
Hoofdstraat 186 is een adres in Lettelbert, dat zich bevindt binnen de gemeentegrenzen van Lettelbert en de grenzen van de provincie Groningen. De oppervlakte van het verblijfsobject is met 680 m² aan de grote kant. Het perceel heeft een oppervlakte van 1,5 ha. De oppervlakte van dit adres is groot vergeleken met de oppervlaktes van andere adressen in de straat. De kleinste oppervlakte bedraagt er 20 m², de grootste 765 m². Hoofdstraat 186 bevindt zich in een pand uit het jaar 1903. Daarmee behoort het tot de groep relatief oude panden in Nederland die gebouwd zijn vóór 1965. Het nieuwste gebouw in de straat komt uit 2019 en het oudste uit 1300. Dit object is relatief oud. Voor het verblijfsobject gelden deze gebruiksdoelen: 'woonfunctie' en 'industriefunctie'.
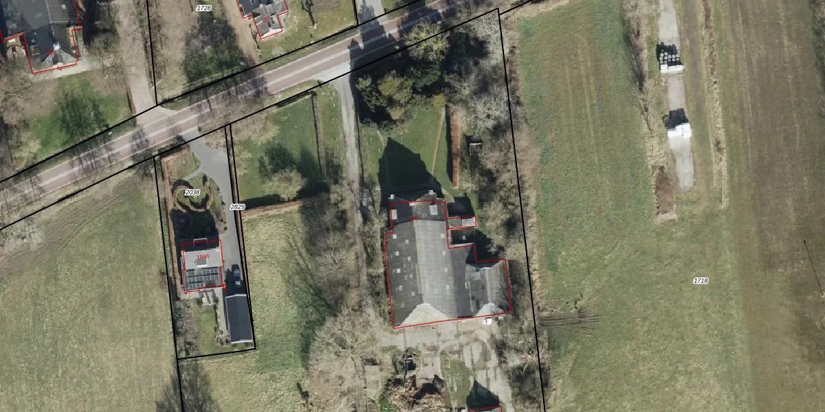
Het adres ligt op het perceel LEE01-C-2830, dat zich in de kadastrale gemeente Leek bevindt. Het perceel is met 1,5 ha relatief groot. Het gemiddelde ligt in de kadastrale gemeente Leek op 5182,54 m². Het grootste perceel in de kadastrale gemeente is 72,3 ha. Het kleinste perceel heeft een oppervlakte van 0 m². Op het perceel bevinden zich geen andere adressen. De huidige grenzen van het perceel zijn digitaal in de Basisregistratie Kadaster (BRK) geregistreerd op 30-08-2016.
Er is geen energielabel geregistreerd voor het adres. Het hoogste energielabel in de straat is A++; het laagste is G. Het gemiddelde energielabel is er B. Het adres Hoofdstraat 186 heeft als status: 'verblijfsobject in gebruik'. Het pand waarin dit adres ligt heeft als status: 'pand in gebruik'.
Hoofdstraat 186 is een adres gelegen in de gemeente Westerkwartier, provincie Groningen. Dit adres is geregistreerd in de Basisregistratie Adressen en Gebouwen (BAG) met als unieke identificatie 0022010000008450.
Het pand op Hoofdstraat 186 is gebouwd in 1903, wat betekent dat het 123 jaar oud is. Dit is een ouder pand. Het pand heeft mogelijk aanzienlijke renovaties nodig om aan de huidige standaarden te voldoen.
De woning op Hoofdstraat 186 heeft een gebruiksoppervlakte van 680 m². Dit is ruim vergeleken met de gemiddelde Nederlandse woning, die een oppervlakte heeft van ongeveer 119 m². De gebruiksoppervlakte is de maat die wordt gebruikt in de BAG-registratie, de landelijke registratie van de Nederlandse overheid.
Hoofdstraat 186 heeft als functie: wonen en industrie. Deze gebruiksfunctie(s) zijn vastgelegd in de BAG-registratie en geven aan waarvoor het adres officieel mag worden gebruikt.
Hoofdstraat 186 is gelegen op kadastraal perceel LEE01C2830. Deze kadastrale aanduiding is uniek en wordt gebruikt door het Kadaster om eigendomsrechten en andere zakelijke rechten vast te leggen. Het perceel maakt onderdeel uit van de kadastrale gemeente Leek.
Het perceel waarop Hoofdstraat 186 staat heeft een oppervlakte van 1,5 ha. Dit is een zeer groot perceel. De perceeloppervlakte wordt geregistreerd door het Kadaster. Gedetailleerde informatie over de maten van dit perceel kunt u vinden in het rapport Kadastrale kaart met maatvoering van Hoofdstraat 186.
De eigenaar van Hoofdstraat 186 is op te vragen op deze pagina.
De informatie over dit adres is afkomstig uit officiële overheidsregistraties, voornamelijk de Basisregistratie Adressen en Gebouwen (BAG) en de Basisregistratie Kadaster (BRK). Deze gegevens worden beheerd door respectievelijk gemeenten en het Kadaster, en worden regelmatig bijgewerkt. Energielabelgegevens komen uit de database van de Rijksdienst voor Ondernemend Nederland (RVO).
