
Het adres Hamseweg 7 bevindt zich in de plaats Langeweg, in de gemeente Langeweg en de provincie Noord-Brabant. De oppervlakte bedraagt 661 m², waarmee het adres groter dan gemiddeld is. De grootte van het perceel waarop het adres ligt is 560 m². In de straat is dit het adres met de grootste oppervlakte. De objecten in de straat zijn gemiddeld 263 m² groot. Het kleinste verblijfsobject heeft een oppervlakte van 161 m². Het adres Hamseweg 7 ligt in een relatief oud pand uit het jaar 1931. Panden van vóór het jaar 1965 hebben we hier geclassificeerd als oud. In de straat komt het nieuwste gebouw uit het jaar 1977 en het oudste uit 1927. Het bouwjaar van dit object is relatief oud. Voor het verblijfsobject gelden deze gebruiksdoelen: 'woonfunctie'.
Deze woning is voor het laatst verkocht op 1 juni 2019. Meer informatie over deze transactie? Bestel het Woningtransactierapport om de verkoopprijs en andere informatie te zien.
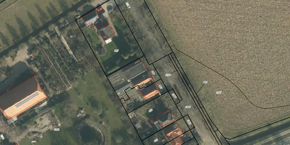
Het perceel waarop het adres ligt is ZVB00-N-948. De afkorting 'ZVB00' staat voor kadastrale gemeente Zevenbergen. De gemiddelde perceelgrootte in Zevenbergen is 4437,27 m². Dit perceel is kleiner: de perceeloppervlakte bedraagt 560 m². De grootste perceeloppervlakte in de kadastrale gemeente is 1,58 km². De kleinste oppervlakte bedraagt 0 m². Er zijn geen andere adressen aanwezig op het perceel. In de Basisregistratie Kadaster (BRK) werden de grenzen van het perceel geregistreerd op 24-04-2007.
Het adres ligt in een gebouw van het type 'twee-onder-een-kap / rijwoning hoek met het subtype rijwoning'. Bij de laatste meting is voor het adres het energielabel G geregistreerd. Het hoogste energielabel in de straat is C; het laagste is G. Het gemiddelde energielabel is er E. Het adres Hamseweg 7 heeft als status: 'verblijfsobject in gebruik'. Het pand waarin dit adres ligt heeft als status: 'pand in gebruik'.
Hamseweg 7 is een adres gelegen in de gemeente Moerdijk, provincie Noord-Brabant. Dit adres is geregistreerd in de Basisregistratie Adressen en Gebouwen (BAG) met als unieke identificatie 1709010000001331.
Het pand op Hamseweg 7 is gebouwd in 1931, wat betekent dat het 95 jaar oud is. Dit is een ouder pand. Het pand heeft mogelijk aanzienlijke renovaties nodig om aan de huidige standaarden te voldoen.
De woning op Hamseweg 7 heeft een gebruiksoppervlakte van 661 m². Dit is ruim vergeleken met de gemiddelde Nederlandse woning, die een oppervlakte heeft van ongeveer 119 m². De gebruiksoppervlakte is de maat die wordt gebruikt in de BAG-registratie, de landelijke registratie van de Nederlandse overheid.
Hamseweg 7 heeft als functie: wonen. Deze gebruiksfunctie(s) zijn vastgelegd in de BAG-registratie en geven aan waarvoor het adres officieel mag worden gebruikt.
Hamseweg 7 is gelegen op kadastraal perceel ZVB00N948. Deze kadastrale aanduiding is uniek en wordt gebruikt door het Kadaster om eigendomsrechten en andere zakelijke rechten vast te leggen. Het perceel maakt onderdeel uit van de kadastrale gemeente Zevenbergen.
Het perceel waarop Hamseweg 7 staat heeft een oppervlakte van 560 m². Dit is een groot perceel. De perceeloppervlakte wordt geregistreerd door het Kadaster. Gedetailleerde informatie over de maten van dit perceel kunt u vinden in het rapport Kadastrale kaart met maatvoering van Hamseweg 7.
De eigenaar van Hamseweg 7 is op te vragen op deze pagina.
De informatie over dit adres is afkomstig uit officiële overheidsregistraties, voornamelijk de Basisregistratie Adressen en Gebouwen (BAG) en de Basisregistratie Kadaster (BRK). Deze gegevens worden beheerd door respectievelijk gemeenten en het Kadaster, en worden regelmatig bijgewerkt. Energielabelgegevens komen uit de database van de Rijksdienst voor Ondernemend Nederland (RVO).
