
Het adres Holterweg 44-b bevindt zich in de plaats Laren, in de gemeente Laren en de provincie Gelderland. Het object heeft een oppervlakte van 373 m², wat relatief groot is. Het perceel waarop het adres ligt is 1495 m² groot. Vergeleken met de andere verblijfsobjecten in de straat is dit object groot. De oppervlakte van het grootste object in de straat is 1925 m², die van het kleinste bedraagt 3 m². Het pand waarin Holterweg 44-b ligt is gebouwd in het jaar 2023. Panden die gebouwd zijn na het jaar 1984 noemen we hier relatief nieuw. Vergeleken met de andere panden in de straat is dit gebouw nieuw. Het vroegste bouwjaar is er 1840 en het laatste is 2025. Voor het verblijfsobject gelden deze gebruiksdoelen: 'industriefunctie'.
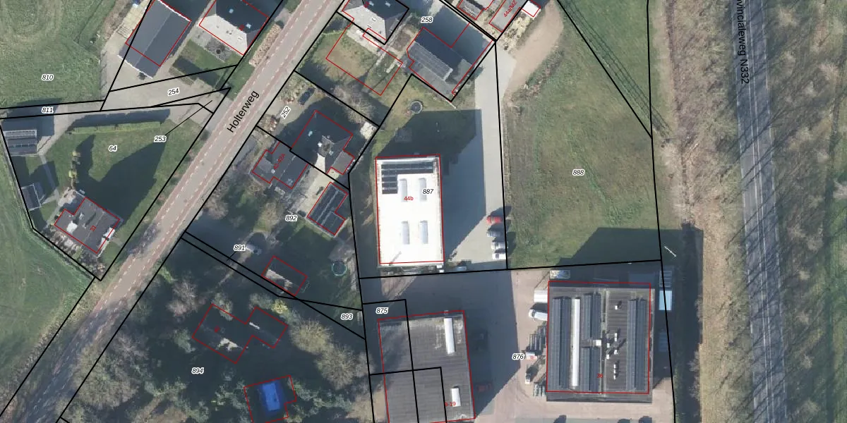
Het adres is gelegen op perceel 887 in de sectie Z en de kadastrale gemeente Lochem. De kadastrale aanduiding is aldus LCM00-Z-887. De gemiddelde perceelgrootte in Lochem is 6721,98 m². Dit perceel is kleiner: de perceeloppervlakte bedraagt 1495 m². Het kleinste perceel in de kadastrale gemeente is 0 m² groot. De grootste perceeloppervlakte is 30,4 ha. Dit is het enige adres dat aanwezig is op het perceel. In de Basisregistratie Kadaster (BRK) werden de grenzen van het perceel geregistreerd op 17-12-2021.
Er is geen energielabel geregistreerd voor het adres. Het hoogste energielabel in de straat is A+; het laagste is G. Het gemiddelde energielabel is er C. Het adres Holterweg 44-b heeft als status: 'verblijfsobject in gebruik'. Het pand waarin dit adres ligt heeft als status: 'pand in gebruik'.
Holterweg 44-b is een adres gelegen in de gemeente Lochem, provincie Gelderland. Dit adres is geregistreerd in de Basisregistratie Adressen en Gebouwen (BAG) met als unieke identificatie 0262010000020422.
Het pand op Holterweg 44-b is gebouwd in 2023, wat betekent dat het 3 jaar oud is. Dit is een vrij nieuw pand. Het pand is dus waarschijnlijk goed geïsoleerd, geluidsdicht en voldoet aan de huidige bouwstandaarden. Op korte termijn zijn er waarschijnlijk weinig onderhoudskosten.
De woning op Holterweg 44-b heeft een gebruiksoppervlakte van 373 m². Dit is ruim vergeleken met de gemiddelde Nederlandse woning, die een oppervlakte heeft van ongeveer 119 m². De gebruiksoppervlakte is de maat die wordt gebruikt in de BAG-registratie, de landelijke registratie van de Nederlandse overheid.
Holterweg 44-b heeft als functie: industrie. Deze gebruiksfunctie(s) zijn vastgelegd in de BAG-registratie en geven aan waarvoor het adres officieel mag worden gebruikt.
Holterweg 44-b is gelegen op kadastraal perceel LCM00Z887. Deze kadastrale aanduiding is uniek en wordt gebruikt door het Kadaster om eigendomsrechten en andere zakelijke rechten vast te leggen. Het perceel maakt onderdeel uit van de kadastrale gemeente Lochem.
Het perceel waarop Holterweg 44-b staat heeft een oppervlakte van 1495 m². Dit is een zeer groot perceel. De perceeloppervlakte wordt geregistreerd door het Kadaster. Gedetailleerde informatie over de maten van dit perceel kunt u vinden in het rapport Kadastrale kaart met maatvoering van Holterweg 44-b.
De eigenaar van Holterweg 44-b is op te vragen op deze pagina.
De informatie over dit adres is afkomstig uit officiële overheidsregistraties, voornamelijk de Basisregistratie Adressen en Gebouwen (BAG) en de Basisregistratie Kadaster (BRK). Deze gegevens worden beheerd door respectievelijk gemeenten en het Kadaster, en worden regelmatig bijgewerkt. Energielabelgegevens komen uit de database van de Rijksdienst voor Ondernemend Nederland (RVO).
