
Velterstraat 4 is een adres in Leveroy, dat zich bevindt binnen de gemeentegrenzen van Leveroy en de grenzen van de provincie Limburg. De oppervlakte van het adres is 114 m². Dat is vergelijkbaar met het gemiddelde Nederlandse oppervlakte van 119 m². De oppervlakte van het perceel waarin het adres ligt is 120 m². Dit is het kleinste object van de straat. De gemiddelde oppervlakte van verblijfsobjecten is er 351 m². De grootste oppervlakte in de straat is 615 m². Het gebouw waarin Velterstraat 4 ligt komt uit het jaar 1950. Objecten die gebouwd zijn vóór 1965 classificeren we hier als oud. Dit object is relatief nieuw in de straat. Het nieuwste gebouw komt er uit het jaar 1998 en het oudste uit het jaar 1920. De volgende gebruiksdoelen zijn geregistreerd voor dit adres: 'overige gebruiksfunctie'.
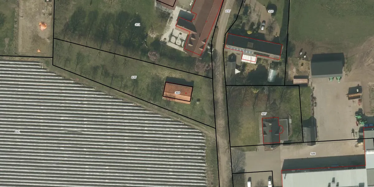
Het adres is gelegen op perceel 369 in de sectie S en de kadastrale gemeente Nederweert. De kadastrale aanduiding is aldus NDW00-S-369. Het perceel is 120 m² groot. Dat is kleiner dan de gemiddelde perceeloppervlakte in Nederweert, dat op 7177,86 m² ligt. Het kleinste perceel in de kadastrale gemeente is 0 m² groot. De grootste perceeloppervlakte is 3,07 km². Op het perceel bevinden zich geen andere adressen. De huidige grenzen van het perceel zijn digitaal in de Basisregistratie Kadaster (BRK) geregistreerd op 15-08-2006.
Er is geen energielabel geregistreerd voor het adres. Het hoogste energielabel in de straat is C; het laagste is G. Het gemiddelde energielabel is er D. Het adres Velterstraat 4 heeft als status: 'verblijfsobject in gebruik'. Het pand waarin dit adres ligt heeft als status: 'pand in gebruik'.
Velterstraat 4 is een adres gelegen in de gemeente Nederweert, provincie Limburg. Dit adres is geregistreerd in de Basisregistratie Adressen en Gebouwen (BAG) met als unieke identificatie 0946010000233491.
Het pand op Velterstraat 4 is gebouwd in 1950, wat betekent dat het 76 jaar oud is. Dit is een ouder pand. Het pand heeft mogelijk aanzienlijke renovaties nodig om aan de huidige standaarden te voldoen.
De woning op Velterstraat 4 heeft een gebruiksoppervlakte van 114 m². Dit is onder het gemiddelde vergeleken met de gemiddelde Nederlandse woning, die een oppervlakte heeft van ongeveer 119 m². De gebruiksoppervlakte is de maat die wordt gebruikt in de BAG-registratie, de landelijke registratie van de Nederlandse overheid.
Velterstraat 4 heeft als functie: overige doeleinden. Deze gebruiksfunctie(s) zijn vastgelegd in de BAG-registratie en geven aan waarvoor het adres officieel mag worden gebruikt.
Velterstraat 4 is gelegen op kadastraal perceel NDW00S369. Deze kadastrale aanduiding is uniek en wordt gebruikt door het Kadaster om eigendomsrechten en andere zakelijke rechten vast te leggen. Het perceel maakt onderdeel uit van de kadastrale gemeente Nederweert.
Het perceel waarop Velterstraat 4 staat heeft een oppervlakte van 120 m². Dit is een middelgroot perceel. De perceeloppervlakte wordt geregistreerd door het Kadaster. Gedetailleerde informatie over de maten van dit perceel kunt u vinden in het rapport Kadastrale kaart met maatvoering van Velterstraat 4.
De eigenaar van Velterstraat 4 is op te vragen op deze pagina
De informatie over dit adres is afkomstig uit officiële overheidsregistraties, voornamelijk de Basisregistratie Adressen en Gebouwen (BAG) en de Basisregistratie Kadaster (BRK). Deze gegevens worden beheerd door respectievelijk gemeenten en het Kadaster, en worden regelmatig bijgewerkt. Energielabelgegevens komen uit de database van de Rijksdienst voor Ondernemend Nederland (RVO).
