
Kroonplein 4-B is gelegen in de plaats Lemelerveld, de gemeente Dalfsen en de provincie Overijssel. Het object heeft een oppervlakte van 180 m², wat relatief groot is. Het perceel waarop het adres ligt is 1970 m² groot. Het adres is klein vergeleken met andere objecten in de straat. Het grootste object in de straat heeft een oppervlakte van 1494 m², het kleinste is 3 m² groot. In het jaar 2002 is het pand waarin Kroonplein 4-B ligt gebouwd. Dat is relatief recent: de meeste gebouwen in Nederland zijn gebouwd in de periode 1965-1984. Het bouwjaar is oud vergeleken met dat van de andere panden in de straat. Het oudste bouwjaar is er 1975 en de nieuwste is 2006. Het verblijfsobject heeft de volgende gebruiksdoelen: 'kantoorfunctie' en 'winkelfunctie'.
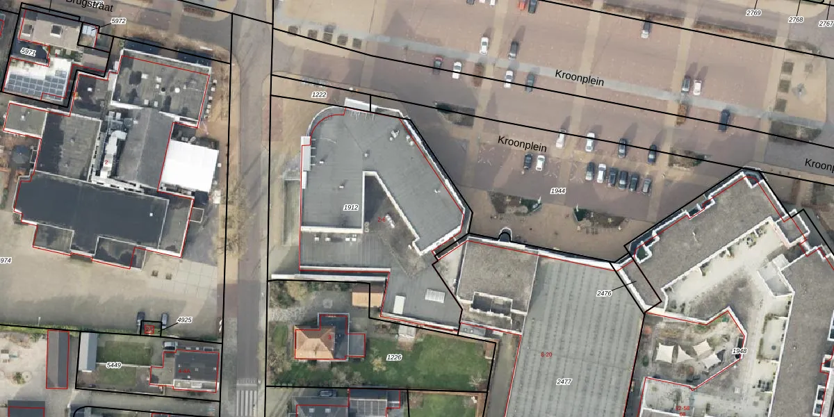
Het adres ligt op het perceel DSN01-M-1912, dat zich in de kadastrale gemeente Dalfsen bevindt. Het perceel is kleiner dan gemiddeld in Dalfsen. Het perceel is 1970 m² groot, terwijl het gemiddelde ligt op 8538,1 m². De grootste perceeloppervlakte in de kadastrale gemeente is 83,3 ha. De kleinste oppervlakte bedraagt 0 m². Er zijn 7 adressen aanwezig op het perceel. De laatste wijziging in het de Basisregistratie Kadaster (BRK) was op 18-11-2002.
Bij de laatste meting is voor het adres het energielabel A+ geregistreerd. Het hoogste energielabel in de straat is A++++; het laagste is G. Het gemiddelde energielabel is er A++. Het adres Kroonplein 4-B heeft als status: 'verblijfsobject in gebruik'. Het pand waarin dit adres ligt heeft als status: 'pand in gebruik'.
Kroonplein 4-B is een adres gelegen in de gemeente Dalfsen, provincie Overijssel. Dit adres is geregistreerd in de Basisregistratie Adressen en Gebouwen (BAG) met als unieke identificatie 0148010000091739.
Het pand op Kroonplein 4-B is gebouwd in 2002, wat betekent dat het 24 jaar oud is. Dit is een relatief modern pand. Ten opzichte van de nationale woningvoorraad is het pand relatief modern, maar er kunnen enkele verouderde elementen zijn die aandacht nodig hebben.
De woning op Kroonplein 4-B heeft een gebruiksoppervlakte van 180 m². Dit is ruim vergeleken met de gemiddelde Nederlandse woning, die een oppervlakte heeft van ongeveer 119 m². De gebruiksoppervlakte is de maat die wordt gebruikt in de BAG-registratie, de landelijke registratie van de Nederlandse overheid.
Kroonplein 4-B heeft als functie: kantoor en winkel/handel. Deze gebruiksfunctie(s) zijn vastgelegd in de BAG-registratie en geven aan waarvoor het adres officieel mag worden gebruikt.
Kroonplein 4-B is gelegen op kadastraal perceel DSN01M1912. Deze kadastrale aanduiding is uniek en wordt gebruikt door het Kadaster om eigendomsrechten en andere zakelijke rechten vast te leggen. Het perceel maakt onderdeel uit van de kadastrale gemeente Dalfsen.
Het perceel waarop Kroonplein 4-B staat heeft een oppervlakte van 1970 m². Dit is een zeer groot perceel. De perceeloppervlakte wordt geregistreerd door het Kadaster. Gedetailleerde informatie over de maten van dit perceel kunt u vinden in het rapport Kadastrale kaart met maatvoering van Kroonplein 4-B.
De eigenaar van Kroonplein 4-B is op te vragen op deze pagina.
De informatie over dit adres is afkomstig uit officiële overheidsregistraties, voornamelijk de Basisregistratie Adressen en Gebouwen (BAG) en de Basisregistratie Kadaster (BRK). Deze gegevens worden beheerd door respectievelijk gemeenten en het Kadaster, en worden regelmatig bijgewerkt. Energielabelgegevens komen uit de database van de Rijksdienst voor Ondernemend Nederland (RVO).
