
Mölnhoek 3 is gelegen in de plaats Lemelerveld, de gemeente Dalfsen en de provincie Overijssel. De oppervlakte bedraagt 157 m², waarmee het adres groter dan gemiddeld is. De grootte van het perceel waarop het adres ligt is 775 m². In de straat is dit het adres met de grootste oppervlakte. De objecten in de straat zijn gemiddeld 84 m² groot. Het kleinste verblijfsobject heeft een oppervlakte van 45 m². Het pand waarin Mölnhoek 3 ligt is gebouwd in het jaar 2006. Panden die gebouwd zijn na het jaar 1984 noemen we hier relatief nieuw. Veel andere gebouwen in de straat zijn ouder dan dit pand. Het oudste pand komt uit het jaar 1986 en het nieuwste uit 2019. De volgende gebruiksdoelen zijn geregistreerd voor dit adres: 'woonfunctie'.
Deze woning is voor het laatst verkocht op 1 oktober 2007. Meer informatie over deze transactie? Bestel het Woningtransactierapport om de verkoopprijs en andere informatie te zien.
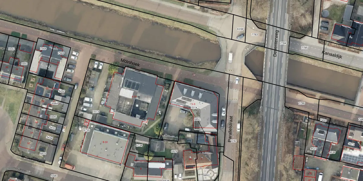
Het perceel waarop het adres ligt is DSN01-F-7074. De afkorting 'DSN01' staat voor kadastrale gemeente Dalfsen. Het perceel is 775 m² groot. Dat is kleiner dan de gemiddelde perceeloppervlakte in Dalfsen, dat op 8538,1 m² ligt. Het kleinste perceel in de kadastrale gemeente is 0 m² groot. De grootste perceeloppervlakte is 83,3 ha. Op het perceel zijn 4 adressen aanwezig. De laatste wijziging in het de Basisregistratie Kadaster (BRK) was op 03-11-2006.
Er is geen energielabel geregistreerd voor het adres. Het hoogste energielabel in de straat is A; het laagste is G. Het gemiddelde energielabel is er C. Het adres Mölnhoek 3 heeft als status: 'verblijfsobject in gebruik'. Het pand waarin dit adres ligt heeft als status: 'pand in gebruik'.
Mölnhoek 3 is een adres gelegen in de gemeente Dalfsen, provincie Overijssel. Dit adres is geregistreerd in de Basisregistratie Adressen en Gebouwen (BAG) met als unieke identificatie 0148010000012596.
Het pand op Mölnhoek 3 is gebouwd in 2006, wat betekent dat het 20 jaar oud is. Dit is een relatief modern pand. Ten opzichte van de nationale woningvoorraad is het pand relatief modern, maar er kunnen enkele verouderde elementen zijn die aandacht nodig hebben.
De woning op Mölnhoek 3 heeft een gebruiksoppervlakte van 157 m². Dit is ruim vergeleken met de gemiddelde Nederlandse woning, die een oppervlakte heeft van ongeveer 119 m². De gebruiksoppervlakte is de maat die wordt gebruikt in de BAG-registratie, de landelijke registratie van de Nederlandse overheid.
Mölnhoek 3 heeft als functie: wonen. Deze gebruiksfunctie(s) zijn vastgelegd in de BAG-registratie en geven aan waarvoor het adres officieel mag worden gebruikt.
Mölnhoek 3 is gelegen op kadastraal perceel DSN01F7074. Deze kadastrale aanduiding is uniek en wordt gebruikt door het Kadaster om eigendomsrechten en andere zakelijke rechten vast te leggen. Het perceel maakt onderdeel uit van de kadastrale gemeente Dalfsen.
Het perceel waarop Mölnhoek 3 staat heeft een oppervlakte van 775 m². Dit is een groot perceel. De perceeloppervlakte wordt geregistreerd door het Kadaster. Gedetailleerde informatie over de maten van dit perceel kunt u vinden in het rapport Kadastrale kaart met maatvoering van Mölnhoek 3.
De eigenaar van Mölnhoek 3 is op te vragen op deze pagina.
De informatie over dit adres is afkomstig uit officiële overheidsregistraties, voornamelijk de Basisregistratie Adressen en Gebouwen (BAG) en de Basisregistratie Kadaster (BRK). Deze gegevens worden beheerd door respectievelijk gemeenten en het Kadaster, en worden regelmatig bijgewerkt. Energielabelgegevens komen uit de database van de Rijksdienst voor Ondernemend Nederland (RVO).
