
Bronsweg 8 is gelegen in de plaats Lelystad, de gemeente Lelystad en de provincie Flevoland. De oppervlakte van het verblijfsobject is met 713 m² aan de grote kant. Het perceel heeft een oppervlakte van 810 m². In vergelijking met de andere adressen in de straat is de oppervlakte van dit object relatief groot. Het grootste verblijfsobject heeft een oppervlakte van 4133 m², de oppervlakte van het kleinste object bedraagt 13 m². In Nederland komt het grootste deel van de gebouwen uit de periode 1965-1984. Ook het bouwjaar van Bronsweg 8 is afkomstig uit die periode: het betreft namelijk een pand uit 1978. Het nieuwste gebouw in de straat komt uit 2024 en het oudste uit 1971. Dit object is relatief oud. Voor het verblijfsobject gelden deze gebruiksdoelen: 'industriefunctie'.
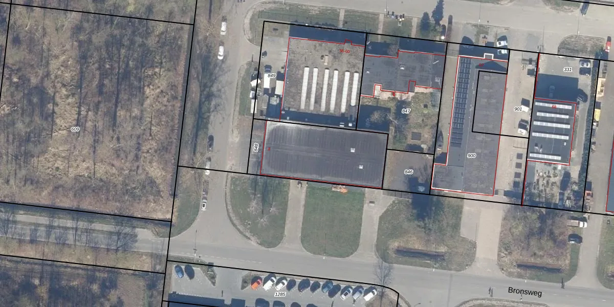
Het perceel waarop het adres ligt is LLS00-F-848. De afkorting 'LLS00' staat voor kadastrale gemeente Lelystad. De gemiddelde perceelgrootte in Lelystad is 2,1 ha. Dit perceel is kleiner: de perceeloppervlakte bedraagt 810 m². Het grootste perceel in de kadastrale gemeente is 78,50 km². Het kleinste perceel heeft een oppervlakte van 0 m². Op het perceel bevinden zich geen andere adressen. De laatste wijziging in het de Basisregistratie Kadaster (BRK) was op 28-07-2003.
Bij de laatste meting is voor het adres het energielabel A+ geregistreerd. Het hoogste energielabel in de straat is A++; het laagste is G. Het gemiddelde energielabel is er A. Het adres Bronsweg 8 heeft als status: 'verblijfsobject in gebruik'. Het pand waarin dit adres ligt heeft als status: 'pand in gebruik'.
Bronsweg 8 is een adres gelegen in de gemeente Lelystad, provincie Flevoland. Dit adres is geregistreerd in de Basisregistratie Adressen en Gebouwen (BAG) met als unieke identificatie 0995010000826070.
Het pand op Bronsweg 8 is gebouwd in 1978, wat betekent dat het 48 jaar oud is. Dit is een pand van middelbare leeftijd. Het pand is van gemiddelde leeftijd en zal waarschijnlijk verouderde elementen bevatten.
De woning op Bronsweg 8 heeft een gebruiksoppervlakte van 713 m². Dit is ruim vergeleken met de gemiddelde Nederlandse woning, die een oppervlakte heeft van ongeveer 119 m². De gebruiksoppervlakte is de maat die wordt gebruikt in de BAG-registratie, de landelijke registratie van de Nederlandse overheid.
Bronsweg 8 heeft als functie: industrie. Deze gebruiksfunctie(s) zijn vastgelegd in de BAG-registratie en geven aan waarvoor het adres officieel mag worden gebruikt.
Bronsweg 8 is gelegen op kadastraal perceel LLS00F848. Deze kadastrale aanduiding is uniek en wordt gebruikt door het Kadaster om eigendomsrechten en andere zakelijke rechten vast te leggen. Het perceel maakt onderdeel uit van de kadastrale gemeente Lelystad.
Het perceel waarop Bronsweg 8 staat heeft een oppervlakte van 810 m². Dit is een groot perceel. De perceeloppervlakte wordt geregistreerd door het Kadaster. Gedetailleerde informatie over de maten van dit perceel kunt u vinden in het rapport Kadastrale kaart met maatvoering van Bronsweg 8.
De eigenaar van Bronsweg 8 is op te vragen op deze pagina
De informatie over dit adres is afkomstig uit officiële overheidsregistraties, voornamelijk de Basisregistratie Adressen en Gebouwen (BAG) en de Basisregistratie Kadaster (BRK). Deze gegevens worden beheerd door respectievelijk gemeenten en het Kadaster, en worden regelmatig bijgewerkt. Energielabelgegevens komen uit de database van de Rijksdienst voor Ondernemend Nederland (RVO).
