
Het adres Tiendweg-West 8-b bevindt zich in de plaats Lekkerkerk, in de gemeente Lekkerkerk en de provincie Zuid-Holland. De oppervlakte van het verblijfsobject is met 201 m² aan de grote kant. Het perceel heeft een oppervlakte van 1680 m². Vergeleken met de andere verblijfsobjecten in de straat is dit object groot. De oppervlakte van het grootste object in de straat is 1060 m², die van het kleinste bedraagt 10 m². Het pand waarin Tiendweg-West 8-b ligt is gebouwd in het jaar 2008. Panden die gebouwd zijn na het jaar 1984 noemen we hier relatief nieuw. Dit object is relatief nieuw in de straat. Het nieuwste gebouw komt er uit het jaar 2025 en het oudste uit het jaar 1885. Het verblijfsobject heeft de volgende gebruiksdoelen: 'woonfunctie'.
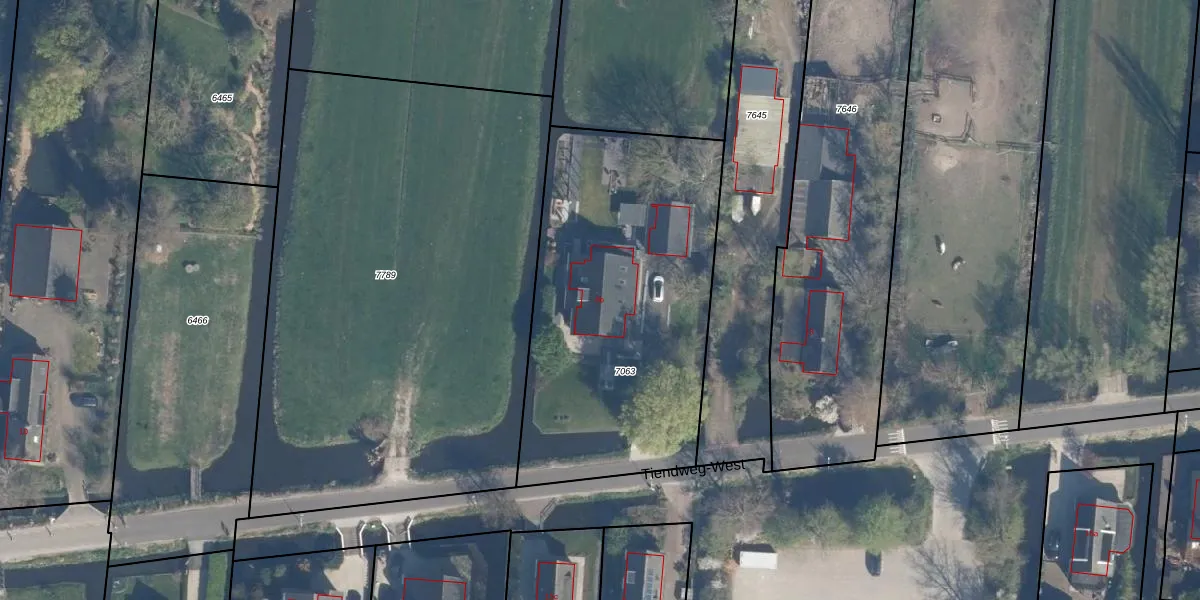
Het adres is gelegen op perceel 7063 in de sectie D en de kadastrale gemeente Lekkerkerk. De kadastrale aanduiding is aldus LKK00-D-7063. Het perceel is kleiner dan gemiddeld in Lekkerkerk. Het perceel is 1680 m² groot, terwijl het gemiddelde ligt op 3937,89 m². Het kleinste perceel in de kadastrale gemeente is 0 m² groot. De grootste perceeloppervlakte is 28,2 ha. Op het perceel bevinden zich geen andere adressen. In de Basisregistratie Kadaster (BRK) werden de grenzen van het perceel geregistreerd op 29-07-2002.
Er is geen energielabel geregistreerd voor het adres. Het hoogste energielabel in de straat is A++; het laagste is G. Het gemiddelde energielabel is er C. Het adres Tiendweg-West 8-b heeft als status: 'verblijfsobject in gebruik'. Het pand waarin dit adres ligt heeft als status: 'pand in gebruik'.
Tiendweg-West 8-b is een adres gelegen in de gemeente Krimpenerwaard, provincie Zuid-Holland. Dit adres is geregistreerd in de Basisregistratie Adressen en Gebouwen (BAG) met als unieke identificatie 0643010002048678.
Het pand op Tiendweg-West 8-b is gebouwd in 2008, wat betekent dat het 18 jaar oud is. Dit is een relatief modern pand. Ten opzichte van de nationale woningvoorraad is het pand relatief modern, maar er kunnen enkele verouderde elementen zijn die aandacht nodig hebben.
De woning op Tiendweg-West 8-b heeft een gebruiksoppervlakte van 201 m². Dit is ruim vergeleken met de gemiddelde Nederlandse woning, die een oppervlakte heeft van ongeveer 119 m². De gebruiksoppervlakte is de maat die wordt gebruikt in de BAG-registratie, de landelijke registratie van de Nederlandse overheid.
Tiendweg-West 8-b heeft als functie: wonen. Deze gebruiksfunctie(s) zijn vastgelegd in de BAG-registratie en geven aan waarvoor het adres officieel mag worden gebruikt.
Tiendweg-West 8-b is gelegen op kadastraal perceel LKK00D7063. Deze kadastrale aanduiding is uniek en wordt gebruikt door het Kadaster om eigendomsrechten en andere zakelijke rechten vast te leggen. Het perceel maakt onderdeel uit van de kadastrale gemeente Lekkerkerk.
Het perceel waarop Tiendweg-West 8-b staat heeft een oppervlakte van 1680 m². Dit is een zeer groot perceel. De perceeloppervlakte wordt geregistreerd door het Kadaster. Gedetailleerde informatie over de maten van dit perceel kunt u vinden in het rapport Kadastrale kaart met maatvoering van Tiendweg-West 8-b.
De eigenaar van Tiendweg-West 8-b is op te vragen op deze pagina.
De informatie over dit adres is afkomstig uit officiële overheidsregistraties, voornamelijk de Basisregistratie Adressen en Gebouwen (BAG) en de Basisregistratie Kadaster (BRK). Deze gegevens worden beheerd door respectievelijk gemeenten en het Kadaster, en worden regelmatig bijgewerkt. Energielabelgegevens komen uit de database van de Rijksdienst voor Ondernemend Nederland (RVO).
