
Het adres Vordenseweg 6-H100 bevindt zich in de plaats Lochem, in de gemeente Lochem en de provincie Gelderland. Het object heeft een oppervlakte van 212 m², wat relatief groot is. Het perceel waarop het adres ligt is 951 m² groot. In vergelijking met de andere adressen in de straat is de oppervlakte van dit object relatief groot. Het grootste verblijfsobject heeft een oppervlakte van 956 m², de oppervlakte van het kleinste object bedraagt 30 m². Het gebouw waarin Vordenseweg 6-H100 ligt komt uit het jaar 1960. Objecten die gebouwd zijn vóór 1965 classificeren we hier als oud. Het bouwjaar is oud vergeleken met dat van de andere panden in de straat. Het oudste bouwjaar is er 1908 en de nieuwste is 2024. Voor het verblijfsobject gelden deze gebruiksdoelen: 'logiesfunctie'.
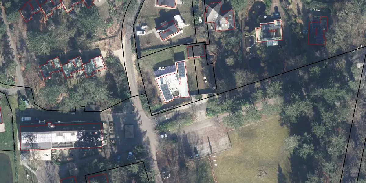
Het perceel waarop het adres ligt is LCM00-D-1366. De afkorting 'LCM00' staat voor kadastrale gemeente Lochem. De gemiddelde perceelgrootte in Lochem is 6725,45 m². Dit perceel is kleiner: de perceeloppervlakte bedraagt 951 m². Het kleinste perceel in de kadastrale gemeente is 0 m² groot. De grootste perceeloppervlakte is 30,4 ha. Dit is het enige adres dat aanwezig is op het perceel. In de Basisregistratie Kadaster (BRK) werden de grenzen van het perceel geregistreerd op 21-12-2011.
Het adres ligt in een gebouw van het type 'vrijstaande woning'. Bij de laatste meting is voor het adres het energielabel E geregistreerd. Het hoogste energielabel in de straat is A+++; het laagste is G. Het gemiddelde energielabel is er B. Het adres Vordenseweg 6-H100 heeft als status: 'verblijfsobject in gebruik'. Het pand waarin dit adres ligt heeft als status: 'pand in gebruik'.
Vordenseweg 6-H100 is een adres gelegen in de gemeente Lochem, provincie Gelderland. Dit adres is geregistreerd in de Basisregistratie Adressen en Gebouwen (BAG) met als unieke identificatie 0262010000017338.
Het pand op Vordenseweg 6-H100 is gebouwd in 1960, wat betekent dat het 66 jaar oud is. Dit is een ouder pand. Het pand heeft mogelijk aanzienlijke renovaties nodig om aan de huidige standaarden te voldoen.
De woning op Vordenseweg 6-H100 heeft een gebruiksoppervlakte van 212 m². Dit is ruim vergeleken met de gemiddelde Nederlandse woning, die een oppervlakte heeft van ongeveer 119 m². De gebruiksoppervlakte is de maat die wordt gebruikt in de BAG-registratie, de landelijke registratie van de Nederlandse overheid.
Vordenseweg 6-H100 heeft als functie: logies/verblijf. Deze gebruiksfunctie(s) zijn vastgelegd in de BAG-registratie en geven aan waarvoor het adres officieel mag worden gebruikt.
Vordenseweg 6-H100 is gelegen op kadastraal perceel LCM00D1366. Deze kadastrale aanduiding is uniek en wordt gebruikt door het Kadaster om eigendomsrechten en andere zakelijke rechten vast te leggen. Het perceel maakt onderdeel uit van de kadastrale gemeente Lochem.
Het perceel waarop Vordenseweg 6-H100 staat heeft een oppervlakte van 951 m². Dit is een groot perceel. De perceeloppervlakte wordt geregistreerd door het Kadaster. Gedetailleerde informatie over de maten van dit perceel kunt u vinden in het rapport Kadastrale kaart met maatvoering van Vordenseweg 6-H100.
De eigenaar van Vordenseweg 6-H100 is op te vragen op deze pagina.
De informatie over dit adres is afkomstig uit officiële overheidsregistraties, voornamelijk de Basisregistratie Adressen en Gebouwen (BAG) en de Basisregistratie Kadaster (BRK). Deze gegevens worden beheerd door respectievelijk gemeenten en het Kadaster, en worden regelmatig bijgewerkt. Energielabelgegevens komen uit de database van de Rijksdienst voor Ondernemend Nederland (RVO).
