
Het adres Schubertlaan 172 bevindt zich in de plaats Leiden, in de gemeente Leiden en de provincie Zuid-Holland. De oppervlakte van het object bedraagt 47 m². Dat is klein vergeleken met het Nederlandse gemiddelde. Het perceel waarop het adres ligt is 5700 m² groot. Het object is klein ten opzichte van de andere adressen in de straat. Het grootste verblijfsobject is 2560 m² groot en het kleinste is 17 m². De gemiddelde bouwperiode van gebouwen in Nederland ligt tussen de jaren 1965-1984. Dat geldt ook voor het bouwjaar van Schubertlaan 172: het is gebouwd in het jaar 1967. In de straat komt het nieuwste gebouw uit het jaar 1988 en het oudste uit 1963. Het bouwjaar van dit object is relatief oud. Het verblijfsobject heeft de volgende gebruiksdoelen: 'woonfunctie'.
Deze woning is voor het laatst verkocht op 1 januari 2012. Meer informatie over deze transactie? Bestel het Woningtransactierapport om de verkoopprijs en andere informatie te zien.
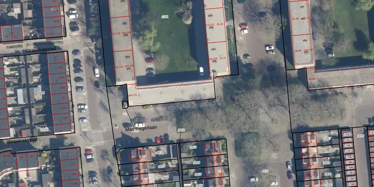
Het perceel waarop het adres ligt is LDN01-O-2741. De afkorting 'LDN01' staat voor kadastrale gemeente Leiden. De gemiddelde perceeloppervlakte in de kadastrale gemeente Leiden is 703,99 m². Dit perceel is met zijn 5700 m² dus groter dan gemiddeld. Het kleinste perceel in de kadastrale gemeente is 0 m² groot. De grootste perceeloppervlakte is 51,8 ha. Op het perceel zijn 101 adressen aanwezig. In de Basisregistratie Kadaster (BRK) werden de grenzen van het perceel geregistreerd op 07-12-2007.
Er is geen energielabel geregistreerd voor het adres. Het hoogste energielabel in de straat is A++++; het laagste is G. Het gemiddelde energielabel is er D. Het adres Schubertlaan 172 heeft als status: 'verblijfsobject in gebruik'. Het pand waarin dit adres ligt heeft als status: 'pand in gebruik'.
Schubertlaan 172 is een adres gelegen in de gemeente Leiden, provincie Zuid-Holland. Dit adres is geregistreerd in de Basisregistratie Adressen en Gebouwen (BAG) met als unieke identificatie 0546010000043779.
Het pand op Schubertlaan 172 is gebouwd in 1967, wat betekent dat het 59 jaar oud is. Dit is een ouder pand. Het pand heeft mogelijk aanzienlijke renovaties nodig om aan de huidige standaarden te voldoen.
De woning op Schubertlaan 172 heeft een gebruiksoppervlakte van 47 m². Dit is relatief klein vergeleken met de gemiddelde Nederlandse woning, die een oppervlakte heeft van ongeveer 119 m². De gebruiksoppervlakte is de maat die wordt gebruikt in de BAG-registratie, de landelijke registratie van de Nederlandse overheid.
Schubertlaan 172 heeft als functie: wonen. Deze gebruiksfunctie(s) zijn vastgelegd in de BAG-registratie en geven aan waarvoor het adres officieel mag worden gebruikt.
Schubertlaan 172 is gelegen op kadastraal perceel LDN01O2741. Deze kadastrale aanduiding is uniek en wordt gebruikt door het Kadaster om eigendomsrechten en andere zakelijke rechten vast te leggen. Het perceel maakt onderdeel uit van de kadastrale gemeente Leiden.
Het perceel waarop Schubertlaan 172 staat heeft een oppervlakte van 5700 m². Dit is een zeer groot perceel. De perceeloppervlakte wordt geregistreerd door het Kadaster. Gedetailleerde informatie over de maten van dit perceel kunt u vinden in het rapport Kadastrale kaart met maatvoering van Schubertlaan 172.
De eigenaar van Schubertlaan 172 is op te vragen op deze pagina.
De informatie over dit adres is afkomstig uit officiële overheidsregistraties, voornamelijk de Basisregistratie Adressen en Gebouwen (BAG) en de Basisregistratie Kadaster (BRK). Deze gegevens worden beheerd door respectievelijk gemeenten en het Kadaster, en worden regelmatig bijgewerkt. Energielabelgegevens komen uit de database van de Rijksdienst voor Ondernemend Nederland (RVO).
