
Het adres Leusderend 24 bevindt zich in de plaats Leusden, in de gemeente Leusden en de provincie Utrecht. De oppervlakte bedraagt 515 m², waarmee het adres groter dan gemiddeld is. De grootte van het perceel waarop het adres ligt is 3720 m². Dit is het kleinste object van de straat. De gemiddelde oppervlakte van verblijfsobjecten is er 624 m². De grootste oppervlakte in de straat is 1177 m². Leusderend 24 ligt in een gebouw uit het jaar 2002. Daarmee behoort het tot de groep panden van na 1984, die we als relatief nieuw bestempelen. Veel andere gebouwen in de straat zijn ouder dan dit pand. Het oudste pand komt uit het jaar 1916 en het nieuwste uit 2003. Voor het verblijfsobject gelden deze gebruiksdoelen: 'kantoorfunctie'.
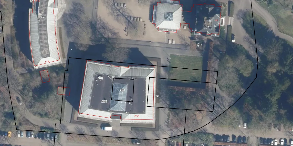
Het adres is gelegen op perceel 1104 in de sectie B en de kadastrale gemeente Leusden. De kadastrale aanduiding is aldus LDN02-B-1104. Het perceel is met 3720 m² relatief groot. Het gemiddelde ligt in de kadastrale gemeente Leusden op 3489,47 m². Het grootste perceel in de kadastrale gemeente is 8,56 km². Het kleinste perceel heeft een oppervlakte van 0 m². Op het perceel zijn 8 adressen aanwezig. In de Basisregistratie Kadaster (BRK) werden de grenzen van het perceel geregistreerd op 16-04-2002.
Bij de laatste meting is voor het adres het energielabel B geregistreerd. Het hoogste energielabel in de straat is A; het laagste is G. Het gemiddelde energielabel is er B. Het adres Leusderend 24 heeft als status: 'verblijfsobject in gebruik'. Het pand waarin dit adres ligt heeft als status: 'pand in gebruik'.
Leusderend 24 is een adres gelegen in de gemeente Leusden, provincie Utrecht. Dit adres is geregistreerd in de Basisregistratie Adressen en Gebouwen (BAG) met als unieke identificatie 0327010000295144.
Het pand op Leusderend 24 is gebouwd in 2002, wat betekent dat het 24 jaar oud is. Dit is een relatief modern pand. Ten opzichte van de nationale woningvoorraad is het pand relatief modern, maar er kunnen enkele verouderde elementen zijn die aandacht nodig hebben.
De woning op Leusderend 24 heeft een gebruiksoppervlakte van 515 m². Dit is ruim vergeleken met de gemiddelde Nederlandse woning, die een oppervlakte heeft van ongeveer 119 m². De gebruiksoppervlakte is de maat die wordt gebruikt in de BAG-registratie, de landelijke registratie van de Nederlandse overheid.
Leusderend 24 heeft als functie: kantoor. Deze gebruiksfunctie(s) zijn vastgelegd in de BAG-registratie en geven aan waarvoor het adres officieel mag worden gebruikt.
Leusderend 24 is gelegen op kadastraal perceel LDN02B1104. Deze kadastrale aanduiding is uniek en wordt gebruikt door het Kadaster om eigendomsrechten en andere zakelijke rechten vast te leggen. Het perceel maakt onderdeel uit van de kadastrale gemeente Leusden.
Het perceel waarop Leusderend 24 staat heeft een oppervlakte van 3720 m². Dit is een zeer groot perceel. De perceeloppervlakte wordt geregistreerd door het Kadaster. Gedetailleerde informatie over de maten van dit perceel kunt u vinden in het rapport Kadastrale kaart met maatvoering van Leusderend 24.
De eigenaar van Leusderend 24 is op te vragen op deze pagina.
De informatie over dit adres is afkomstig uit officiële overheidsregistraties, voornamelijk de Basisregistratie Adressen en Gebouwen (BAG) en de Basisregistratie Kadaster (BRK). Deze gegevens worden beheerd door respectievelijk gemeenten en het Kadaster, en worden regelmatig bijgewerkt. Energielabelgegevens komen uit de database van de Rijksdienst voor Ondernemend Nederland (RVO).
