
Veenweg 2-t is gelegen in de plaats Lochem, de gemeente Lochem en de provincie Gelderland. Het perceel waarop het adres gelegen is heeft een oppervlakte van 12 m². Het verblijfsobject is met 3 m² relatief klein. In de straat is dit het kleinste object. Het grootste verblijfsobject heeft een oppervlakte van 427 m². De gemiddelde grootte is er 195 m². De gemiddelde bouwperiode van gebouwen in Nederland ligt tussen de jaren 1965-1984. Dat geldt ook voor het bouwjaar van Veenweg 2-t: het is gebouwd in het jaar 1979. Vergeleken met de andere panden in de straat is dit gebouw nieuw. Het vroegste bouwjaar is er 1900 en het laatste is 2021. Het verblijfsobject heeft de volgende gebruiksdoelen: 'overige gebruiksfunctie'.
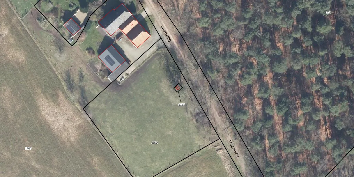
Het perceel waarop het adres ligt is LRN02-G-1717. De afkorting 'LRN02' staat voor kadastrale gemeente Laren Gelderland. Het perceel is kleiner dan gemiddeld in Laren Gelderland. Het perceel is 12 m² groot, terwijl het gemiddelde ligt op 8394,91 m². Het kleinste perceel in de kadastrale gemeente is 0 m² groot. De grootste perceeloppervlakte is 36,7 ha. Dit is het enige adres dat aanwezig is op het perceel. De laatste wijziging in het de Basisregistratie Kadaster (BRK) was op 10-12-2002.
Er is geen energielabel geregistreerd voor het adres. Het hoogste energielabel in de straat is A++; het laagste is G. Het gemiddelde energielabel is er B. Het adres Veenweg 2-t heeft als status: 'verblijfsobject in gebruik'. Het pand waarin dit adres ligt heeft als status: 'pand in gebruik'.
Veenweg 2-t is een adres gelegen in de gemeente Lochem, provincie Gelderland. Dit adres is geregistreerd in de Basisregistratie Adressen en Gebouwen (BAG) met als unieke identificatie 0262010000016193.
Het pand op Veenweg 2-t is gebouwd in 1979, wat betekent dat het 47 jaar oud is. Dit is een pand van middelbare leeftijd. Het pand is van gemiddelde leeftijd en zal waarschijnlijk verouderde elementen bevatten.
De woning op Veenweg 2-t heeft een gebruiksoppervlakte van 3 m². Dit is relatief klein vergeleken met de gemiddelde Nederlandse woning, die een oppervlakte heeft van ongeveer 119 m². De gebruiksoppervlakte is de maat die wordt gebruikt in de BAG-registratie, de landelijke registratie van de Nederlandse overheid.
Veenweg 2-t heeft als functie: overige doeleinden. Deze gebruiksfunctie(s) zijn vastgelegd in de BAG-registratie en geven aan waarvoor het adres officieel mag worden gebruikt.
Veenweg 2-t is gelegen op kadastraal perceel LRN02G1717. Deze kadastrale aanduiding is uniek en wordt gebruikt door het Kadaster om eigendomsrechten en andere zakelijke rechten vast te leggen. Het perceel maakt onderdeel uit van de kadastrale gemeente Laren Gelderland.
Het perceel waarop Veenweg 2-t staat heeft een oppervlakte van 12 m². Dit is een klein perceel. De perceeloppervlakte wordt geregistreerd door het Kadaster. Gedetailleerde informatie over de maten van dit perceel kunt u vinden in het rapport Kadastrale kaart met maatvoering van Veenweg 2-t.
De eigenaar van Veenweg 2-t is op te vragen op deze pagina.
De informatie over dit adres is afkomstig uit officiële overheidsregistraties, voornamelijk de Basisregistratie Adressen en Gebouwen (BAG) en de Basisregistratie Kadaster (BRK). Deze gegevens worden beheerd door respectievelijk gemeenten en het Kadaster, en worden regelmatig bijgewerkt. Energielabelgegevens komen uit de database van de Rijksdienst voor Ondernemend Nederland (RVO).
