
Beekseweg 2 is een adres in Lieshout, dat zich bevindt binnen de gemeentegrenzen van Lieshout en de grenzen van de provincie Noord-Brabant. De oppervlakte van het verblijfsobject is met 171 m² aan de grote kant. Het perceel heeft een oppervlakte van 2415 m². Het adres is klein vergeleken met andere objecten in de straat. Het grootste object in de straat heeft een oppervlakte van 4152 m², het kleinste is 153 m² groot. Het pand waarin Beekseweg 2 ligt is gebouwd in het jaar 1993. Panden die gebouwd zijn na het jaar 1984 noemen we hier relatief nieuw. Dit object is relatief nieuw in de straat. Het nieuwste gebouw komt er uit het jaar 2002 en het oudste uit het jaar 1864. De volgende gebruiksdoelen zijn geregistreerd voor dit adres: 'woonfunctie' en 'kantoorfunctie'.
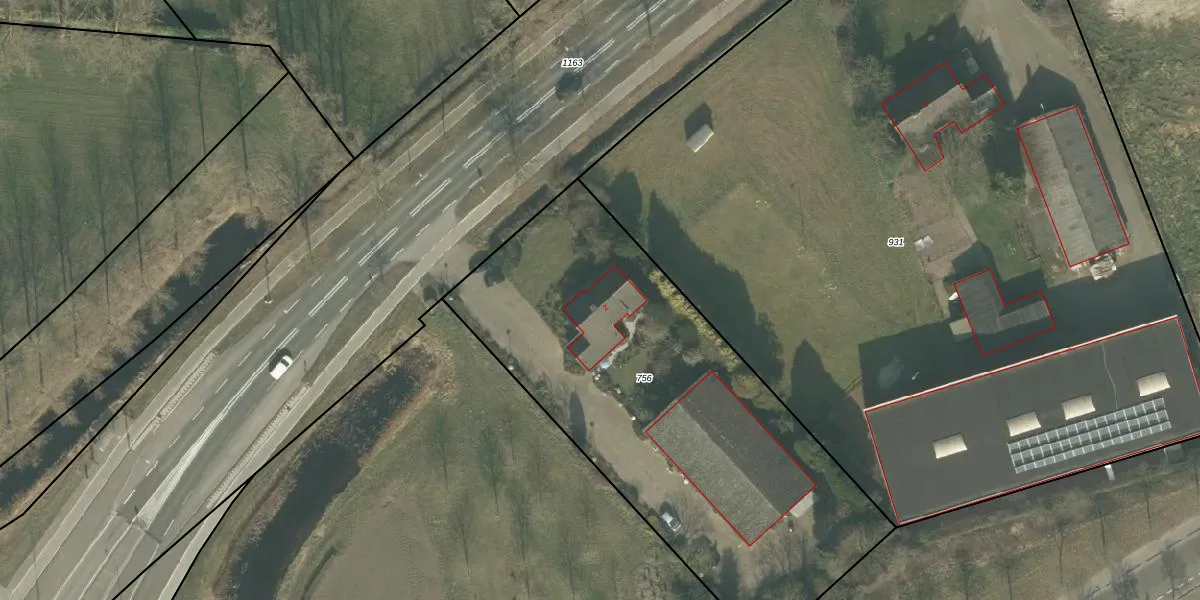
Het adres ligt op het perceel LHT00-K-756, dat zich in de kadastrale gemeente Lieshout bevindt. Het perceel is 2415 m² groot. Dat is kleiner dan de gemiddelde perceeloppervlakte in Lieshout, dat op 5670,36 m² ligt. Het kleinste perceel in de kadastrale gemeente is 0 m² groot. De grootste perceeloppervlakte is 50,8 ha. Op het perceel bevinden zich geen andere adressen. De huidige grenzen van het perceel zijn digitaal in de Basisregistratie Kadaster (BRK) geregistreerd op 14-10-2009.
Er is geen energielabel geregistreerd voor het adres. Het hoogste energielabel in de straat is A; het laagste is G. Het gemiddelde energielabel is er A. Het adres Beekseweg 2 heeft als status: 'verblijfsobject in gebruik'. Het pand waarin dit adres ligt heeft als status: 'pand in gebruik'.
Beekseweg 2 is een adres gelegen in de gemeente Laarbeek, provincie Noord-Brabant. Dit adres is geregistreerd in de Basisregistratie Adressen en Gebouwen (BAG) met als unieke identificatie 1659010000000453.
Het pand op Beekseweg 2 is gebouwd in 1993, wat betekent dat het 33 jaar oud is. Dit is een pand van middelbare leeftijd. Het pand is van gemiddelde leeftijd en zal waarschijnlijk verouderde elementen bevatten.
De woning op Beekseweg 2 heeft een gebruiksoppervlakte van 171 m². Dit is ruim vergeleken met de gemiddelde Nederlandse woning, die een oppervlakte heeft van ongeveer 119 m². De gebruiksoppervlakte is de maat die wordt gebruikt in de BAG-registratie, de landelijke registratie van de Nederlandse overheid.
Beekseweg 2 heeft als functie: wonen en kantoor. Deze gebruiksfunctie(s) zijn vastgelegd in de BAG-registratie en geven aan waarvoor het adres officieel mag worden gebruikt.
Beekseweg 2 is gelegen op kadastraal perceel LHT00K756. Deze kadastrale aanduiding is uniek en wordt gebruikt door het Kadaster om eigendomsrechten en andere zakelijke rechten vast te leggen. Het perceel maakt onderdeel uit van de kadastrale gemeente Lieshout.
Het perceel waarop Beekseweg 2 staat heeft een oppervlakte van 2415 m². Dit is een zeer groot perceel. De perceeloppervlakte wordt geregistreerd door het Kadaster. Gedetailleerde informatie over de maten van dit perceel kunt u vinden in het rapport Kadastrale kaart met maatvoering van Beekseweg 2.
De eigenaar van Beekseweg 2 is op te vragen op deze pagina.
De informatie over dit adres is afkomstig uit officiële overheidsregistraties, voornamelijk de Basisregistratie Adressen en Gebouwen (BAG) en de Basisregistratie Kadaster (BRK). Deze gegevens worden beheerd door respectievelijk gemeenten en het Kadaster, en worden regelmatig bijgewerkt. Energielabelgegevens komen uit de database van de Rijksdienst voor Ondernemend Nederland (RVO).
