
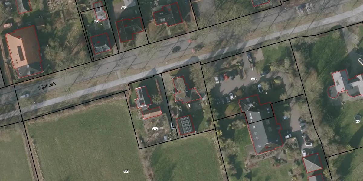
Trijehoek 21 is een adres in Lippenhuizen, dat zich bevindt binnen de gemeentegrenzen van Lippenhuizen en de grenzen van de provincie Friesland. De oppervlakte bedraagt 271 m², waarmee het adres groter dan gemiddeld is. De grootte van het perceel waarop het adres ligt is 836 m². Vergeleken met de andere verblijfsobjecten in de straat is dit object groot. De oppervlakte van het grootste object in de straat is 605 m², die van het kleinste bedraagt 15 m². Het adres Trijehoek 21 ligt in een relatief oud pand uit het jaar 1936. Panden van vóór het jaar 1965 hebben we hier geclassificeerd als oud. In de straat komt het nieuwste gebouw uit het jaar 2009 en het oudste uit 1890. Het bouwjaar van dit object is relatief oud. De volgende gebruiksdoelen zijn geregistreerd voor dit adres: 'woonfunctie'.
Deze woning is voor het laatst verkocht op 1 december 2022. Meer informatie over deze transactie? Bestel het Woningtransactierapport om de verkoopprijs en andere informatie te zien.
Het adres is gelegen op perceel 5 in de sectie H en de kadastrale gemeente Lippenhuizen. De kadastrale aanduiding is aldus LPH00-H-5. Het perceel is 836 m² groot. Dat is kleiner dan de gemiddelde perceeloppervlakte in Lippenhuizen, dat op 1,4 ha ligt. De grootste perceeloppervlakte in de kadastrale gemeente is 52,6 ha. De kleinste oppervlakte bedraagt 2 m². Er zijn geen andere adressen aanwezig op het perceel. De huidige grenzen van het perceel zijn digitaal in de Basisregistratie Kadaster (BRK) geregistreerd op 12-09-2011.
Het adres ligt in een gebouw van het type 'vrijstaande woning'. Bij de laatste meting is voor het adres het energielabel E geregistreerd. Het hoogste energielabel in de straat is A; het laagste is G. Het gemiddelde energielabel is er D. Het adres Trijehoek 21 heeft als status: 'verblijfsobject in gebruik'. Het pand waarin dit adres ligt heeft als status: 'pand in gebruik'.
Trijehoek 21 is een adres gelegen in de gemeente Opsterland, provincie Friesland. Dit adres is geregistreerd in de Basisregistratie Adressen en Gebouwen (BAG) met als unieke identificatie 0086010000381445.
Het pand op Trijehoek 21 is gebouwd in 1936, wat betekent dat het 90 jaar oud is. Dit is een ouder pand. Het pand heeft mogelijk aanzienlijke renovaties nodig om aan de huidige standaarden te voldoen.
De woning op Trijehoek 21 heeft een gebruiksoppervlakte van 271 m². Dit is ruim vergeleken met de gemiddelde Nederlandse woning, die een oppervlakte heeft van ongeveer 119 m². De gebruiksoppervlakte is de maat die wordt gebruikt in de BAG-registratie, de landelijke registratie van de Nederlandse overheid.
Trijehoek 21 heeft als functie: wonen. Deze gebruiksfunctie(s) zijn vastgelegd in de BAG-registratie en geven aan waarvoor het adres officieel mag worden gebruikt.
Trijehoek 21 is gelegen op kadastraal perceel LPH00H5. Deze kadastrale aanduiding is uniek en wordt gebruikt door het Kadaster om eigendomsrechten en andere zakelijke rechten vast te leggen. Het perceel maakt onderdeel uit van de kadastrale gemeente Lippenhuizen.
Het perceel waarop Trijehoek 21 staat heeft een oppervlakte van 836 m². Dit is een groot perceel. De perceeloppervlakte wordt geregistreerd door het Kadaster. Gedetailleerde informatie over de maten van dit perceel kunt u vinden in het rapport Kadastrale kaart met maatvoering van Trijehoek 21.
De eigenaar van Trijehoek 21 is op te vragen op deze pagina.
De informatie over dit adres is afkomstig uit officiële overheidsregistraties, voornamelijk de Basisregistratie Adressen en Gebouwen (BAG) en de Basisregistratie Kadaster (BRK). Deze gegevens worden beheerd door respectievelijk gemeenten en het Kadaster, en worden regelmatig bijgewerkt. Energielabelgegevens komen uit de database van de Rijksdienst voor Ondernemend Nederland (RVO).
