
Het adres Driftakkerweg 8-a bevindt zich in de plaats Leusden, in de gemeente Leusden en de provincie Utrecht. Het perceel waarop het adres gelegen is heeft een oppervlakte van 1890 m². Het verblijfsobject is met 89 m² relatief klein. Dit is het kleinste object van de straat. De gemiddelde oppervlakte van verblijfsobjecten is er 187 m². De grootste oppervlakte in de straat is 390 m². Het adres Driftakkerweg 8-a ligt in een relatief oud pand uit het jaar 1800. Panden van vóór het jaar 1965 hebben we hier geclassificeerd als oud. Het bouwjaar is oud vergeleken met dat van de andere panden in de straat. Het oudste bouwjaar is er 1600 en de nieuwste is 1965. Voor het verblijfsobject gelden deze gebruiksdoelen: 'woonfunctie'.
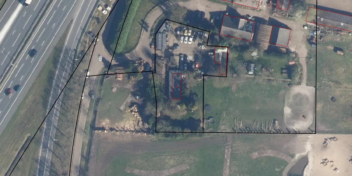
Het adres is gelegen op perceel 422 in de sectie I en de kadastrale gemeente Leusden. De kadastrale aanduiding is aldus LDN02-I-422. De gemiddelde perceelgrootte in Leusden is 3489,47 m². Dit perceel is kleiner: de perceeloppervlakte bedraagt 1890 m². De grootste perceeloppervlakte in de kadastrale gemeente is 8,56 km². De kleinste oppervlakte bedraagt 0 m². Dit is het enige adres dat aanwezig is op het perceel. In de Basisregistratie Kadaster (BRK) werden de grenzen van het perceel geregistreerd op 12-02-2003.
Er is geen energielabel geregistreerd voor het adres. Het hoogste energielabel in de straat is D; het laagste is G. Het gemiddelde energielabel is er D. Het adres Driftakkerweg 8-a heeft als status: 'verblijfsobject in gebruik'. Het pand waarin dit adres ligt heeft als status: 'pand in gebruik'.
Driftakkerweg 8-a is een adres gelegen in de gemeente Leusden, provincie Utrecht. Dit adres is geregistreerd in de Basisregistratie Adressen en Gebouwen (BAG) met als unieke identificatie 0327010000292941.
Het pand op Driftakkerweg 8-a is gebouwd in 1800, wat betekent dat het 226 jaar oud is. Dit is een ouder pand. Het pand heeft mogelijk aanzienlijke renovaties nodig om aan de huidige standaarden te voldoen.
De woning op Driftakkerweg 8-a heeft een gebruiksoppervlakte van 89 m². Dit is onder het gemiddelde vergeleken met de gemiddelde Nederlandse woning, die een oppervlakte heeft van ongeveer 119 m². De gebruiksoppervlakte is de maat die wordt gebruikt in de BAG-registratie, de landelijke registratie van de Nederlandse overheid.
Driftakkerweg 8-a heeft als functie: wonen. Deze gebruiksfunctie(s) zijn vastgelegd in de BAG-registratie en geven aan waarvoor het adres officieel mag worden gebruikt.
Driftakkerweg 8-a is gelegen op kadastraal perceel LDN02I422. Deze kadastrale aanduiding is uniek en wordt gebruikt door het Kadaster om eigendomsrechten en andere zakelijke rechten vast te leggen. Het perceel maakt onderdeel uit van de kadastrale gemeente Leusden.
Het perceel waarop Driftakkerweg 8-a staat heeft een oppervlakte van 1890 m². Dit is een zeer groot perceel. De perceeloppervlakte wordt geregistreerd door het Kadaster. Gedetailleerde informatie over de maten van dit perceel kunt u vinden in het rapport Kadastrale kaart met maatvoering van Driftakkerweg 8-a.
De eigenaar van Driftakkerweg 8-a is op te vragen op deze pagina.
De informatie over dit adres is afkomstig uit officiële overheidsregistraties, voornamelijk de Basisregistratie Adressen en Gebouwen (BAG) en de Basisregistratie Kadaster (BRK). Deze gegevens worden beheerd door respectievelijk gemeenten en het Kadaster, en worden regelmatig bijgewerkt. Energielabelgegevens komen uit de database van de Rijksdienst voor Ondernemend Nederland (RVO).
