
Fruinlaan 38 is een adres in Leiden, dat zich bevindt binnen de gemeentegrenzen van Leiden en de grenzen van de provincie Zuid-Holland. Het verblijfsobject is vergeleken met het Nederlandse gemiddelde aan de kleine kant: de oppervlakte is 30 m². Het perceel waarop het adres zich bevindt heeft een oppervlakte van 348 m². Het object is klein ten opzichte van de andere adressen in de straat. Het grootste verblijfsobject is 8891 m² groot en het kleinste is 7 m². In het jaar 2021 is het pand waarin Fruinlaan 38 ligt gebouwd. Dat is relatief recent: de meeste gebouwen in Nederland zijn gebouwd in de periode 1965-1984. Dit object is relatief nieuw in de straat. Het nieuwste gebouw komt er uit het jaar 2022 en het oudste uit het jaar 1920. Het verblijfsobject heeft de volgende gebruiksdoelen: 'woonfunctie'.
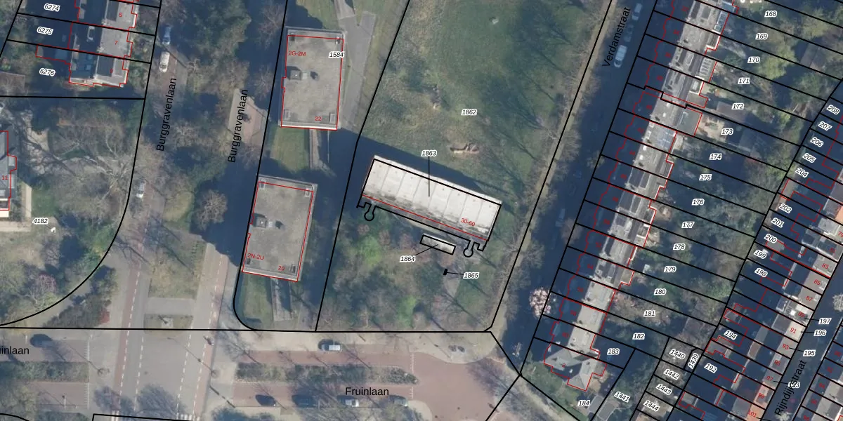
Het perceel waarop het adres ligt is LDN01-Q-1863. De afkorting 'LDN01' staat voor kadastrale gemeente Leiden. Het perceel is kleiner dan gemiddeld in Leiden. Het perceel is 348 m² groot, terwijl het gemiddelde ligt op 703,94 m². De grootste perceeloppervlakte in de kadastrale gemeente is 51,8 ha. De kleinste oppervlakte bedraagt 0 m². Op het perceel liggen in totaal 16 adressen. De huidige grenzen van het perceel zijn digitaal in de Basisregistratie Kadaster (BRK) geregistreerd op 26-01-2023.
Het adres ligt in een gebouw van het type 'flatwoning (overig) met het subtype tussenvloer'. Bij de laatste meting is voor het adres het energielabel A geregistreerd. Het hoogste energielabel in de straat is A; het laagste is G. Het gemiddelde energielabel is er B. Het adres Fruinlaan 38 heeft als status: 'verblijfsobject in gebruik'. Het pand waarin dit adres ligt heeft als status: 'pand in gebruik'.
Fruinlaan 38 is een adres gelegen in de gemeente Leiden, provincie Zuid-Holland. Dit adres is geregistreerd in de Basisregistratie Adressen en Gebouwen (BAG) met als unieke identificatie 0546010000075963.
Het pand op Fruinlaan 38 is gebouwd in 2021, wat betekent dat het 5 jaar oud is. Dit is een vrij nieuw pand. Het pand is dus waarschijnlijk goed geïsoleerd, geluidsdicht en voldoet aan de huidige bouwstandaarden. Op korte termijn zijn er waarschijnlijk weinig onderhoudskosten.
De woning op Fruinlaan 38 heeft een gebruiksoppervlakte van 30 m². Dit is relatief klein vergeleken met de gemiddelde Nederlandse woning, die een oppervlakte heeft van ongeveer 119 m². De gebruiksoppervlakte is de maat die wordt gebruikt in de BAG-registratie, de landelijke registratie van de Nederlandse overheid.
Fruinlaan 38 heeft als functie: wonen. Deze gebruiksfunctie(s) zijn vastgelegd in de BAG-registratie en geven aan waarvoor het adres officieel mag worden gebruikt.
Fruinlaan 38 is gelegen op kadastraal perceel LDN01Q1863. Deze kadastrale aanduiding is uniek en wordt gebruikt door het Kadaster om eigendomsrechten en andere zakelijke rechten vast te leggen. Het perceel maakt onderdeel uit van de kadastrale gemeente Leiden.
Het perceel waarop Fruinlaan 38 staat heeft een oppervlakte van 348 m². Dit is een groot perceel. De perceeloppervlakte wordt geregistreerd door het Kadaster. Gedetailleerde informatie over de maten van dit perceel kunt u vinden in het rapport Kadastrale kaart met maatvoering van Fruinlaan 38.
De eigenaar van Fruinlaan 38 is op te vragen op deze pagina.
De informatie over dit adres is afkomstig uit officiële overheidsregistraties, voornamelijk de Basisregistratie Adressen en Gebouwen (BAG) en de Basisregistratie Kadaster (BRK). Deze gegevens worden beheerd door respectievelijk gemeenten en het Kadaster, en worden regelmatig bijgewerkt. Energielabelgegevens komen uit de database van de Rijksdienst voor Ondernemend Nederland (RVO).
