
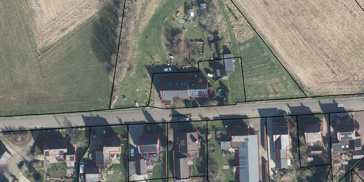
Het adres Keulseweg 2 bevindt zich in de plaats Loerbeek, in de gemeente Loerbeek en de provincie Gelderland. De oppervlakte bedraagt 350 m², waarmee het adres groter dan gemiddeld is. De grootte van het perceel waarop het adres ligt is 1135 m². Vergeleken met de andere verblijfsobjecten in de straat is dit object groot. De oppervlakte van het grootste object in de straat is 411 m², die van het kleinste bedraagt 138 m². Het adres Keulseweg 2 ligt in een relatief oud pand uit het jaar 1950. Panden van vóór het jaar 1965 hebben we hier geclassificeerd als oud. Dit is het oudste object in de straat. Het nieuwste pand komt uit 1995 en het gemiddelde bouwjaar in de straat is 1973. Voor het verblijfsobject gelden deze gebruiksdoelen: 'woonfunctie'.
Het adres is gelegen op perceel 488 in de sectie L en de kadastrale gemeente Bergh. De kadastrale aanduiding is aldus BER02-L-488. De gemiddelde perceelgrootte in Bergh is 5324,75 m². Dit perceel is kleiner: de perceeloppervlakte bedraagt 1135 m². De grootste perceeloppervlakte in de kadastrale gemeente is 40,6 ha. De kleinste oppervlakte bedraagt 0 m². Er zijn geen andere adressen aanwezig op het perceel. In de Basisregistratie Kadaster (BRK) werden de grenzen van het perceel geregistreerd op 02-12-1999.
Het adres ligt in een gebouw van het type 'vrijstaande woning'. Bij de laatste meting is voor het adres het energielabel F geregistreerd. Het hoogste energielabel in de straat is A; het laagste is G. Het gemiddelde energielabel is er C. Het adres Keulseweg 2 heeft als status: 'verblijfsobject in gebruik'. Het pand waarin dit adres ligt heeft als status: 'pand in gebruik'.
Keulseweg 2 is een adres gelegen in de gemeente Montferland, provincie Gelderland. Dit adres is geregistreerd in de Basisregistratie Adressen en Gebouwen (BAG) met als unieke identificatie 1955010000026397.
Het pand op Keulseweg 2 is gebouwd in 1950, wat betekent dat het 76 jaar oud is. Dit is een ouder pand. Het pand heeft mogelijk aanzienlijke renovaties nodig om aan de huidige standaarden te voldoen.
De woning op Keulseweg 2 heeft een gebruiksoppervlakte van 350 m². Dit is ruim vergeleken met de gemiddelde Nederlandse woning, die een oppervlakte heeft van ongeveer 119 m². De gebruiksoppervlakte is de maat die wordt gebruikt in de BAG-registratie, de landelijke registratie van de Nederlandse overheid.
Keulseweg 2 heeft als functie: wonen. Deze gebruiksfunctie(s) zijn vastgelegd in de BAG-registratie en geven aan waarvoor het adres officieel mag worden gebruikt.
Keulseweg 2 is gelegen op kadastraal perceel BER02L488. Deze kadastrale aanduiding is uniek en wordt gebruikt door het Kadaster om eigendomsrechten en andere zakelijke rechten vast te leggen. Het perceel maakt onderdeel uit van de kadastrale gemeente Bergh.
Het perceel waarop Keulseweg 2 staat heeft een oppervlakte van 1135 m². Dit is een zeer groot perceel. De perceeloppervlakte wordt geregistreerd door het Kadaster. Gedetailleerde informatie over de maten van dit perceel kunt u vinden in het rapport Kadastrale kaart met maatvoering van Keulseweg 2.
De eigenaar van Keulseweg 2 is op te vragen op deze pagina.
De informatie over dit adres is afkomstig uit officiële overheidsregistraties, voornamelijk de Basisregistratie Adressen en Gebouwen (BAG) en de Basisregistratie Kadaster (BRK). Deze gegevens worden beheerd door respectievelijk gemeenten en het Kadaster, en worden regelmatig bijgewerkt. Energielabelgegevens komen uit de database van de Rijksdienst voor Ondernemend Nederland (RVO).
