
Stadhuisplein 53 is gelegen in de plaats Lelystad, de gemeente Lelystad en de provincie Flevoland. De oppervlakte van het object bedraagt 55 m². Dat is klein vergeleken met het Nederlandse gemiddelde. Het perceel waarop het adres ligt is 809 m² groot. De oppervlakte van het adres is klein vergeleken met de andere objecten in de straat. De oppervlakte van het kleinste object in de straat bedraagt 38 m², terwijl het grootste object 2,1 ha groot is. De gemiddelde bouwperiode van gebouwen in Nederland ligt tussen de jaren 1965-1984. Dat geldt ook voor het bouwjaar van Stadhuisplein 53: het is gebouwd in het jaar 1983. Dit is het oudste object in de straat. Het nieuwste pand komt uit 1994 en het gemiddelde bouwjaar in de straat is 1984. Het verblijfsobject heeft de volgende gebruiksdoelen: 'winkelfunctie'.
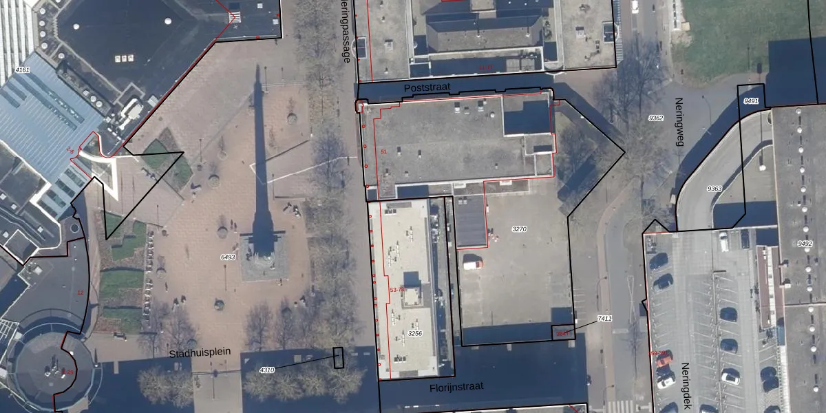
Het adres is gelegen op perceel 3256 in de sectie M en de kadastrale gemeente Lelystad. De kadastrale aanduiding is aldus LLS00-M-3256. Het perceel is kleiner dan gemiddeld in Lelystad. Het perceel is 809 m² groot, terwijl het gemiddelde ligt op 2,1 ha. Het kleinste perceel in de kadastrale gemeente is 0 m² groot. De grootste perceeloppervlakte is 78,50 km². Op het perceel zijn 29 adressen aanwezig. De laatste wijziging in het de Basisregistratie Kadaster (BRK) was op 06-01-2005.
Bij de laatste meting is voor het adres het energielabel A geregistreerd. Het hoogste energielabel in de straat is A++; het laagste is G. Het gemiddelde energielabel is er A+. Het adres Stadhuisplein 53 heeft als status: 'verblijfsobject in gebruik'. Het pand waarin dit adres ligt heeft als status: 'pand in gebruik'.
Stadhuisplein 53 is een adres gelegen in de gemeente Lelystad, provincie Flevoland. Dit adres is geregistreerd in de Basisregistratie Adressen en Gebouwen (BAG) met als unieke identificatie 0995010000746443.
Het pand op Stadhuisplein 53 is gebouwd in 1983, wat betekent dat het 43 jaar oud is. Dit is een pand van middelbare leeftijd. Het pand is van gemiddelde leeftijd en zal waarschijnlijk verouderde elementen bevatten.
De woning op Stadhuisplein 53 heeft een gebruiksoppervlakte van 55 m². Dit is relatief klein vergeleken met de gemiddelde Nederlandse woning, die een oppervlakte heeft van ongeveer 119 m². De gebruiksoppervlakte is de maat die wordt gebruikt in de BAG-registratie, de landelijke registratie van de Nederlandse overheid.
Stadhuisplein 53 heeft als functie: winkel/handel. Deze gebruiksfunctie(s) zijn vastgelegd in de BAG-registratie en geven aan waarvoor het adres officieel mag worden gebruikt.
Stadhuisplein 53 is gelegen op kadastraal perceel LLS00M3256. Deze kadastrale aanduiding is uniek en wordt gebruikt door het Kadaster om eigendomsrechten en andere zakelijke rechten vast te leggen. Het perceel maakt onderdeel uit van de kadastrale gemeente Lelystad.
Het perceel waarop Stadhuisplein 53 staat heeft een oppervlakte van 809 m². Dit is een groot perceel. De perceeloppervlakte wordt geregistreerd door het Kadaster. Gedetailleerde informatie over de maten van dit perceel kunt u vinden in het rapport Kadastrale kaart met maatvoering van Stadhuisplein 53.
De eigenaar van Stadhuisplein 53 is op te vragen op deze pagina.
De informatie over dit adres is afkomstig uit officiële overheidsregistraties, voornamelijk de Basisregistratie Adressen en Gebouwen (BAG) en de Basisregistratie Kadaster (BRK). Deze gegevens worden beheerd door respectievelijk gemeenten en het Kadaster, en worden regelmatig bijgewerkt. Energielabelgegevens komen uit de database van de Rijksdienst voor Ondernemend Nederland (RVO).
