
Het adres Dragoonsplein 35 bevindt zich in de plaats Leeuwarden, in de gemeente Leeuwarden en de provincie Friesland. Het verblijfsobject is vergeleken met het Nederlandse gemiddelde aan de kleine kant: de oppervlakte is 74 m². Het perceel waarop het adres zich bevindt heeft een oppervlakte van 797 m². De oppervlakte van het adres is klein vergeleken met de andere objecten in de straat. De oppervlakte van het kleinste object in de straat bedraagt 6 m², terwijl het grootste object 219 m² groot is. De meeste Nederlandse gebouwen zijn gebouwd in de periode 1965-1984. Zo ook het pand waarin Dragoonsplein 35 ligt, dat gebouwd is in 1973. Het nieuwste gebouw in de straat komt uit 1999 en het oudste uit 1972. Dit object is relatief oud. Het verblijfsobject heeft de volgende gebruiksdoelen: 'woonfunctie'.
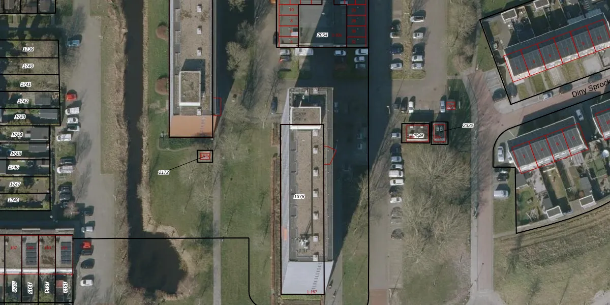
Het adres is gelegen op perceel 1378 in de sectie H en de kadastrale gemeente Leeuwarden. De kadastrale aanduiding is aldus LWD00-H-1378. Het perceel is kleiner dan gemiddeld in Leeuwarden. Het perceel is 797 m² groot, terwijl het gemiddelde ligt op 1523,41 m². De grootste perceeloppervlakte in de kadastrale gemeente is 1,54 km². De kleinste oppervlakte bedraagt 0 m². Op het perceel liggen in totaal 84 adressen. In de Basisregistratie Kadaster (BRK) werden de grenzen van het perceel geregistreerd op 31-10-2008.
Het adres ligt in een gebouw van het type 'flatwoning (overig) met het subtype tussenmidden'. Bij de laatste meting is voor het adres het energielabel B geregistreerd. Het hoogste energielabel in de straat is B; het laagste is G. Het gemiddelde energielabel is er B. Het adres Dragoonsplein 35 heeft als status: 'verblijfsobject in gebruik'. Het pand waarin dit adres ligt heeft als status: 'pand in gebruik'.
Dragoonsplein 35 is een adres gelegen in de gemeente Leeuwarden, provincie Friesland. Dit adres is geregistreerd in de Basisregistratie Adressen en Gebouwen (BAG) met als unieke identificatie 0080010000388698.
Het pand op Dragoonsplein 35 is gebouwd in 1973, wat betekent dat het 53 jaar oud is. Dit is een ouder pand. Het pand heeft mogelijk aanzienlijke renovaties nodig om aan de huidige standaarden te voldoen.
De woning op Dragoonsplein 35 heeft een gebruiksoppervlakte van 74 m². Dit is relatief klein vergeleken met de gemiddelde Nederlandse woning, die een oppervlakte heeft van ongeveer 119 m². De gebruiksoppervlakte is de maat die wordt gebruikt in de BAG-registratie, de landelijke registratie van de Nederlandse overheid.
Dragoonsplein 35 heeft als functie: wonen. Deze gebruiksfunctie(s) zijn vastgelegd in de BAG-registratie en geven aan waarvoor het adres officieel mag worden gebruikt.
Dragoonsplein 35 is gelegen op kadastraal perceel LWD00H1378. Deze kadastrale aanduiding is uniek en wordt gebruikt door het Kadaster om eigendomsrechten en andere zakelijke rechten vast te leggen. Het perceel maakt onderdeel uit van de kadastrale gemeente Leeuwarden.
Het perceel waarop Dragoonsplein 35 staat heeft een oppervlakte van 797 m². Dit is een groot perceel. De perceeloppervlakte wordt geregistreerd door het Kadaster. Gedetailleerde informatie over de maten van dit perceel kunt u vinden in het rapport Kadastrale kaart met maatvoering van Dragoonsplein 35.
De eigenaar van Dragoonsplein 35 is op te vragen op deze pagina.
De informatie over dit adres is afkomstig uit officiële overheidsregistraties, voornamelijk de Basisregistratie Adressen en Gebouwen (BAG) en de Basisregistratie Kadaster (BRK). Deze gegevens worden beheerd door respectievelijk gemeenten en het Kadaster, en worden regelmatig bijgewerkt. Energielabelgegevens komen uit de database van de Rijksdienst voor Ondernemend Nederland (RVO).
