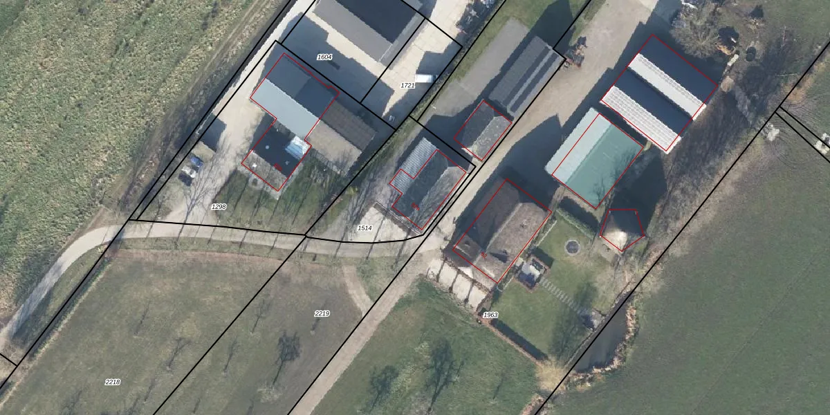
Het perceel waarop het adres ligt is LBK02-A-1514. De afkorting 'LBK02' staat voor kadastrale gemeente Langbroek. De gemiddelde perceelgrootte in Langbroek is 8507,56 m². Dit perceel is kleiner: de perceeloppervlakte bedraagt 665 m². Het kleinste perceel in de kadastrale gemeente is 0 m² groot. De grootste perceeloppervlakte is 29,5 ha. Dit is het enige adres dat aanwezig is op het perceel. De huidige grenzen van het perceel zijn digitaal in de Basisregistratie Kadaster (BRK) geregistreerd op 12-12-2019.
Het adres ligt in een gebouw van het type 'vrijstaande woning'. Bij de laatste meting is voor het adres het energielabel C geregistreerd. Het hoogste energielabel in de straat is A++++; het laagste is G. Het gemiddelde energielabel is er D. Het adres Langbroekerdijk A 82-a heeft als status: 'verblijfsobject in gebruik'. Het pand waarin dit adres ligt heeft als status: 'pand in gebruik'.
Langbroekerdijk A 82-a is een adres gelegen in de gemeente Wijk bij Duurstede, provincie Utrecht. Dit adres is geregistreerd in de Basisregistratie Adressen en Gebouwen (BAG) met als unieke identificatie 0352010000007394.
Het pand op Langbroekerdijk A 82-a is gebouwd in 1843, wat betekent dat het 183 jaar oud is. Dit is een ouder pand. Het pand heeft mogelijk aanzienlijke renovaties nodig om aan de huidige standaarden te voldoen.
De woning op Langbroekerdijk A 82-a heeft een gebruiksoppervlakte van 251 m². Dit is ruim vergeleken met de gemiddelde Nederlandse woning, die een oppervlakte heeft van ongeveer 119 m². De gebruiksoppervlakte is de maat die wordt gebruikt in de BAG-registratie, de landelijke registratie van de Nederlandse overheid.
Langbroekerdijk A 82-a heeft als functie: wonen en overige doeleinden. Deze gebruiksfunctie(s) zijn vastgelegd in de BAG-registratie en geven aan waarvoor het adres officieel mag worden gebruikt.
Langbroekerdijk A 82-a is gelegen op kadastraal perceel LBK02A1514. Deze kadastrale aanduiding is uniek en wordt gebruikt door het Kadaster om eigendomsrechten en andere zakelijke rechten vast te leggen. Het perceel maakt onderdeel uit van de kadastrale gemeente Langbroek.
Het perceel waarop Langbroekerdijk A 82-a staat heeft een oppervlakte van 665 m². Dit is een groot perceel. De perceeloppervlakte wordt geregistreerd door het Kadaster. Gedetailleerde informatie over de maten van dit perceel kunt u vinden in het rapport Kadastrale kaart met maatvoering van Langbroekerdijk A 82-a.
De eigenaar van Langbroekerdijk A 82-a is op te vragen op deze pagina.
De informatie over dit adres is afkomstig uit officiële overheidsregistraties, voornamelijk de Basisregistratie Adressen en Gebouwen (BAG) en de Basisregistratie Kadaster (BRK). Deze gegevens worden beheerd door respectievelijk gemeenten en het Kadaster, en worden regelmatig bijgewerkt. Energielabelgegevens komen uit de database van de Rijksdienst voor Ondernemend Nederland (RVO).
