
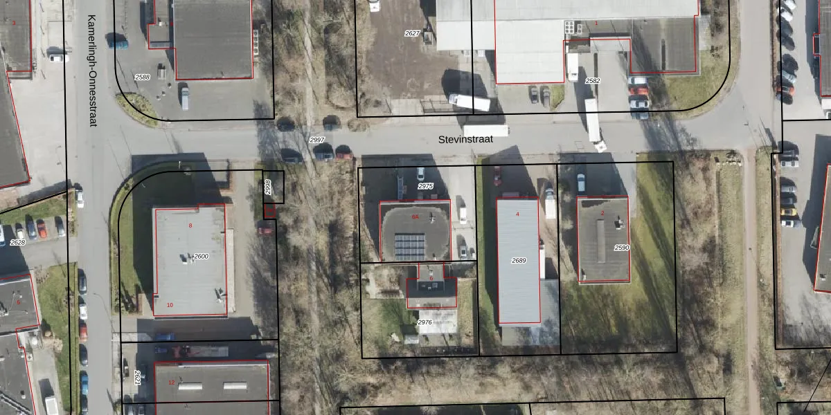
Stevinstraat 6-A is gelegen in de plaats Leek, de gemeente Westerkwartier en de provincie Groningen. Het object heeft een oppervlakte van 240 m², wat relatief groot is. Het perceel waarop het adres ligt is 647 m² groot. Het object is klein ten opzichte van de andere adressen in de straat. Het grootste verblijfsobject is 1506 m² groot en het kleinste is 6 m². Het pand waarin Stevinstraat 6-A ligt is gebouwd in het jaar 2000. Panden die gebouwd zijn na het jaar 1984 noemen we hier relatief nieuw. Het bouwjaar is oud vergeleken met dat van de andere panden in de straat. Het oudste bouwjaar is er 1998 en de nieuwste is 2007. Het verblijfsobject heeft de volgende gebruiksdoelen: 'industriefunctie'.
Het perceel waarop het adres ligt is LEE01-C-2975. De afkorting 'LEE01' staat voor kadastrale gemeente Leek. Het perceel is kleiner dan gemiddeld in Leek. Het perceel is 647 m² groot, terwijl het gemiddelde ligt op 5185,89 m². Het kleinste perceel in de kadastrale gemeente is 0 m² groot. De grootste perceeloppervlakte is 72,3 ha. Dit is het enige adres dat aanwezig is op het perceel. De laatste wijziging in het de Basisregistratie Kadaster (BRK) was op 02-12-2019.
Er is geen energielabel geregistreerd voor het adres. Het hoogste energielabel in de straat is A; het laagste is G. Het gemiddelde energielabel is er A. Het adres Stevinstraat 6-A heeft als status: 'verblijfsobject in gebruik'. Het pand waarin dit adres ligt heeft als status: 'pand in gebruik'.
Stevinstraat 6-A is een adres gelegen in de gemeente Westerkwartier, provincie Groningen. Dit adres is geregistreerd in de Basisregistratie Adressen en Gebouwen (BAG) met als unieke identificatie 1969010050010679.
Het pand op Stevinstraat 6-A is gebouwd in 2000, wat betekent dat het 26 jaar oud is. Dit is een pand van middelbare leeftijd. Het pand is van gemiddelde leeftijd en zal waarschijnlijk verouderde elementen bevatten.
De woning op Stevinstraat 6-A heeft een gebruiksoppervlakte van 240 m². Dit is ruim vergeleken met de gemiddelde Nederlandse woning, die een oppervlakte heeft van ongeveer 119 m². De gebruiksoppervlakte is de maat die wordt gebruikt in de BAG-registratie, de landelijke registratie van de Nederlandse overheid.
Stevinstraat 6-A heeft als functie: industrie. Deze gebruiksfunctie(s) zijn vastgelegd in de BAG-registratie en geven aan waarvoor het adres officieel mag worden gebruikt.
Stevinstraat 6-A is gelegen op kadastraal perceel LEE01C2975. Deze kadastrale aanduiding is uniek en wordt gebruikt door het Kadaster om eigendomsrechten en andere zakelijke rechten vast te leggen. Het perceel maakt onderdeel uit van de kadastrale gemeente Leek.
Het perceel waarop Stevinstraat 6-A staat heeft een oppervlakte van 647 m². Dit is een groot perceel. De perceeloppervlakte wordt geregistreerd door het Kadaster. Gedetailleerde informatie over de maten van dit perceel kunt u vinden in het rapport Kadastrale kaart met maatvoering van Stevinstraat 6-A.
De eigenaar van Stevinstraat 6-A is op te vragen op deze pagina.
De informatie over dit adres is afkomstig uit officiële overheidsregistraties, voornamelijk de Basisregistratie Adressen en Gebouwen (BAG) en de Basisregistratie Kadaster (BRK). Deze gegevens worden beheerd door respectievelijk gemeenten en het Kadaster, en worden regelmatig bijgewerkt. Energielabelgegevens komen uit de database van de Rijksdienst voor Ondernemend Nederland (RVO).
