
Bieldersteeg 1-t is gelegen in de plaats Laren, de gemeente Lochem en de provincie Gelderland. Het verblijfsobject is vergeleken met het Nederlandse gemiddelde aan de kleine kant: de oppervlakte is 22 m². Het perceel waarop het adres zich bevindt heeft een oppervlakte van 149 m². Er zijn geen kleinere objecten in deze straat. De gemiddelde oppervlakte is er 241 m². Het grootste verblijfsobject is 364 m². Bieldersteeg 1-t bevindt zich in een pand uit het jaar 1933. Daarmee behoort het tot de groep relatief oude panden in Nederland die gebouwd zijn vóór 1965. Het nieuwste gebouw in de straat komt uit 2020 en het oudste uit 1887. Dit object is relatief oud. Voor het verblijfsobject gelden deze gebruiksdoelen: 'overige gebruiksfunctie'.
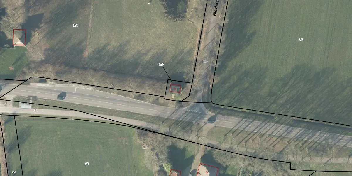
Het adres ligt op het perceel LCM00-X-207, dat zich in de kadastrale gemeente Lochem bevindt. De gemiddelde perceelgrootte in Lochem is 6725,45 m². Dit perceel is kleiner: de perceeloppervlakte bedraagt 149 m². Het grootste perceel in de kadastrale gemeente is 30,4 ha. Het kleinste perceel heeft een oppervlakte van 0 m². Op het perceel bevinden zich geen andere adressen. De laatste wijziging in het de Basisregistratie Kadaster (BRK) was op 04-01-2005.
Er is geen energielabel geregistreerd voor het adres. Het hoogste energielabel in de straat is A+; het laagste is G. Het gemiddelde energielabel is er D. Het adres Bieldersteeg 1-t heeft als status: 'verblijfsobject in gebruik'. Het pand waarin dit adres ligt heeft als status: 'pand in gebruik'.
Bieldersteeg 1-t is een adres gelegen in de gemeente Lochem, provincie Gelderland. Dit adres is geregistreerd in de Basisregistratie Adressen en Gebouwen (BAG) met als unieke identificatie 0262010000008487.
Het pand op Bieldersteeg 1-t is gebouwd in 1933, wat betekent dat het 93 jaar oud is. Dit is een ouder pand. Het pand heeft mogelijk aanzienlijke renovaties nodig om aan de huidige standaarden te voldoen.
De woning op Bieldersteeg 1-t heeft een gebruiksoppervlakte van 22 m². Dit is relatief klein vergeleken met de gemiddelde Nederlandse woning, die een oppervlakte heeft van ongeveer 119 m². De gebruiksoppervlakte is de maat die wordt gebruikt in de BAG-registratie, de landelijke registratie van de Nederlandse overheid.
Bieldersteeg 1-t heeft als functie: overige doeleinden. Deze gebruiksfunctie(s) zijn vastgelegd in de BAG-registratie en geven aan waarvoor het adres officieel mag worden gebruikt.
Bieldersteeg 1-t is gelegen op kadastraal perceel LCM00X207. Deze kadastrale aanduiding is uniek en wordt gebruikt door het Kadaster om eigendomsrechten en andere zakelijke rechten vast te leggen. Het perceel maakt onderdeel uit van de kadastrale gemeente Lochem.
Het perceel waarop Bieldersteeg 1-t staat heeft een oppervlakte van 149 m². Dit is een middelgroot perceel. De perceeloppervlakte wordt geregistreerd door het Kadaster. Gedetailleerde informatie over de maten van dit perceel kunt u vinden in het rapport Kadastrale kaart met maatvoering van Bieldersteeg 1-t.
De eigenaar van Bieldersteeg 1-t is op te vragen op deze pagina.
De informatie over dit adres is afkomstig uit officiële overheidsregistraties, voornamelijk de Basisregistratie Adressen en Gebouwen (BAG) en de Basisregistratie Kadaster (BRK). Deze gegevens worden beheerd door respectievelijk gemeenten en het Kadaster, en worden regelmatig bijgewerkt. Energielabelgegevens komen uit de database van de Rijksdienst voor Ondernemend Nederland (RVO).
