
Maarnse Grindweg 43-r-23 is een adres in Maarn, dat zich bevindt binnen de gemeentegrenzen van Maarn en de grenzen van de provincie Utrecht. De oppervlakte van het object bedraagt 46 m². Dat is klein vergeleken met het Nederlandse gemiddelde. Het perceel waarop het adres ligt is 2,9 ha groot. Het adres is klein vergeleken met andere objecten in de straat. Het grootste object in de straat heeft een oppervlakte van 779 m², het kleinste is 23 m² groot. In Nederland komt het grootste deel van de gebouwen uit de periode 1965-1984. Ook het bouwjaar van Maarnse Grindweg 43-r-23 is afkomstig uit die periode: het betreft namelijk een pand uit 1975. Veel andere gebouwen in de straat zijn ouder dan dit pand. Het oudste pand komt uit het jaar 1900 en het nieuwste uit 2024. De volgende gebruiksdoelen zijn geregistreerd voor dit adres: 'logiesfunctie'.
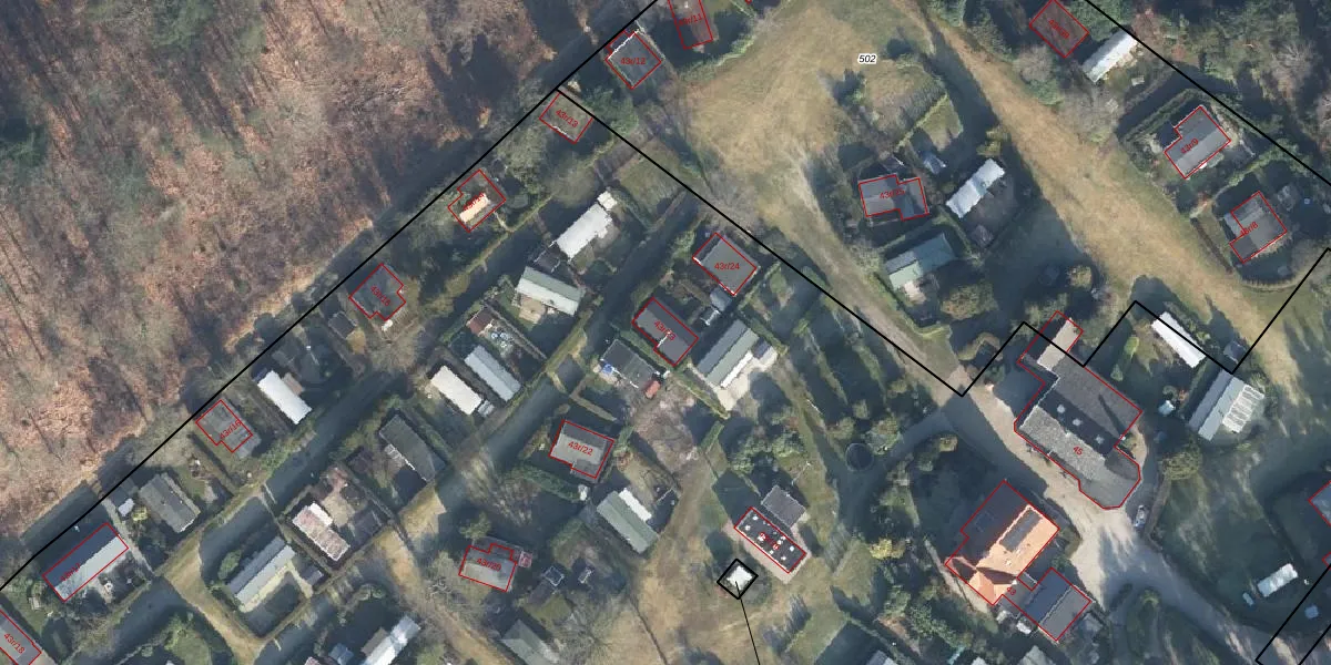
Het adres ligt op het perceel MAA00-B-592, dat zich in de kadastrale gemeente Maarn bevindt. De oppervlakte van het perceel is 2,9 ha. Dat is groter dan gemiddeld in Maarn, waar de gemiddelde perceeloppervlakte op 5263,27 m² ligt. Het grootste perceel in de kadastrale gemeente is 67,9 ha. Het kleinste perceel heeft een oppervlakte van 0 m². Op het perceel zijn 21 adressen aanwezig. De huidige grenzen van het perceel zijn digitaal in de Basisregistratie Kadaster (BRK) geregistreerd op 16-01-2026.
Er is geen energielabel geregistreerd voor het adres. Het hoogste energielabel in de straat is A++++; het laagste is G. Het gemiddelde energielabel is er C. Het adres Maarnse Grindweg 43-r-23 heeft als status: 'verblijfsobject in gebruik'. Het pand waarin dit adres ligt heeft als status: 'pand in gebruik'.
Maarnse Grindweg 43-r-23 is een adres gelegen in de gemeente Utrechtse Heuvelrug, provincie Utrecht. Dit adres is geregistreerd in de Basisregistratie Adressen en Gebouwen (BAG) met als unieke identificatie 1581010000045253.
Het pand op Maarnse Grindweg 43-r-23 is gebouwd in 1975, wat betekent dat het 51 jaar oud is. Dit is een ouder pand. Het pand heeft mogelijk aanzienlijke renovaties nodig om aan de huidige standaarden te voldoen.
De woning op Maarnse Grindweg 43-r-23 heeft een gebruiksoppervlakte van 46 m². Dit is relatief klein vergeleken met de gemiddelde Nederlandse woning, die een oppervlakte heeft van ongeveer 119 m². De gebruiksoppervlakte is de maat die wordt gebruikt in de BAG-registratie, de landelijke registratie van de Nederlandse overheid.
Maarnse Grindweg 43-r-23 heeft als functie: logies/verblijf. Deze gebruiksfunctie(s) zijn vastgelegd in de BAG-registratie en geven aan waarvoor het adres officieel mag worden gebruikt.
Maarnse Grindweg 43-r-23 is gelegen op kadastraal perceel MAA00B592. Deze kadastrale aanduiding is uniek en wordt gebruikt door het Kadaster om eigendomsrechten en andere zakelijke rechten vast te leggen. Het perceel maakt onderdeel uit van de kadastrale gemeente Maarn.
Het perceel waarop Maarnse Grindweg 43-r-23 staat heeft een oppervlakte van 2,9 ha. Dit is een zeer groot perceel. De perceeloppervlakte wordt geregistreerd door het Kadaster. Gedetailleerde informatie over de maten van dit perceel kunt u vinden in het rapport Kadastrale kaart met maatvoering van Maarnse Grindweg 43-r-23.
De eigenaar van Maarnse Grindweg 43-r-23 is op te vragen op deze pagina.
De informatie over dit adres is afkomstig uit officiële overheidsregistraties, voornamelijk de Basisregistratie Adressen en Gebouwen (BAG) en de Basisregistratie Kadaster (BRK). Deze gegevens worden beheerd door respectievelijk gemeenten en het Kadaster, en worden regelmatig bijgewerkt. Energielabelgegevens komen uit de database van de Rijksdienst voor Ondernemend Nederland (RVO).
