
Bergstraat 64 is een adres in Loon op Zand, dat zich bevindt binnen de gemeentegrenzen van Loon op Zand en de grenzen van de provincie Noord-Brabant. Het object heeft een oppervlakte van 175 m², wat relatief groot is. Het perceel waarop het adres ligt is 3990 m² groot. Het adres is klein vergeleken met andere objecten in de straat. Het grootste object in de straat heeft een oppervlakte van 1,1 ha, het kleinste is 50 m² groot. Het adres Bergstraat 64 ligt in een relatief oud pand uit het jaar 1947. Panden van vóór het jaar 1965 hebben we hier geclassificeerd als oud. Het bouwjaar is oud vergeleken met dat van de andere panden in de straat. Het oudste bouwjaar is er 1906 en de nieuwste is 2023. Voor het verblijfsobject gelden deze gebruiksdoelen: 'woonfunctie'.
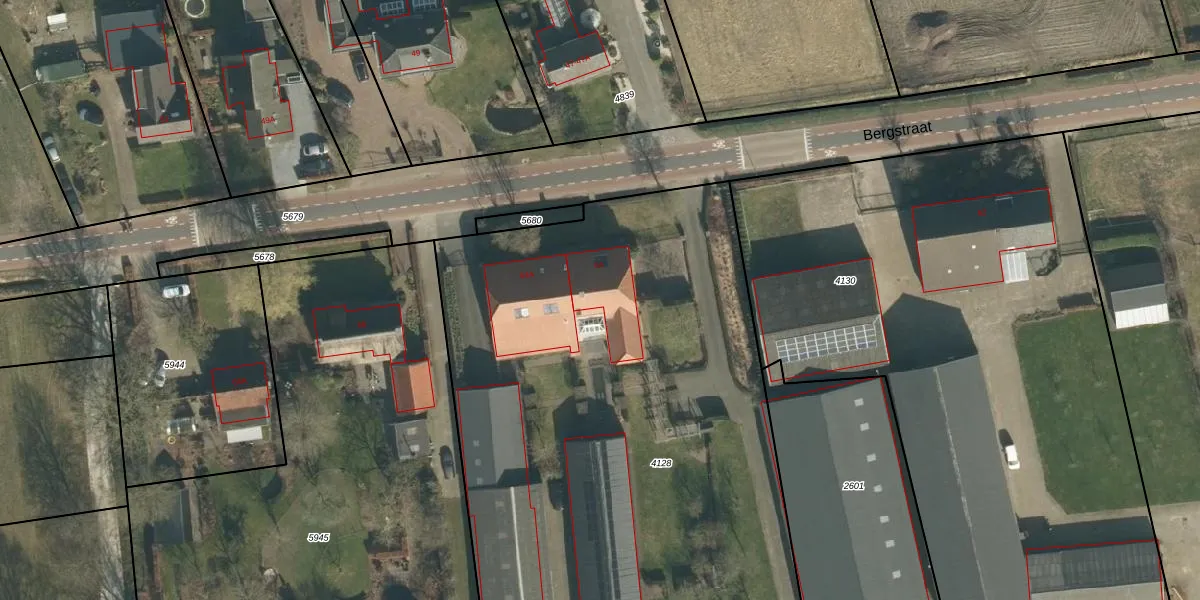
Het adres ligt op het perceel LOO00-E-4128, dat zich in de kadastrale gemeente Loon op Zand bevindt. Het perceel is met 3990 m² relatief groot. Het gemiddelde ligt in de kadastrale gemeente Loon op Zand op 3662,01 m². De grootste perceeloppervlakte in de kadastrale gemeente is 2,69 km². De kleinste oppervlakte bedraagt 0 m². Er zijn 2 adressen aanwezig op het perceel. De huidige grenzen van het perceel zijn digitaal in de Basisregistratie Kadaster (BRK) geregistreerd op 05-01-2017.
Het adres ligt in een gebouw van het type 'twee-onder-een-kap / rijwoning hoek met het subtype twee-onder-een-kap'. Bij de laatste meting is voor het adres het energielabel B geregistreerd. Het hoogste energielabel in de straat is A+; het laagste is G. Het gemiddelde energielabel is er D. Het adres Bergstraat 64 heeft als status: 'verblijfsobject in gebruik'. Het pand waarin dit adres ligt heeft als status: 'pand in gebruik'.
Bergstraat 64 is een adres gelegen in de gemeente Loon op Zand, provincie Noord-Brabant. Dit adres is geregistreerd in de Basisregistratie Adressen en Gebouwen (BAG) met als unieke identificatie 0809010000008977.
Het pand op Bergstraat 64 is gebouwd in 1947, wat betekent dat het 79 jaar oud is. Dit is een ouder pand. Het pand heeft mogelijk aanzienlijke renovaties nodig om aan de huidige standaarden te voldoen.
De woning op Bergstraat 64 heeft een gebruiksoppervlakte van 175 m². Dit is ruim vergeleken met de gemiddelde Nederlandse woning, die een oppervlakte heeft van ongeveer 119 m². De gebruiksoppervlakte is de maat die wordt gebruikt in de BAG-registratie, de landelijke registratie van de Nederlandse overheid.
Bergstraat 64 heeft als functie: wonen. Deze gebruiksfunctie(s) zijn vastgelegd in de BAG-registratie en geven aan waarvoor het adres officieel mag worden gebruikt.
Bergstraat 64 is gelegen op kadastraal perceel LOO00E4128. Deze kadastrale aanduiding is uniek en wordt gebruikt door het Kadaster om eigendomsrechten en andere zakelijke rechten vast te leggen. Het perceel maakt onderdeel uit van de kadastrale gemeente Loon op Zand.
Het perceel waarop Bergstraat 64 staat heeft een oppervlakte van 3990 m². Dit is een zeer groot perceel. De perceeloppervlakte wordt geregistreerd door het Kadaster. Gedetailleerde informatie over de maten van dit perceel kunt u vinden in het rapport Kadastrale kaart met maatvoering van Bergstraat 64.
De eigenaar van Bergstraat 64 is op te vragen op deze pagina.
De informatie over dit adres is afkomstig uit officiële overheidsregistraties, voornamelijk de Basisregistratie Adressen en Gebouwen (BAG) en de Basisregistratie Kadaster (BRK). Deze gegevens worden beheerd door respectievelijk gemeenten en het Kadaster, en worden regelmatig bijgewerkt. Energielabelgegevens komen uit de database van de Rijksdienst voor Ondernemend Nederland (RVO).
