Adressen

Gebruik de zoekbalk of klik op een perceel voor informatie over de adressen binnen dit perceel.
Locatie
Meten
Lagen
Download

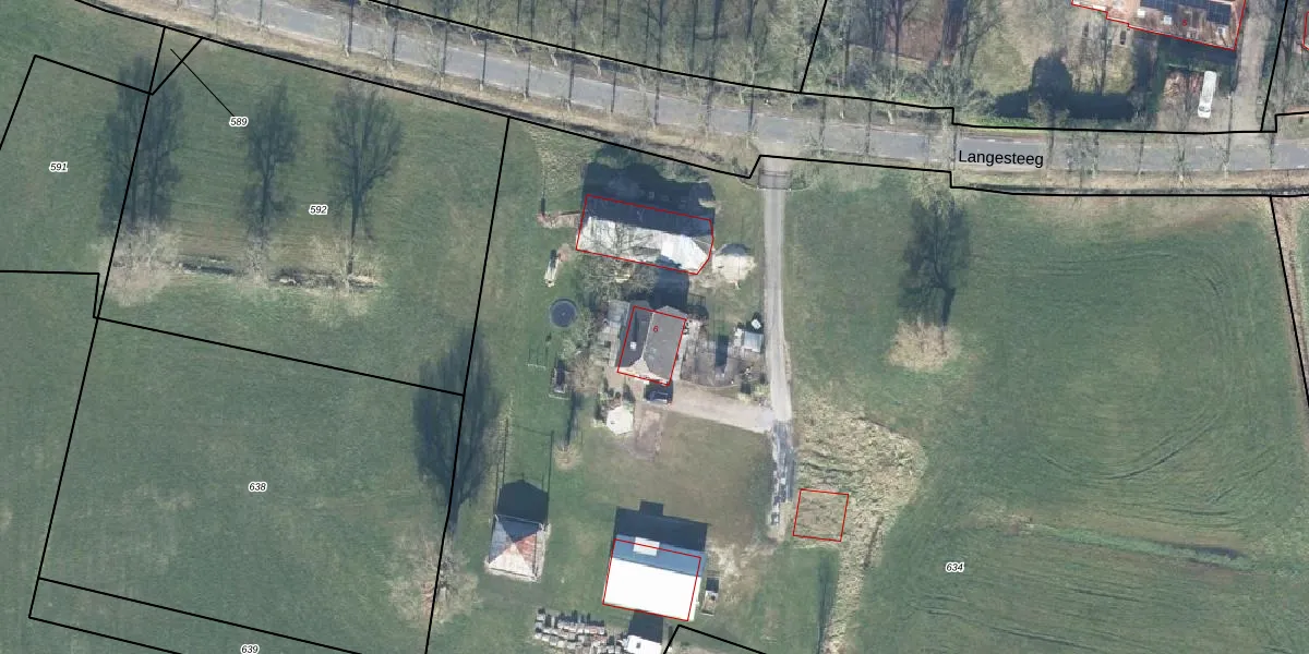
Langesteeg 6

3831RZ, Leusden

1519312 Wat moet ik bieden voor deze woning?
114 m²
woonfunctie
11.650 m² perceeloppervlakte
C

Het adres Langesteeg 6 bevindt zich in de plaats Leusden, in de gemeente Leusden en de provincie Utrecht. De oppervlakte van het adres is 114 m². Dat is vergelijkbaar met het gemiddelde Nederlandse oppervlakte van 119 m². De oppervlakte van het perceel waarin het adres ligt is 1,2 ha. Het adres is klein vergeleken met andere objecten in de straat. Het grootste object in de straat heeft een oppervlakte van 404 m², het kleinste is 3 m² groot. Het gebouw waarin Langesteeg 6 ligt komt uit het jaar 1919. Objecten die gebouwd zijn vóór 1965 classificeren we hier als oud. Het nieuwste gebouw in de straat komt uit 2025 en het oudste uit 1900. Dit object is relatief oud. Het verblijfsobject heeft de volgende gebruiksdoelen: 'woonfunctie'.

Perceel

Het adres ligt op het perceel LDN02-H-634, dat zich in de kadastrale gemeente Leusden bevindt. De gemiddelde perceeloppervlakte in de kadastrale gemeente Leusden is 3492,5 m². Dit perceel is met zijn 1,2 ha dus groter dan gemiddeld. Het kleinste perceel in de kadastrale gemeente is 0 m² groot. De grootste perceeloppervlakte is 8,56 km². Op het perceel bevinden zich geen andere adressen. In de Basisregistratie Kadaster (BRK) werden de grenzen van het perceel geregistreerd op 17-04-2019.

Energielabel en status

Het adres ligt in een gebouw van het type 'vrijstaande woning'. Bij de laatste meting is voor het adres het energielabel C geregistreerd. Het hoogste energielabel in de straat is A+++; het laagste is G. Het gemiddelde energielabel is er B. Het adres Langesteeg 6 heeft als status: 'verblijfsobject in gebruik'. Het pand waarin dit adres ligt heeft als status: 'sloopvergunning verleend'.

