
Kijkveld 4 is een adres in Lunteren, dat zich bevindt binnen de gemeentegrenzen van Lunteren en de grenzen van de provincie Gelderland. Het perceel waarop het verblijfsobject staat is 4490 m² groot. De oppervlakte van het adres is 143 m², wat zich rond het Nederlandse gemiddelde van 119 m² bevindt. In de straat is dit het kleinste object. Het grootste verblijfsobject heeft een oppervlakte van 266 m². De gemiddelde grootte is er 192 m². In Nederland komt het grootste deel van de gebouwen uit de periode 1965-1984. Ook het bouwjaar van Kijkveld 4 is afkomstig uit die periode: het betreft namelijk een pand uit 1975. In de straat komt het nieuwste gebouw uit het jaar 2024 en het oudste uit 1938. Het bouwjaar van dit object is relatief oud. Het verblijfsobject heeft de volgende gebruiksdoelen: 'woonfunctie' en 'industriefunctie'.
Deze woning is voor het laatst verkocht op 1 juni 2024. Meer informatie over deze transactie? Bestel het Woningtransactierapport om de verkoopprijs en andere informatie te zien.
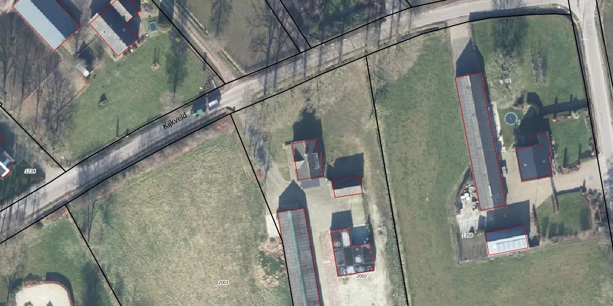
Het perceel waarop het adres ligt is LTR00-I-2002. De afkorting 'LTR00' staat voor kadastrale gemeente Lunteren. Het perceel is kleiner dan gemiddeld in Lunteren. Het perceel is 4490 m² groot, terwijl het gemiddelde ligt op 4969,75 m². Het grootste perceel in de kadastrale gemeente is 42,6 ha. Het kleinste perceel heeft een oppervlakte van 0 m². Op het perceel zijn 2 adressen aanwezig. De huidige grenzen van het perceel zijn digitaal in de Basisregistratie Kadaster (BRK) geregistreerd op 02-04-2025.
Het adres ligt in een gebouw van het type 'vrijstaande woning'. Bij de laatste meting is voor het adres het energielabel C geregistreerd. Het hoogste energielabel in de straat is A+++; het laagste is G. Het gemiddelde energielabel is er B. Het adres Kijkveld 4 heeft als status: 'verblijfsobject in gebruik'. Het pand waarin dit adres ligt heeft als status: 'sloopvergunning verleend'.
Kijkveld 4 is een adres gelegen in de gemeente Ede, provincie Gelderland. Dit adres is geregistreerd in de Basisregistratie Adressen en Gebouwen (BAG) met als unieke identificatie 0228010000046050.
Het pand op Kijkveld 4 is gebouwd in 1975, wat betekent dat het 51 jaar oud is. Dit is een ouder pand. Het pand heeft mogelijk aanzienlijke renovaties nodig om aan de huidige standaarden te voldoen.
De woning op Kijkveld 4 heeft een gebruiksoppervlakte van 143 m². Dit is gemiddeld vergeleken met de gemiddelde Nederlandse woning, die een oppervlakte heeft van ongeveer 119 m². De gebruiksoppervlakte is de maat die wordt gebruikt in de BAG-registratie, de landelijke registratie van de Nederlandse overheid.
Kijkveld 4 heeft als functie: wonen en industrie. Deze gebruiksfunctie(s) zijn vastgelegd in de BAG-registratie en geven aan waarvoor het adres officieel mag worden gebruikt.
Kijkveld 4 is gelegen op kadastraal perceel LTR00I2002. Deze kadastrale aanduiding is uniek en wordt gebruikt door het Kadaster om eigendomsrechten en andere zakelijke rechten vast te leggen. Het perceel maakt onderdeel uit van de kadastrale gemeente Lunteren.
Het perceel waarop Kijkveld 4 staat heeft een oppervlakte van 4490 m². Dit is een zeer groot perceel. De perceeloppervlakte wordt geregistreerd door het Kadaster. Gedetailleerde informatie over de maten van dit perceel kunt u vinden in het rapport Kadastrale kaart met maatvoering van Kijkveld 4.
De eigenaar van Kijkveld 4 is op te vragen op deze pagina.
De informatie over dit adres is afkomstig uit officiële overheidsregistraties, voornamelijk de Basisregistratie Adressen en Gebouwen (BAG) en de Basisregistratie Kadaster (BRK). Deze gegevens worden beheerd door respectievelijk gemeenten en het Kadaster, en worden regelmatig bijgewerkt. Energielabelgegevens komen uit de database van de Rijksdienst voor Ondernemend Nederland (RVO).
