
Smitsbreeweg 6-K is gelegen in de plaats Losser, de gemeente Losser en de provincie Overijssel. Het perceel waarop het adres gelegen is heeft een oppervlakte van 3253 m². Het verblijfsobject is met 54 m² relatief klein. De oppervlakte van het adres is klein vergeleken met de andere objecten in de straat. De oppervlakte van het kleinste object in de straat bedraagt 13 m², terwijl het grootste object 1565 m² groot is. Het pand waarin Smitsbreeweg 6-K ligt is gebouwd in het jaar 2013. Panden die gebouwd zijn na het jaar 1984 noemen we hier relatief nieuw. Vergeleken met de andere panden in de straat is dit gebouw nieuw. Het vroegste bouwjaar is er 1962 en het laatste is 2023. Het verblijfsobject heeft de volgende gebruiksdoelen: 'industriefunctie'.
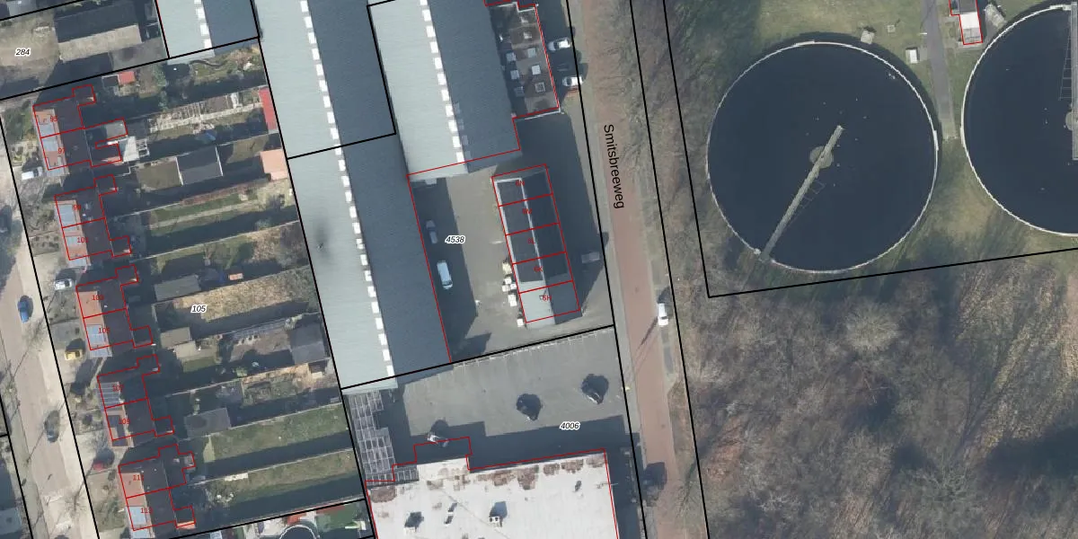
Het adres is gelegen op perceel 4538 in de sectie N en de kadastrale gemeente Losser. De kadastrale aanduiding is aldus LSR00-N-4538. Het perceel is kleiner dan gemiddeld in Losser. Het perceel is 3253 m² groot, terwijl het gemiddelde ligt op 5708,64 m². Het kleinste perceel in de kadastrale gemeente is 0 m² groot. De grootste perceeloppervlakte is 97,2 ha. Er zijn 14 adressen aanwezig op het perceel. De laatste wijziging in het de Basisregistratie Kadaster (BRK) was op 18-09-2018.
Er is geen energielabel geregistreerd voor het adres. Het hoogste energielabel in de straat is A+; het laagste is G. Het gemiddelde energielabel is er A. Het adres Smitsbreeweg 6-K heeft als status: 'verblijfsobject in gebruik'. Het pand waarin dit adres ligt heeft als status: 'pand in gebruik'.
Smitsbreeweg 6-K is een adres gelegen in de gemeente Losser, provincie Overijssel. Dit adres is geregistreerd in de Basisregistratie Adressen en Gebouwen (BAG) met als unieke identificatie 0168010000237971.
Het pand op Smitsbreeweg 6-K is gebouwd in 2013, wat betekent dat het 13 jaar oud is. Dit is een relatief modern pand. Ten opzichte van de nationale woningvoorraad is het pand relatief modern, maar er kunnen enkele verouderde elementen zijn die aandacht nodig hebben.
De woning op Smitsbreeweg 6-K heeft een gebruiksoppervlakte van 54 m². Dit is relatief klein vergeleken met de gemiddelde Nederlandse woning, die een oppervlakte heeft van ongeveer 119 m². De gebruiksoppervlakte is de maat die wordt gebruikt in de BAG-registratie, de landelijke registratie van de Nederlandse overheid.
Smitsbreeweg 6-K heeft als functie: industrie. Deze gebruiksfunctie(s) zijn vastgelegd in de BAG-registratie en geven aan waarvoor het adres officieel mag worden gebruikt.
Smitsbreeweg 6-K is gelegen op kadastraal perceel LSR00N4538. Deze kadastrale aanduiding is uniek en wordt gebruikt door het Kadaster om eigendomsrechten en andere zakelijke rechten vast te leggen. Het perceel maakt onderdeel uit van de kadastrale gemeente Losser.
Het perceel waarop Smitsbreeweg 6-K staat heeft een oppervlakte van 3253 m². Dit is een zeer groot perceel. De perceeloppervlakte wordt geregistreerd door het Kadaster. Gedetailleerde informatie over de maten van dit perceel kunt u vinden in het rapport Kadastrale kaart met maatvoering van Smitsbreeweg 6-K.
De eigenaar van Smitsbreeweg 6-K is op te vragen op deze pagina.
De informatie over dit adres is afkomstig uit officiƫle overheidsregistraties, voornamelijk de Basisregistratie Adressen en Gebouwen (BAG) en de Basisregistratie Kadaster (BRK). Deze gegevens worden beheerd door respectievelijk gemeenten en het Kadaster, en worden regelmatig bijgewerkt. Energielabelgegevens komen uit de database van de Rijksdienst voor Ondernemend Nederland (RVO).
