
Het adres Agaatlaan 129 bevindt zich in de plaats Leiden, in de gemeente Leiden en de provincie Zuid-Holland. Het perceel waarop het adres gelegen is heeft een oppervlakte van 4615 m². Het verblijfsobject is met 76 m² relatief klein. Vergeleken met de andere verblijfsobjecten in de straat is dit object groot. De oppervlakte van het grootste object in de straat is 92 m², die van het kleinste bedraagt 14 m². In Nederland komt het grootste deel van de gebouwen uit de periode 1965-1984. Ook het bouwjaar van Agaatlaan 129 is afkomstig uit die periode: het betreft namelijk een pand uit 1970. Het gemiddelde bouwjaar in de straat is 1970 en dat van het oudste pand is 1970. Dit is het nieuwste object in de straat. Voor het verblijfsobject gelden deze gebruiksdoelen: 'woonfunctie'.
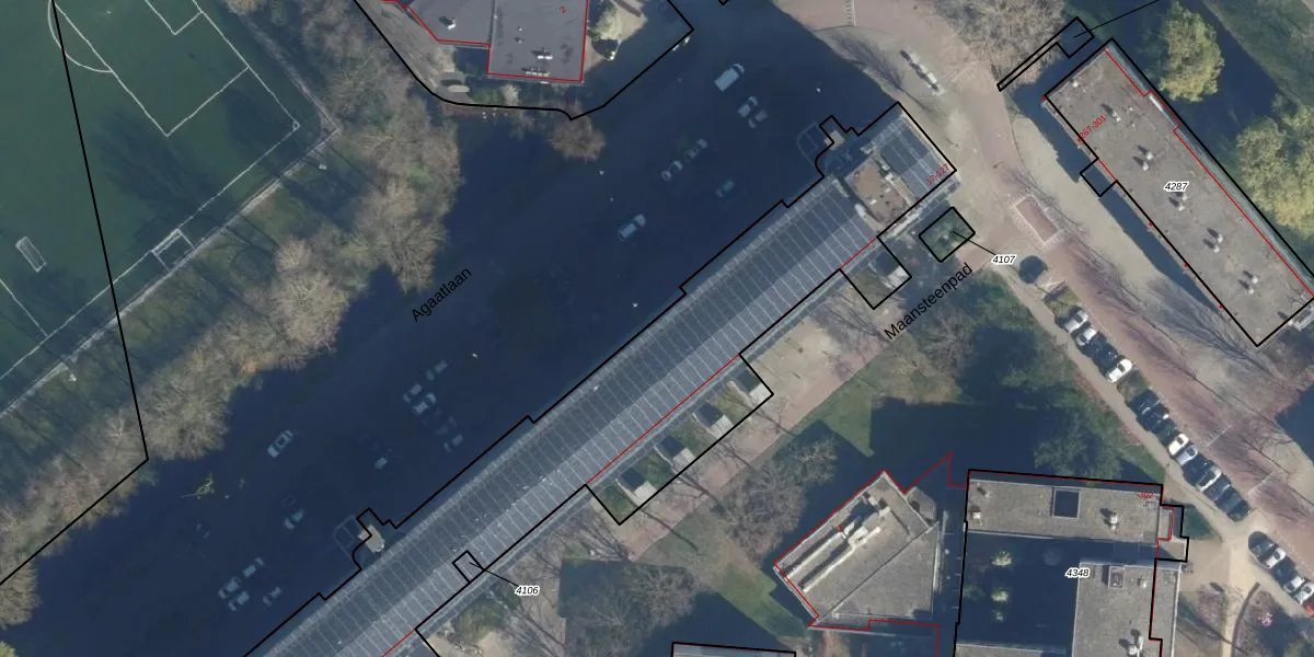
Het adres is gelegen op perceel 4104 in de sectie X en de kadastrale gemeente Leiden. De kadastrale aanduiding is aldus LDN01-X-4104. Het perceel is met 4615 m² relatief groot. Het gemiddelde ligt in de kadastrale gemeente Leiden op 703,94 m². Het grootste perceel in de kadastrale gemeente is 51,8 ha. Het kleinste perceel heeft een oppervlakte van 0 m². Er zijn 247 adressen aanwezig op het perceel. In de Basisregistratie Kadaster (BRK) werden de grenzen van het perceel geregistreerd op 22-11-2007.
Het adres ligt in een gebouw van het type 'appartement met het subtype tussenmidden'. Bij de laatste meting is voor het adres het energielabel A+++ geregistreerd. Het hoogste energielabel in de straat is A+++; het laagste is G. Het gemiddelde energielabel is er A++. Het adres Agaatlaan 129 heeft als status: 'verblijfsobject in gebruik'. Het pand waarin dit adres ligt heeft als status: 'pand in gebruik'.
Agaatlaan 129 is een adres gelegen in de gemeente Leiden, provincie Zuid-Holland. Dit adres is geregistreerd in de Basisregistratie Adressen en Gebouwen (BAG) met als unieke identificatie 0546010000050343.
Het pand op Agaatlaan 129 is gebouwd in 1970, wat betekent dat het 56 jaar oud is. Dit is een ouder pand. Het pand heeft mogelijk aanzienlijke renovaties nodig om aan de huidige standaarden te voldoen.
De woning op Agaatlaan 129 heeft een gebruiksoppervlakte van 76 m². Dit is onder het gemiddelde vergeleken met de gemiddelde Nederlandse woning, die een oppervlakte heeft van ongeveer 119 m². De gebruiksoppervlakte is de maat die wordt gebruikt in de BAG-registratie, de landelijke registratie van de Nederlandse overheid.
Agaatlaan 129 heeft als functie: wonen. Deze gebruiksfunctie(s) zijn vastgelegd in de BAG-registratie en geven aan waarvoor het adres officieel mag worden gebruikt.
Agaatlaan 129 is gelegen op kadastraal perceel LDN01X4104. Deze kadastrale aanduiding is uniek en wordt gebruikt door het Kadaster om eigendomsrechten en andere zakelijke rechten vast te leggen. Het perceel maakt onderdeel uit van de kadastrale gemeente Leiden.
Het perceel waarop Agaatlaan 129 staat heeft een oppervlakte van 4615 m². Dit is een zeer groot perceel. De perceeloppervlakte wordt geregistreerd door het Kadaster. Gedetailleerde informatie over de maten van dit perceel kunt u vinden in het rapport Kadastrale kaart met maatvoering van Agaatlaan 129.
De eigenaar van Agaatlaan 129 is op te vragen op deze pagina.
De informatie over dit adres is afkomstig uit officiële overheidsregistraties, voornamelijk de Basisregistratie Adressen en Gebouwen (BAG) en de Basisregistratie Kadaster (BRK). Deze gegevens worden beheerd door respectievelijk gemeenten en het Kadaster, en worden regelmatig bijgewerkt. Energielabelgegevens komen uit de database van de Rijksdienst voor Ondernemend Nederland (RVO).
