
Esseboom 6 is een adres in Laren, dat zich bevindt binnen de gemeentegrenzen van Laren en de grenzen van de provincie Noord-Holland. De oppervlakte van het verblijfsobject is met 328 m² aan de grote kant. Het perceel heeft een oppervlakte van 989 m². De oppervlakte van dit adres is groot vergeleken met de oppervlaktes van andere adressen in de straat. De kleinste oppervlakte bedraagt er 145 m², de grootste 454 m². De meeste Nederlandse gebouwen zijn gebouwd in de periode 1965-1984. Zo ook het pand waarin Esseboom 6 ligt, dat gebouwd is in 1976. Dit object is relatief nieuw in de straat. Het nieuwste gebouw komt er uit het jaar 1984 en het oudste uit het jaar 1956. Het verblijfsobject heeft de volgende gebruiksdoelen: 'woonfunctie'.
Deze woning is voor het laatst verkocht op 1 augustus 2011. Meer informatie over deze transactie? Bestel het Woningtransactierapport om de verkoopprijs en andere informatie te zien.
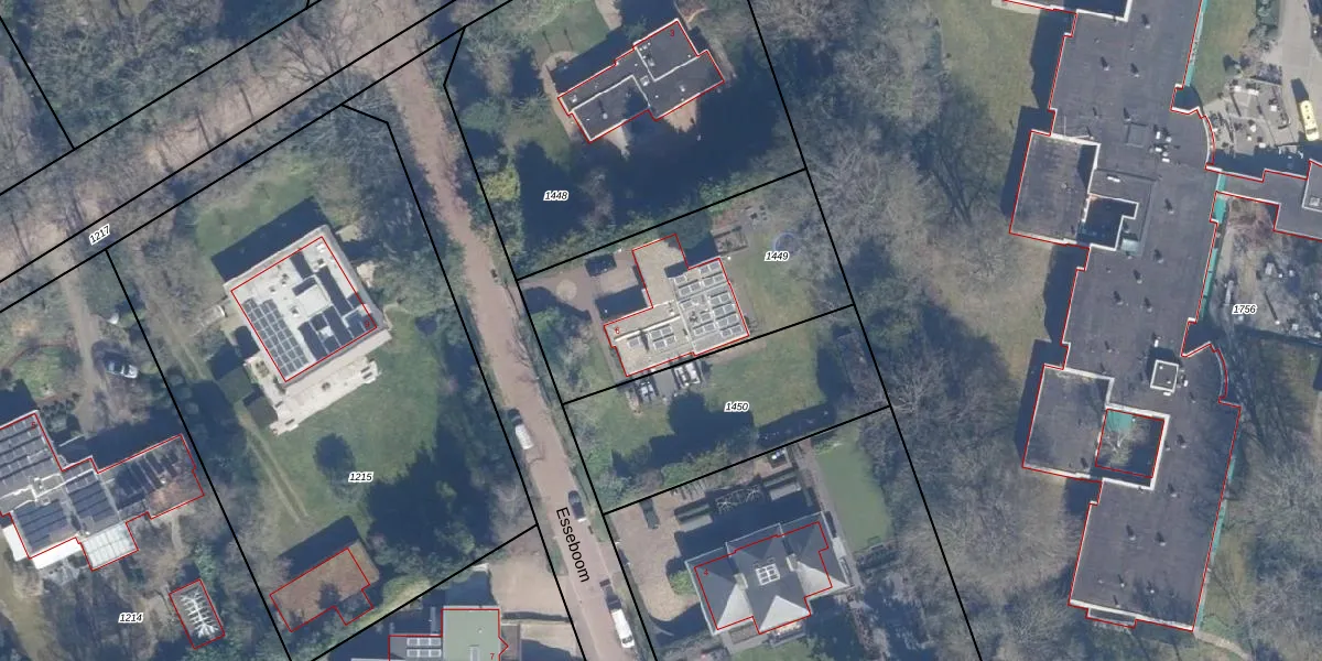
Het adres ligt op het perceel LRN01-C-1449, dat zich in de kadastrale gemeente Laren Noord-Holland bevindt. Het perceel is kleiner dan gemiddeld in Laren Noord-Holland. Het perceel is 989 m² groot, terwijl het gemiddelde ligt op 1838,18 m². De grootste perceeloppervlakte in de kadastrale gemeente is 1,24 km². De kleinste oppervlakte bedraagt 0 m². Op het perceel bevinden zich geen andere adressen. De huidige grenzen van het perceel zijn digitaal in de Basisregistratie Kadaster (BRK) geregistreerd op 15-11-1999.
Er is geen energielabel geregistreerd voor het adres. Het hoogste energielabel in de straat is C; het laagste is G. Het gemiddelde energielabel is er C. Het adres Esseboom 6 heeft als status: 'verblijfsobject in gebruik'. Het pand waarin dit adres ligt heeft als status: 'pand in gebruik'.
Esseboom 6 is een adres gelegen in de gemeente Laren, provincie Noord-Holland. Dit adres is geregistreerd in de Basisregistratie Adressen en Gebouwen (BAG) met als unieke identificatie 0417010001001159.
Het pand op Esseboom 6 is gebouwd in 1976, wat betekent dat het 50 jaar oud is. Dit is een ouder pand. Het pand heeft mogelijk aanzienlijke renovaties nodig om aan de huidige standaarden te voldoen.
De woning op Esseboom 6 heeft een gebruiksoppervlakte van 328 m². Dit is ruim vergeleken met de gemiddelde Nederlandse woning, die een oppervlakte heeft van ongeveer 119 m². De gebruiksoppervlakte is de maat die wordt gebruikt in de BAG-registratie, de landelijke registratie van de Nederlandse overheid.
Esseboom 6 heeft als functie: wonen. Deze gebruiksfunctie(s) zijn vastgelegd in de BAG-registratie en geven aan waarvoor het adres officieel mag worden gebruikt.
Esseboom 6 is gelegen op kadastraal perceel LRN01C1449. Deze kadastrale aanduiding is uniek en wordt gebruikt door het Kadaster om eigendomsrechten en andere zakelijke rechten vast te leggen. Het perceel maakt onderdeel uit van de kadastrale gemeente Laren Noord-Holland.
Het perceel waarop Esseboom 6 staat heeft een oppervlakte van 989 m². Dit is een groot perceel. De perceeloppervlakte wordt geregistreerd door het Kadaster. Gedetailleerde informatie over de maten van dit perceel kunt u vinden in het rapport Kadastrale kaart met maatvoering van Esseboom 6.
De eigenaar van Esseboom 6 is op te vragen op deze pagina.
De informatie over dit adres is afkomstig uit officiële overheidsregistraties, voornamelijk de Basisregistratie Adressen en Gebouwen (BAG) en de Basisregistratie Kadaster (BRK). Deze gegevens worden beheerd door respectievelijk gemeenten en het Kadaster, en worden regelmatig bijgewerkt. Energielabelgegevens komen uit de database van de Rijksdienst voor Ondernemend Nederland (RVO).
