
Het adres Goorsteeg 27-A bevindt zich in de plaats Lunteren, in de gemeente Lunteren en de provincie Gelderland. De oppervlakte van het verblijfsobject is met 223 m² aan de grote kant. Het perceel heeft een oppervlakte van 6625 m². Het object is klein ten opzichte van de andere adressen in de straat. Het grootste verblijfsobject is 3470 m² groot en het kleinste is 10 m². Goorsteeg 27-A bevindt zich in een pand uit het jaar 1920. Daarmee behoort het tot de groep relatief oude panden in Nederland die gebouwd zijn vóór 1965. Het nieuwste gebouw in de straat komt uit 2019 en het oudste uit 1910. Dit object is relatief oud. De volgende gebruiksdoelen zijn geregistreerd voor dit adres: 'industriefunctie'.
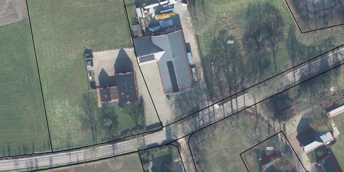
Het perceel waarop het adres ligt is LTR00-C-4543. De afkorting 'LTR00' staat voor kadastrale gemeente Lunteren. De oppervlakte van het perceel is 6625 m². Dat is groter dan gemiddeld in Lunteren, waar de gemiddelde perceeloppervlakte op 4969,75 m² ligt. Het grootste perceel in de kadastrale gemeente is 42,6 ha. Het kleinste perceel heeft een oppervlakte van 0 m². Op het perceel bevinden zich geen andere adressen. In de Basisregistratie Kadaster (BRK) werden de grenzen van het perceel geregistreerd op 22-12-2015.
Er is geen energielabel geregistreerd voor het adres. Het hoogste energielabel in de straat is A; het laagste is G. Het gemiddelde energielabel is er D. Het adres Goorsteeg 27-A heeft als status: 'verblijfsobject in gebruik'. Het pand waarin dit adres ligt heeft als status: 'pand in gebruik'.
Goorsteeg 27-A is een adres gelegen in de gemeente Ede, provincie Gelderland. Dit adres is geregistreerd in de Basisregistratie Adressen en Gebouwen (BAG) met als unieke identificatie 0228010000042785.
Het pand op Goorsteeg 27-A is gebouwd in 1920, wat betekent dat het 106 jaar oud is. Dit is een ouder pand. Het pand heeft mogelijk aanzienlijke renovaties nodig om aan de huidige standaarden te voldoen.
De woning op Goorsteeg 27-A heeft een gebruiksoppervlakte van 223 m². Dit is ruim vergeleken met de gemiddelde Nederlandse woning, die een oppervlakte heeft van ongeveer 119 m². De gebruiksoppervlakte is de maat die wordt gebruikt in de BAG-registratie, de landelijke registratie van de Nederlandse overheid.
Goorsteeg 27-A heeft als functie: industrie. Deze gebruiksfunctie(s) zijn vastgelegd in de BAG-registratie en geven aan waarvoor het adres officieel mag worden gebruikt.
Goorsteeg 27-A is gelegen op kadastraal perceel LTR00C4543. Deze kadastrale aanduiding is uniek en wordt gebruikt door het Kadaster om eigendomsrechten en andere zakelijke rechten vast te leggen. Het perceel maakt onderdeel uit van de kadastrale gemeente Lunteren.
Het perceel waarop Goorsteeg 27-A staat heeft een oppervlakte van 6625 m². Dit is een zeer groot perceel. De perceeloppervlakte wordt geregistreerd door het Kadaster. Gedetailleerde informatie over de maten van dit perceel kunt u vinden in het rapport Kadastrale kaart met maatvoering van Goorsteeg 27-A.
De eigenaar van Goorsteeg 27-A is op te vragen op deze pagina.
De informatie over dit adres is afkomstig uit officiële overheidsregistraties, voornamelijk de Basisregistratie Adressen en Gebouwen (BAG) en de Basisregistratie Kadaster (BRK). Deze gegevens worden beheerd door respectievelijk gemeenten en het Kadaster, en worden regelmatig bijgewerkt. Energielabelgegevens komen uit de database van de Rijksdienst voor Ondernemend Nederland (RVO).
