
Het adres Sperwerstraat 1 bevindt zich in de plaats Losser, in de gemeente Losser en de provincie Overijssel. De oppervlakte van het verblijfsobject is met 932 m² aan de grote kant. Het perceel heeft een oppervlakte van 3415 m². In de straat is dit het adres met de grootste oppervlakte. De objecten in de straat zijn gemiddeld 183 m² groot. Het kleinste verblijfsobject heeft een oppervlakte van 109 m². De meeste Nederlandse gebouwen zijn gebouwd in de periode 1965-1984. Zo ook het pand waarin Sperwerstraat 1 ligt, dat gebouwd is in 1967. Dit object is relatief nieuw in de straat. Het nieuwste gebouw komt er uit het jaar 1970 en het oudste uit het jaar 1950. Voor het verblijfsobject gelden deze gebruiksdoelen: 'onderwijsfunctie'.
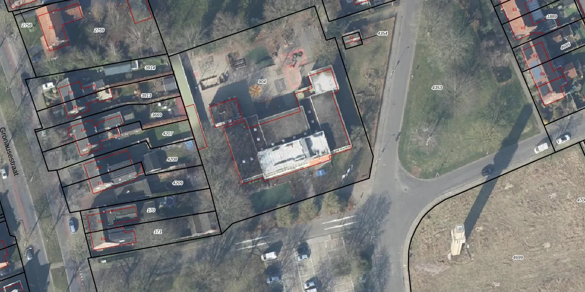
Het perceel waarop het adres ligt is LSR00-N-904. De afkorting 'LSR00' staat voor kadastrale gemeente Losser. De gemiddelde perceelgrootte in Losser is 5708,64 m². Dit perceel is kleiner: de perceeloppervlakte bedraagt 3415 m². De grootste perceeloppervlakte in de kadastrale gemeente is 97,2 ha. De kleinste oppervlakte bedraagt 0 m². Op het perceel bevinden zich geen andere adressen. In de Basisregistratie Kadaster (BRK) werden de grenzen van het perceel geregistreerd op 12-05-2010.
Er is geen energielabel geregistreerd voor het adres. Het hoogste energielabel in de straat is A; het laagste is G. Het gemiddelde energielabel is er B. Het adres Sperwerstraat 1 heeft als status: 'verblijfsobject in gebruik'. Het pand waarin dit adres ligt heeft als status: 'pand in gebruik'.
Sperwerstraat 1 is een adres gelegen in de gemeente Losser, provincie Overijssel. Dit adres is geregistreerd in de Basisregistratie Adressen en Gebouwen (BAG) met als unieke identificatie 0168010000220841.
Het pand op Sperwerstraat 1 is gebouwd in 1967, wat betekent dat het 59 jaar oud is. Dit is een ouder pand. Het pand heeft mogelijk aanzienlijke renovaties nodig om aan de huidige standaarden te voldoen.
De woning op Sperwerstraat 1 heeft een gebruiksoppervlakte van 932 m². Dit is ruim vergeleken met de gemiddelde Nederlandse woning, die een oppervlakte heeft van ongeveer 119 m². De gebruiksoppervlakte is de maat die wordt gebruikt in de BAG-registratie, de landelijke registratie van de Nederlandse overheid.
Sperwerstraat 1 heeft als functie: onderwijs. Deze gebruiksfunctie(s) zijn vastgelegd in de BAG-registratie en geven aan waarvoor het adres officieel mag worden gebruikt.
Sperwerstraat 1 is gelegen op kadastraal perceel LSR00N904. Deze kadastrale aanduiding is uniek en wordt gebruikt door het Kadaster om eigendomsrechten en andere zakelijke rechten vast te leggen. Het perceel maakt onderdeel uit van de kadastrale gemeente Losser.
Het perceel waarop Sperwerstraat 1 staat heeft een oppervlakte van 3415 m². Dit is een zeer groot perceel. De perceeloppervlakte wordt geregistreerd door het Kadaster. Gedetailleerde informatie over de maten van dit perceel kunt u vinden in het rapport Kadastrale kaart met maatvoering van Sperwerstraat 1.
De eigenaar van Sperwerstraat 1 is op te vragen op deze pagina.
De informatie over dit adres is afkomstig uit officiële overheidsregistraties, voornamelijk de Basisregistratie Adressen en Gebouwen (BAG) en de Basisregistratie Kadaster (BRK). Deze gegevens worden beheerd door respectievelijk gemeenten en het Kadaster, en worden regelmatig bijgewerkt. Energielabelgegevens komen uit de database van de Rijksdienst voor Ondernemend Nederland (RVO).