Meer lezen

Adres

Gebruiksoppervlakte
114 m²
Bruto vloeroppervlakte
e 6mgnqGx7LNhUpgrade naar KadastraleKaart Pro
Gebruiksdoel(en)
Woonfunctie
Status
Verblijfsobject in gebruik
Type
Vrijstaande woning
Gasloos
vd6mk3Jw TlDPlBrvfoUpgrade naar KadastraleKaart Pro
Gebeurtenissen
Appartementsrechten
fjJCtT FxJYUR3cUpgrade naar KadastraleKaart Pro
Eigenaar
Eigendomsinformatie 12,95
Adresinformatie bestellen
Adrespakket 34,95
VBO ID
0327010000273423

Pand

Bouwjaar pand
1919
Aantal adressen in dit gebouw
1 adres
Hoogte pand
54hyqjqdFFt7VQuDIGCUpgrade naar KadastraleKaart Pro
Aantal bouwlagen (schatting)
S0CtylMMreiWy4eaUpgrade naar KadastraleKaart Pro
Volume
vEoAHZtFUxEVCs3lqJRUpgrade naar KadastraleKaart Pro
Oppervlakte dak
z8Q3LUVcRv17xJgoH Upgrade naar KadastraleKaart Pro
Oppervlakte buitenmuur
ZMmZXeuRPWFjSnfxUpgrade naar KadastraleKaart Pro
Status pand
Sloopvergunning verleend
Pand ID
0327100000259876

Perceel Toon alle percelen   Pro

Kadastrale aanduiding
Leusden H 634 (LDN02 H 634)
Oppervlakte
11.650 m²
Maatvoering
Kadastrale kaart met maatvoering 59,95
Omtrek
498 meter
Datum laatst gewijzigd
17/04/2019
Aantal adressen op perceel
1
Hoogte boven N.A.P.
t3Bycnok WxUpgrade naar KadastraleKaart Pro

Veelgestelde vragen

Langesteeg 6 is een adres gelegen in de gemeente Leusden, provincie Utrecht. Dit adres is geregistreerd in de Basisregistratie Adressen en Gebouwen (BAG) met als unieke identificatie 0327010000273423.

Het pand op Langesteeg 6 is gebouwd in 1919, wat betekent dat het 107 jaar oud is. Dit is een ouder pand. Het pand heeft mogelijk aanzienlijke renovaties nodig om aan de huidige standaarden te voldoen.

De woning op Langesteeg 6 heeft een gebruiksoppervlakte van 114 m². Dit is onder het gemiddelde vergeleken met de gemiddelde Nederlandse woning, die een oppervlakte heeft van ongeveer 119 m². De gebruiksoppervlakte is de maat die wordt gebruikt in de BAG-registratie, de landelijke registratie van de Nederlandse overheid.

Langesteeg 6 heeft als functie: wonen. Deze gebruiksfunctie(s) zijn vastgelegd in de BAG-registratie en geven aan waarvoor het adres officieel mag worden gebruikt.

Langesteeg 6 is gelegen op kadastraal perceel LDN02H634. Deze kadastrale aanduiding is uniek en wordt gebruikt door het Kadaster om eigendomsrechten en andere zakelijke rechten vast te leggen. Het perceel maakt onderdeel uit van de kadastrale gemeente Leusden.

Het perceel waarop Langesteeg 6 staat heeft een oppervlakte van 1,2 ha. Dit is een zeer groot perceel. De perceeloppervlakte wordt geregistreerd door het Kadaster. Gedetailleerde informatie over de maten van dit perceel kunt u vinden in het rapport Kadastrale kaart met maatvoering van Langesteeg 6.

De eigenaar van Langesteeg 6 is op te vragen op deze pagina

De informatie over dit adres is afkomstig uit officiële overheidsregistraties, voornamelijk de Basisregistratie Adressen en Gebouwen (BAG) en de Basisregistratie Kadaster (BRK). Deze gegevens worden beheerd door respectievelijk gemeenten en het Kadaster, en worden regelmatig bijgewerkt. Energielabelgegevens komen uit de database van de Rijksdienst voor Ondernemend Nederland (RVO).

Maatvoeringsrapport

Biedadvies

Loop uw droomhuis niet mis met ons biedadvies.
Loop uw droomhuis niet mis met ons biedadvies.
Maatvoeringsrapport

Bestel het adrespakket

Kom alles te weten over Langesteeg 6 met het adrespakket.
Kom alles te weten over Langesteeg 6 met het adrespakket.

360°-foto's van de omgeving

Google Street View
Upgrade nu voor 360° Street View foto's

Zon en schaduw rondom adres

Buurt
Buitengebied Leusden-Centrum Oost
Inwoners: 765
Woningen: 244
Wijk
Wijk 00 Leusden-Centrum Oost
Inwoners: 8.645
Woningen: 3.958
Gemeente
Leusden
Inwoners: 31.681
Woningen: 13.345